Benvenuto Ospite

Forum Entomologi Italiani

www.entomologiitaliani.net/forum
 
Oggi è 30/05/2026, 14:17

Tutti gli orari sono UTC + 1 ora [ ora legale ]

Rutpela maculata maculata (Poda, 1761) Dettagli della specie

VIII.2004 - ITALIA - Veneto - BL, Auronzo di Cadore


nuovo argomento
rispondi
Pagina 1 di 1 [ 15 messaggi ]
Autore Messaggio
MessaggioInviato: 19/05/2009, 21:01 
Avatar utente

Iscritto il: 10/05/2009, 15:30
Messaggi: 7183
Località: Ancona
Nome: Giacomo Giovagnoli
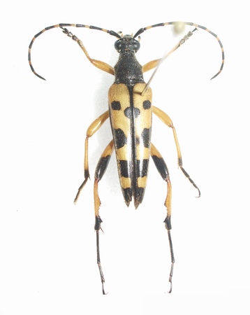
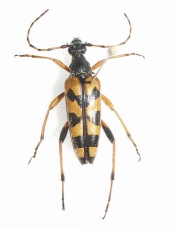
Trovate nell'agosto 2004 ad Auronzo di Cadore (Bl) su ombrellifere.

Direi Ruptela maculata...
Si distingue il sesso? :oops:

Ruptela maculata (2).JPG


Ruptela maculata (1).JPG



Ciao :)

_________________
Immagine Giacomo


Top
profilo
 Oggetto del messaggio: Re: Ruptela maculata
MessaggioInviato: 19/05/2009, 21:07 
Avatar utente

Iscritto il: 02/02/2009, 23:32
Messaggi: 5645
Località: da Ferrara ad Alghero
Nome: Roberto A. Pantaleoni
Beh, io non lo so, ma quelle tibie posteriori del primo esemplare se non sono del maschio si chi sono?
Sbaglio ?

Roberto :to:

_________________
verum stabile cetera fumus


Top
profilo
 Oggetto del messaggio: Re: Ruptela maculata
MessaggioInviato: 20/05/2009, 6:22 
Avatar utente

Iscritto il: 10/05/2009, 15:30
Messaggi: 7183
Località: Ancona
Nome: Giacomo Giovagnoli
Hai ragione Roberto!! :D :D

Oltretutto il nome esatto dovrebbe essere Leptura maculata! :oops:

Ciao :)

_________________
Immagine Giacomo


Top
profilo
 Oggetto del messaggio: Re: Ruptela maculata
MessaggioInviato: 20/05/2009, 8:17 
Amministratore
Avatar utente

Iscritto il: 02/02/2009, 23:30
Messaggi: 7107
Località: Capaci (Pa)
Nome: Marcello Romano
StagBeetle ha scritto:
Hai ragione Roberto!! :D :D

Oltretutto il nome esatto dovrebbe essere Leptura maculata! :oops:

Ciao :)


Sarei felice se mi confermate che questa specie si può di nuovo taxare nel genere assegnatole originariamente da Poda nel 1761, cioè Leptura.
Non ho mai sopportato il nome generico che negli ultimi anni gli era stato assegnato, ancora più sgradevole di quello scritto da Giacomo nel titolo originale.
Infatti Nakane & Ohbayashi (immagino giapponesi), nel 1957 avevano istituito, per questa specie, il genere Rutpela :( :dead:

_________________
:hi: Marcello Romano


Top
profilo
 Oggetto del messaggio: Re: Ruptela maculata
MessaggioInviato: 20/05/2009, 14:53 
Avatar utente

Iscritto il: 17/05/2009, 11:39
Messaggi: 254
Località: Luxembourg
Nome: Francesco Vitali
Si può taxare col nome che vuoi. :)
Questa specie, col pretesto delle zampe spinose del maschio, é stata trattata come genere o sottogenere, a seconda degli autori.
Secondo me é al massimo un sottogenere (e forse neanche quello), dal momento che non é mai stato dimostrato che Rutpela sia parafiletico di Leptura, cioè abbiano lo stesso grado evolutivo (e di conseguenza debbano essere trattati alla pari).

Le zampe dentate del maschio sono una autoapomorfia, cioè un carattere derivato peculiare.
Questo fa supporre che si tratti una specie terminale di un ramo evolutivo (difatti la femmina non ha caratteristiche particolari).
In pratica, il carattere potrebbe essere trattato semplicemente come specifico.
Ad essere generosi, si potrebbe parlare di sottogenere... ma ad essere generosi... :bln:

_________________
Francesco Vitali


Top
profilo
MessaggioInviato: 17/07/2009, 17:36 
Avatar utente

Iscritto il: 14/04/2009, 18:43
Messaggi: 805
Località: Messina
Nome: Salvatore Saitta
E' lei?

Ho guardato le immagini sul web confrontandole con quelle di Strangalia attenuata, ma non sono sicuro di aver colto le differenze...

Grazie, ciao :)


leptura.jpg


_________________
Biologia & Fotografia
Top
profilo
 Oggetto del messaggio: Re: Leptura maculata?
MessaggioInviato: 17/07/2009, 19:54 
Avatar utente

Iscritto il: 17/05/2009, 11:39
Messaggi: 254
Località: Luxembourg
Nome: Francesco Vitali
È proprio lei... o meglio, lui. :D

Viene dalla Sicilia?
Bene! :to:

Come puoi ben osservare, le antenne sono anellate di giallo (forma tipica), e non uniformemente nere (var. nigricornis).
Varietá nigricornis, che Rapuzzi e Sama hanno elevato a sottospecie (tipica della Sicilia) nel 2006 (qui il loro lavoro).
Müller più 50 anni fa, notava come la nigricornis si trovi, oltre che in Sicilia, anche in Spagna, Corsica, Siria e Caucaso, sempre frammista alla forma tipica.

_________________
Francesco Vitali


Top
profilo
 Oggetto del messaggio: Re: Leptura maculata?
MessaggioInviato: 17/07/2009, 20:36 
Avatar utente

Iscritto il: 14/04/2009, 18:43
Messaggi: 805
Località: Messina
Nome: Salvatore Saitta
Grazie Francesco :)

Ho letto con molto interesse l'articolo che hai citato, beh insomma mi pare molto chiaro come stanno le cose :ok:

L'esemplare è Sicilianissimo e viene esattamente dal bosco di Malabotta :ok:

ciao

_________________
Biologia & Fotografia


Top
profilo
 Oggetto del messaggio: Re: Leptura maculata?
MessaggioInviato: 18/07/2009, 9:27 
Avatar utente

Iscritto il: 17/05/2009, 11:39
Messaggi: 254
Località: Luxembourg
Nome: Francesco Vitali
Per amore di verità devo aggiungere che i due autori scrivono testualmente:
"La popolazione siciliana, così come quella dell’Aspromonte, costituisce una vera razza geografica, distinta dalla forma tiponominale per la colorazione dei maschi, i quali presentano le antenne (ad eccezione degli articoli 4 a 7 che hanno uno stretto anello basale giallastro) e delle tibie posteriori costantemente nera"

La descrizione originale (che potete leggere qui a pag. 153 e che riporto sotto) non parla affatto di anello basale giallo, ma di antenne completamente nere:
"antennis pedibusque posticis nigris" = antenne e zampe posteriori nere


Quella che i due hanno visto (la tua) è in realtà la var. maculipes Podany, con antenne normali e tibie posteriori nere.


leptura nigric.JPG


_________________
Francesco Vitali
Top
profilo
 Oggetto del messaggio: Re: Leptura maculata?
MessaggioInviato: 18/07/2009, 13:33 
Avatar utente

Iscritto il: 14/04/2009, 18:43
Messaggi: 805
Località: Messina
Nome: Salvatore Saitta
Capito, grazie :ok:

_________________
Biologia & Fotografia


Top
profilo
 Oggetto del messaggio: Rutpela maculata - Cerambycidae
MessaggioInviato: 21/09/2009, 22:23 
Avatar utente

Iscritto il: 05/02/2009, 17:25
Messaggi: 4894
Località: Zola Predosa (BO)
Nome: Loris Colacurcio
Anche questa comune, ma sempre splendida bestiola, credevo fermamente fosse presente solo in montagna....ed invece:

Sasso Marconi (BO) - Palazzo Rossi luglio 2009
su fiori (gli stessi della C. fulva e C. cordigera)

Rutpela maculata (Poda, 1761)
(Cerambicide) Strangalia maculata.jpg


_________________
Loris


Top
profilo
 Oggetto del messaggio: Re: Rutpela maculata - Cerambycidae
MessaggioInviato: 22/09/2009, 14:10 
Avatar utente

Iscritto il: 21/05/2009, 14:59
Messaggi: 6996
Località: Parigi
Nome: Riccardo Poloni
esatto, è molto comune anche in collina, sui fiori appunto, questa è la varietà ad antenne quasi tutte gialle direi :D :)

_________________
Riccardo Poloni
La dignità degli elementi
la libertà della poesia,
al di là dei tradimenti degli uomini
è magia, è magia, è magia...
Negrita, Rotolando verso sud


Top
profilo
 Oggetto del messaggio: Re: Ruptela maculata
MessaggioInviato: 16/10/2010, 18:02 
Avatar utente

Iscritto il: 04/04/2010, 22:20
Messaggi: 1041
Località: S.Pelagio (TS)
Nome: Alessandro Drago
Velvet Ant ha scritto:
Infatti Nakane & Ohbayashi (immagino giapponesi), nel 1957 avevano istituito, per questa specie, il genere Rutpela :( :dead:

TUPLERA

eh si, fra tutti gli anagrammi che potevano scegliere (Luptera,Tuplera, Peturla, Tuperla, Leturpa :sick: , Ruptela, Petrula, e molti altri....) hanno scelto uno dei peggiori, anche perchè nell'italiano parlato viene evidenziata molto la prima parte Rutpela. Magari per i giapponesi ha un altro significato o il suono assomiglia a qualcosa di migliore...chi lo sa!

_________________
- SoNo un PoMpIeRe -


Top
profilo
 Oggetto del messaggio: Re: Ruptela maculata
MessaggioInviato: 17/10/2010, 12:47 
Avatar utente

Iscritto il: 05/09/2009, 7:56
Messaggi: 3445
Località: Cesena
Nome: Gianfranco Sama
vitalfranz ha scritto:
Si può taxare col nome che vuoi. :)
Questa specie, col pretesto delle zampe spinose del maschio, é stata trattata come genere o sottogenere, a seconda degli autori.
Secondo me é al massimo un sottogenere (e forse neanche quello), dal momento che non é mai stato dimostrato che Rutpela sia parafiletico di Leptura, cioè abbiano lo stesso grado evolutivo (e di conseguenza debbano essere trattati alla pari).
Le zampe dentate del maschio sono una autoapomorfia, cioè un carattere derivato peculiare.
Questo fa supporre che si tratti una specie terminale di un ramo evolutivo (difatti la femmina non ha caratteristiche particolari).
In pratica, il carattere potrebbe essere trattato semplicemente come specifico.
Ad essere generosi, si potrebbe parlare di sottogenere... ma ad essere generosi... :bln:


Non so come sia rispuntata questa discussione del 2009 che non avevo letto attentamente e di cui ho notato l'ammasso di (c.z..te) imprecisioni che (frammiste a paroloni inutili, ma di grande effetto) vi sono state scritte. Il genere Rutpela Nakane & K. Ohbayashi, 1957 viene attualmente accettato come genere distinto da tutti i testi e da tutti gli autori tranne che dal Biolib gestito da Francesco Vitali. Vitalfranz scrive „Questa specie, col pretesto delle zampe spinose del maschio, é stata trattata come genere o sottogenere, a seconda degli autori.” Il carattere dimorfico delle tibie è certamente di valore specifico, ma non è questo il carattere che distingue il genere dal genere Leptura. Rutpela inermis, infatti, la seconda specie (a diffusione transcaucasica e iranica), attribuita a Rutpela, ne è privo e il maschio di questa specie possiede tibie del tutto simili a quelle della femmina. Oltre che nella struttura degli apparati genitali, sono presenti differenze sostanziali nella morfologia preimmaginale (larve). Riporto quanto scritto da Švácha (1989) universalmente riconosciuto come il maggior esperto in questo campo, nella sua monografia sulle larve dei Cerambycidae (presente nella Biblioteca virtuale del Forum), ma che Vitali, evidentemente, non ritiene degno di considerazione "I call attention to the fact that Rutpela is unrelated to Leptura, and closely related to Strangalia“.

_________________
Gianfranco Sama

"Benedetto colui che ti aiuta a correggere i tuoi errori invece di scagliarteli contro"
___________________________________
Gershom Sholem


Top
profilo
MessaggioInviato: 17/10/2010, 14:24 
Avatar utente

Iscritto il: 21/05/2009, 14:59
Messaggi: 6996
Località: Parigi
Nome: Riccardo Poloni
Calma.....

_________________
Riccardo Poloni
La dignità degli elementi
la libertà della poesia,
al di là dei tradimenti degli uomini
è magia, è magia, è magia...
Negrita, Rotolando verso sud


Top
profilo
Visualizza ultimi messaggi:  Ordina per  
nuovo argomento
rispondi
Pagina 1 di 1 [ 15 messaggi ]

Tutti gli orari sono UTC + 1 ora [ ora legale ]


Chi c’è in linea

Visitano il forum: Nessuno e 5 ospiti


Non puoi aprire nuovi argomenti
Non puoi rispondere negli argomenti
Non puoi modificare i tuoi messaggi
Non puoi cancellare i tuoi messaggi
Non puoi inviare allegati

Cerca per:
Vai a: