Benvenuto Ospite

Forum Entomologi Italiani

www.entomologiitaliani.net/forum
 
Oggi è 19/02/2026, 23:14

Tutti gli orari sono UTC + 1 ora [ ora legale ]

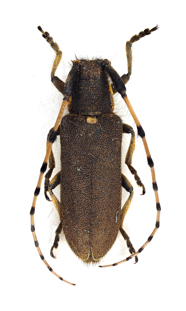
Agapanthia annularis (Olivier, 1795) - Cerambycidae

14.V.1989 - SPAGNA - EE, Puerto de Milagro, Montes de Toledo, 900m


nuovo argomento
rispondi
Pagina 1 di 1 [ 1 messaggio ]
Autore Messaggio
MessaggioInviato: 22/01/2022, 23:22 
Avatar utente

Iscritto il: 10/05/2009, 15:30
Messaggi: 7182
Località: Ancona
Nome: Giacomo Giovagnoli
Agapanthia annularis (Olivier, 1795)

Puerto de Milagro, Montes de Toledo (Spagna), 900m; 14.V.1989; lg. A. Pergolini

[grazie zio per le foto!!! :birra: ]

Dimensioni: 13mm
Comb3539cr-13zL6.jpg


Comb3540cr-21zL6.jpg



Ciao :)

_________________
Immagine Giacomo


Top
profilo
Visualizza ultimi messaggi:  Ordina per  
nuovo argomento
rispondi
Pagina 1 di 1 [ 1 messaggio ]

Tutti gli orari sono UTC + 1 ora [ ora legale ]


Chi c’è in linea

Visitano il forum: Nessuno e 1 ospite


Non puoi aprire nuovi argomenti
Non puoi rispondere negli argomenti
Non puoi modificare i tuoi messaggi
Non puoi cancellare i tuoi messaggi
Non puoi inviare allegati

Cerca per:
Vai a: