Benvenuto Ospite

Forum Entomologi Italiani

www.entomologiitaliani.net/forum
 
Oggi è 24/02/2026, 17:11

Tutti gli orari sono UTC + 1 ora [ ora legale ]

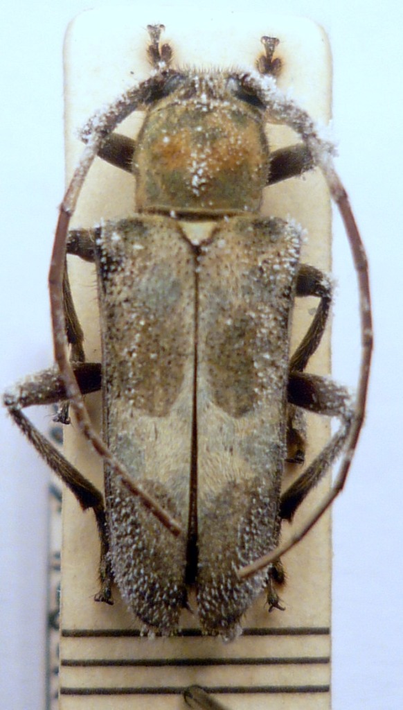
Paraglenea fortunei (Saunders, 1853) - Cerambycidae - località incerta

VI.1997 - COREA, REPUBBLICA DEMOCRATICA DI - EE, North Korea - Dongsan


nuovo argomento
rispondi
Pagina 1 di 1 [ 5 messaggi ]
Autore Messaggio
MessaggioInviato: 02/11/2010, 20:05 
Avatar utente

Iscritto il: 11/11/2009, 20:54
Messaggi: 4850
Località: Pesaro
Nome: Marco Paglialunga
Laminae...ammuffitae :devil:
North Korea - Dongsan
June 21.22/97
15 mm


Lamiinae.JPG


_________________
O voi ch'avete li 'ntelletti sani, mirate la dottrina che s'asconde sotto 'l velame de li versi strani
(InfeRRno - canto IX - vv. 61-63)
Top
profilo
 Oggetto del messaggio: Re: Made in PRK Vol VI
MessaggioInviato: 02/11/2010, 21:25 
Avatar utente

Iscritto il: 08/02/2010, 23:01
Messaggi: 6187
Località: Vicenza
Nome: Silvano Biondi
Marco, dovresti passarlo con un pennello bagnato di benzina. Con gli esemplari della Collezione Disconzi abbiamo ottenuto ottimi risultati, ed erano un bel po' più antichi.

:hi:

_________________



Silvano


Top
profilo
 Oggetto del messaggio: Re: Made in PRK Vol VI
MessaggioInviato: 02/11/2010, 22:19 
 

Iscritto il: 13/09/2009, 18:04
Messaggi: 882
Nome: Pierpaolo Rapuzzi
Ciao Marco,
nonostante la muffa penso che si tratti di Paraglenea fortunei (Saunders, 1853). Quello che dubito è la località. Si tratta di una specie comune in tutta la Cina centro meridionale ed il Giappone meridionale (Kyushu) che manca in Corea, Far East Russo e province della Cina del Nord-Est (Manciuria).
Ciao
Pierpaolo


Top
profilo
 Oggetto del messaggio: Re: Made in PRK Vol VI
MessaggioInviato: 03/11/2010, 14:57 
Avatar utente

Iscritto il: 11/11/2009, 20:54
Messaggi: 4850
Località: Pesaro
Nome: Marco Paglialunga
Grazie Silvano per i consigli,infatti io faccio così: ammazzo subito la muffa stillandogli sopra con una pipetta della benzina pura, poi mi dico:spennellerò più tardi quando si secca...e regolarmente non lo faccio mai :no1:
Acc!! :devil: questo Pierpaolo non l'ho controllato,più tardi eseguo,intanto sono in arrivo un'altra vagonata di cerambicidi del famoso ristorante koreano/londinese di Soho http://www.london-eating.co.uk/7153.htm :lol: :lol:
Grazie ancora per tutte le det :lov1:

_________________
O voi ch'avete li 'ntelletti sani, mirate la dottrina che s'asconde sotto 'l velame de li versi strani
(InfeRRno - canto IX - vv. 61-63)


Top
profilo
MessaggioInviato: 09/11/2010, 0:38 
Avatar utente

Iscritto il: 11/11/2009, 20:54
Messaggi: 4850
Località: Pesaro
Nome: Marco Paglialunga
Questo riporta lo stesso cartellino degli altri,e l'ho preso dallo stesso seller :roll: a questo punto potrebbe aver fatto confusione il..."cinese"


P1060059.JPG


_________________
O voi ch'avete li 'ntelletti sani, mirate la dottrina che s'asconde sotto 'l velame de li versi strani
(InfeRRno - canto IX - vv. 61-63)
Top
profilo
Visualizza ultimi messaggi:  Ordina per  
nuovo argomento
rispondi
Pagina 1 di 1 [ 5 messaggi ]

Tutti gli orari sono UTC + 1 ora [ ora legale ]


Chi c’è in linea

Visitano il forum: Nessuno e 4 ospiti


Non puoi aprire nuovi argomenti
Non puoi rispondere negli argomenti
Non puoi modificare i tuoi messaggi
Non puoi cancellare i tuoi messaggi
Non puoi inviare allegati

Cerca per:
Vai a: