Benvenuto Ospite

Forum Entomologi Italiani

www.entomologiitaliani.net/forum
 
Oggi è 23/12/2025, 22:08

Tutti gli orari sono UTC + 1 ora [ ora legale ]

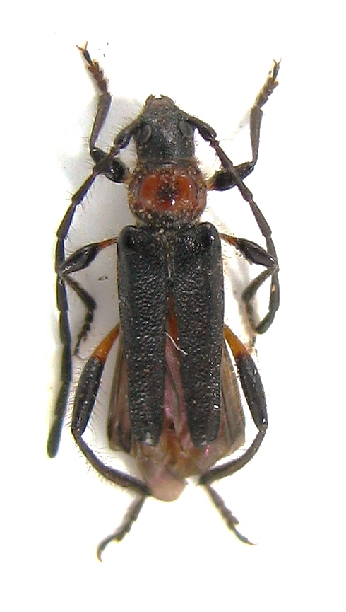
Lampropterus (s. str.) femoratus (Germar, 1824) - Cerambycidae

V.2010 - REPUBBLICA ARABA SIRIANA - EE, Latakya, dint. Salma, 1000m


nuovo argomento
rispondi
Pagina 1 di 1 [ 5 messaggi ]
Autore Messaggio
MessaggioInviato: 08/08/2010, 14:13 
Avatar utente

Iscritto il: 20/11/2009, 0:34
Messaggi: 571
Località: Vignola (Mo)
Nome: Claudio Sola
:no1: :no1: :no1: :no1: :no1: :no1: :no1: :no1: :no1: :no1: :no1: :no1: :no1: :no1: :no1: :no1: :no1: :no1: :to:
Syria Latakya Rabya V-2010 (10mm)
Callimus (Syria Latakya Rabya V-2010 (10mm).jpg


_________________
merlino


Top
profilo
 Oggetto del messaggio: Re: cerambycidae Syria
MessaggioInviato: 08/08/2010, 15:27 
Avatar utente

Iscritto il: 05/09/2009, 7:56
Messaggi: 3445
Località: Cesena
Nome: Gianfranco Sama
Lampropterus (s. str.) femoratus (Germar, 1824)
Se è reale, e non un miraggio dovuto alla foto, mi interessa questa forma di colore del pronoto :lov2:

_________________
Gianfranco Sama

"Benedetto colui che ti aiuta a correggere i tuoi errori invece di scagliarteli contro"
___________________________________
Gershom Sholem


Top
profilo
 Oggetto del messaggio: Re: cerambycidae Syria
MessaggioInviato: 08/08/2010, 15:29 
Avatar utente

Iscritto il: 20/11/2009, 0:34
Messaggi: 571
Località: Vignola (Mo)
Nome: Claudio Sola
La foto è reale , io non ho photoshop , al massimo la ritaglio e la schiarisco adoperando Office picture manager.

_________________
merlino


Top
profilo
 Oggetto del messaggio: Re: cerambycidae Syria
MessaggioInviato: 08/08/2010, 15:33 
Avatar utente

Iscritto il: 05/09/2009, 7:56
Messaggi: 3445
Località: Cesena
Nome: Gianfranco Sama
Intendevo la luce, non un possibile fotoritocco.

_________________
Gianfranco Sama

"Benedetto colui che ti aiuta a correggere i tuoi errori invece di scagliarteli contro"
___________________________________
Gershom Sholem


Top
profilo
MessaggioInviato: 08/08/2010, 15:43 
Avatar utente

Iscritto il: 20/11/2009, 0:34
Messaggi: 571
Località: Vignola (Mo)
Nome: Claudio Sola
No è proprio così , la parte centrale è schiacciata e sembra abbia 3 tubercoli , 2 laterali e uno posteriore , al centro è scuro , uguale anche sotto al microscopio.

_________________
merlino


Top
profilo
Visualizza ultimi messaggi:  Ordina per  
nuovo argomento
rispondi
Pagina 1 di 1 [ 5 messaggi ]

Tutti gli orari sono UTC + 1 ora [ ora legale ]


Chi c’è in linea

Visitano il forum: Nessuno e 1 ospite


Non puoi aprire nuovi argomenti
Non puoi rispondere negli argomenti
Non puoi modificare i tuoi messaggi
Non puoi cancellare i tuoi messaggi
Non puoi inviare allegati

Cerca per:
Vai a: