| Autore |
Messaggio |
|
Hemerobius
|
Inviato: 31/03/2009, 19:36 |
|
Iscritto il: 02/02/2009, 23:32 Messaggi: 5645 Località: da Ferrara ad Alghero
Nome: Roberto A. Pantaleoni
|
Ho descritto l'ambiente di cattura in questa discussione. Adesso cominciamo a postare materiale.
Desulo (sito 1); 19 giugno 2007; trappola a vino; 9-10 mm
Roberto 
_________________ verum stabile cetera fumus
|
|
| Top |
|
 |
|
Hemerobius
|
Inviato: 31/03/2009, 19:38 |
|
Iscritto il: 02/02/2009, 23:32 Messaggi: 5645 Località: da Ferrara ad Alghero
Nome: Roberto A. Pantaleoni
|
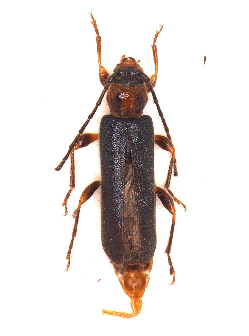
Ho descritto l'ambiente di cattura in questa discussione.
Desulo (sito 1); 19 giugno 2007; trappola a vino; 9-10 mm
Roberto Nota del 22.10.2009 - Questo esemplare è un Poecilium lividum (Rossi, 1794).
_________________ verum stabile cetera fumus
|
|
| Top |
|
 |
|
Hemerobius
|
Inviato: 31/03/2009, 19:41 |
|
Iscritto il: 02/02/2009, 23:32 Messaggi: 5645 Località: da Ferrara ad Alghero
Nome: Roberto A. Pantaleoni
|
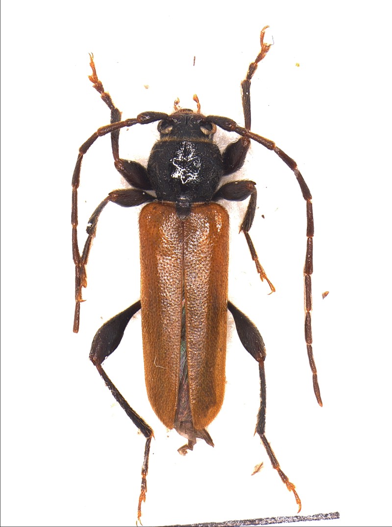
Ho descritto l'ambiente di cattura in questa discussione.
Desulo (sito 2); 19 giugno 2007; trappola a vino; 14 mm
Roberto 
_________________ verum stabile cetera fumus
|
|
| Top |
|
 |
|
Hemerobius
|
Inviato: 31/03/2009, 19:42 |
|
Iscritto il: 02/02/2009, 23:32 Messaggi: 5645 Località: da Ferrara ad Alghero
Nome: Roberto A. Pantaleoni
|
Ho descritto l'ambiente di cattura in questa discussione.
Fonni (sito 1); 1 luglio 2007; trappola a vino; 10-11 mm
Roberto 
_________________ verum stabile cetera fumus
|
|
| Top |
|
 |
|
aug
|
Inviato: 31/03/2009, 21:10 |
|
Iscritto il: 05/02/2009, 17:44 Messaggi: 2699 Località: Garbagnate Milanese
Nome: Augusto Franzini
|
Riferendosi all'ultima foto aug ha scritto: Salvo errore, è un Phymatodes testaceus (Linneo) che è molto variabile di colorazione. Augusto (aug) Riferendosi alla terza foto aug ha scritto: Anche questo, P. testaceus L. aug Riferendosi alla seconda foto aug ha scritto: Di nuovo lui, P. testaceus L. che si diverte a cambiare colore. aug Riferendosi alla prima foto aug ha scritto: E questo è il quarto P. testaceus. Se veramente sono tutti loro, c'è una collezione completa! aug
_________________ Augusto (aug) Prediction is very difficult, especially about the future (Niels Bohr, fisico)
|
|
| Top |
|
 |
|
Velvet Ant
|
Inviato: 31/03/2009, 21:41 |
|
| Amministratore |
 |
Iscritto il: 02/02/2009, 23:30 Messaggi: 7107 Località: Capaci (Pa)
Nome: Marcello Romano
|
Alcuni riferimenti sul web nel sito di Hoskovec & RejzekIn BioLib.cz una buona galleria di alcune delle innumerevoli forme cromatiche con cui si presenta.
_________________ Marcello Romano
|
|
| Top |
|
 |
|
Velvet Ant
|
Inviato: 01/04/2009, 19:31 |
|
| Amministratore |
 |
Iscritto il: 02/02/2009, 23:30 Messaggi: 7107 Località: Capaci (Pa)
Nome: Marcello Romano
|
Su richiesta di Roberto, ho riunito in un'unica discussione le diverse foto di Phymatodes testaceus da lui presentate per la determinazione. Lo stesso Roberto mi ha inviato un'immagine di insieme, attraverso cui ancor meglio si evidenzia la notevole variabilità cromatica di questa specie. Nota del 22.10.2009 - L'esemplare in alto a destra è un Poecilium lividum (Rossi, 1794).
_________________ Marcello Romano
|
|
| Top |
|
 |
|
Plagionotus
|
Inviato: 22/10/2009, 15:31 |
|
Iscritto il: 21/05/2009, 14:59 Messaggi: 6995 Località: Parigi
Nome: Riccardo Poloni
|
da un allevamento in primavera credo me ne siano usciti con dieci forme cromatiche diverse 
_________________ Riccardo Poloni La dignità degli elementi la libertà della poesia, al di là dei tradimenti degli uomini è magia, è magia, è magia... Negrita, Rotolando verso sud
|
|
| Top |
|
 |
|
Isotomus
|
Inviato: 22/10/2009, 16:02 |
|
Iscritto il: 05/09/2009, 7:56 Messaggi: 3445 Località: Cesena
Nome: Gianfranco Sama
|
Scusate se mi cito, ma alcune varietà (8 per l'esattezza) potete trovarle anche nella tavola allegata.
_________________ Gianfranco Sama
"Benedetto colui che ti aiuta a correggere i tuoi errori invece di scagliarteli contro" ___________________________________ Gershom Sholem
|
|
| Top |
|
 |
|
Xylosteus
|
Inviato: 22/10/2009, 17:40 |
|
Iscritto il: 13/09/2009, 18:04 Messaggi: 882
Nome: Pierpaolo Rapuzzi
|
|
Salve a tutti. A mio avviso il secondo è un Poecilium lividum (Rossi, 1794). Pierpaolo
|
|
| Top |
|
 |
|
Velvet Ant
|
Inviato: 22/10/2009, 18:06 |
|
| Amministratore |
 |
Iscritto il: 02/02/2009, 23:30 Messaggi: 7107 Località: Capaci (Pa)
Nome: Marcello Romano
|
Xylosteus ha scritto: Salve a tutti. A mio avviso il secondo è un Poecilium lividum (Rossi, 1794). Pierpaolo Caro Roberto, ho l'impressione che il paziente lavoro di ricomposizione delle quattro immagini, a nostro avviso, tutte relative al Phymatodes testaceus debba essere corretto Grazie a Pierpaolo per avere evidenziato la nostra svista Qui un'immagine di confronto del Poecilium lividum (Rossi, 1794), che non lascia molti dubbi 
_________________ Marcello Romano
|
|
| Top |
|
 |
|
Herzog
|
Inviato: 22/10/2009, 18:14 |
|
Iscritto il: 27/02/2009, 19:34 Messaggi: 857 Località: Belluno
Nome: Enzo GATTI
|
Inoltre la figura n. 408 postata d Sama del suo libro (Sama 2002) rappresenta anch'essa un Poecilium lividum Enzo 
|
|
| Top |
|
 |
|
Hemerobius
|
Inviato: 22/10/2009, 21:29 |
|
Iscritto il: 02/02/2009, 23:32 Messaggi: 5645 Località: da Ferrara ad Alghero
Nome: Roberto A. Pantaleoni
|
Scusate ragazzi, ma allora non è un Poecilium lividum femmina anche la terza ? Figura 412 della tavola. Ciao Roberto 
_________________ verum stabile cetera fumus
|
|
| Top |
|
 |
|
Velvet Ant
|
Inviato: 22/10/2009, 21:53 |
|
| Amministratore |
 |
Iscritto il: 02/02/2009, 23:30 Messaggi: 7107 Località: Capaci (Pa)
Nome: Marcello Romano
|
Hemerobius ha scritto: Scusate ragazzi, ma allora non è un Poecilium lividum femmina anche la terza ? Figura 412 della tavola. Ciao Roberto  Lasciando perdere tutto il resto, Roberto, devi fissare la tua attenzione, nei quattro esemplari, sul primo articolo dei tarsi posteriori e sulla sua lunghezza assoluta ed in rapporto con i due successivi. Noterai che negli esemplari 1,3 e 4 è molto lungo, molto più lungo del secondo e terzo presi insieme. Nel Poecilum lividum (foto 2) è invece lungo quanto o poco più dei due successivi insieme.
_________________ Marcello Romano
|
|
| Top |
|
 |
|
Hemerobius
|
Inviato: 22/10/2009, 23:40 |
|
Iscritto il: 02/02/2009, 23:32 Messaggi: 5645 Località: da Ferrara ad Alghero
Nome: Roberto A. Pantaleoni
|
Fortuna che ci sono questi tarsi  ! Altrimenti come si farebbe  Ed io che dicevo che i Crisopidi erano difficili  . Ciao Roberto 
_________________ verum stabile cetera fumus
|
|
| Top |
|
 |
|