Benvenuto Ospite

Forum Entomologi Italiani

www.entomologiitaliani.net/forum
 
Oggi è 20/04/2026, 20:31

Tutti gli orari sono UTC + 1 ora [ ora legale ]

Libanoclytus tommasoi Sama & Rapuzzi, 2010 - Cerambycidae - holotypo

LIBANO - EE


nuovo argomento
rispondi
Pagina 1 di 1 [ 5 messaggi ]
Autore Messaggio
MessaggioInviato: 26/10/2010, 16:22 
Avatar utente

Iscritto il: 05/09/2009, 7:56
Messaggi: 3445
Località: Cesena
Nome: Gianfranco Sama
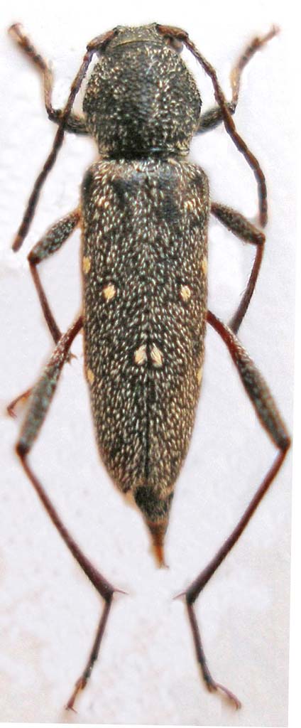
Cerambycidae Clytini - Genere e specie nuovo genere e nuova specie, recentemente descritto del Libano di cui sembra endemico. Scoperto dal nostro amico libanese André Kairouz (presente all'ultima edizione di Entomodena) e ritrovato da Malmusi e Saltini durante un recente viaggio entomologico in quel bellissimo paese, purtroppo martoriato da anacronistiche guerre di religione.
L'esemplare raffigurato, l'holotypus, è una femmina.
Libanoclytus_tommasoi_HT female.jpg


Questo, invece, è l'unico maschio conosciuto, raccolto un centinaio di anni fa (1902).
Libanoclytus tommasoi_male.jpg


_________________
Gianfranco Sama

"Benedetto colui che ti aiuta a correggere i tuoi errori invece di scagliarteli contro"
___________________________________
Gershom Sholem


Top
profilo
MessaggioInviato: 26/10/2010, 16:34 
Avatar utente

Iscritto il: 04/04/2010, 22:20
Messaggi: 1041
Località: S.Pelagio (TS)
Nome: Alessandro Drago
un Clytus colorato come un Trichoferus :gh:

Cita:
Questo, invece, è l'unico maschio conosciuto, raccolto un centinaio di anni fa (1902).


Sama lgt.? Scherzi a parte, da allora a questa parte non era mai stato descritto o era associato ad una specie simile?

_________________
- SoNo un PoMpIeRe -


Top
profilo
MessaggioInviato: 26/10/2010, 17:30 
Avatar utente

Iscritto il: 05/09/2009, 7:56
Messaggi: 3445
Località: Cesena
Nome: Gianfranco Sama
Anche mio nonno era troppo giovane :mrgreen: !

Il maschio era nella collezione di un amico Ceco, trovato in chissà quale collezione museale :mrgreen: e non era mai stato descritto, né mai ritrovato in seguito fino a quattro anni fa :hp: Franco Tassi la chiamerebbe Criptozoologia

_________________
Gianfranco Sama

"Benedetto colui che ti aiuta a correggere i tuoi errori invece di scagliarteli contro"
___________________________________
Gershom Sholem


Top
profilo
MessaggioInviato: 30/10/2010, 16:17 
Avatar utente

Iscritto il: 05/08/2009, 18:02
Messaggi: 2264
Nome: Marcello Benelli
Ma il Libano è un paese ancora con una copertura forestale importante? Voglio dire, i clityni richiedono tronchi e rami, immagino quindi che l'habitat del nuovo insetto dovrebbe essere ricercato in qualche tipo di foresta.

_________________
Marci
"S'i fosse fuoco, arderei 'l mondo,
S'i fosse vento, lo tempesterei,
S'i fosse acqua, i' l'annegherei
s'i fosse dio, mandereil' en profondo" ( Cecco Angiolieri).


Top
profilo
MessaggioInviato: 01/11/2010, 13:06 
Avatar utente

Iscritto il: 05/09/2009, 7:56
Messaggi: 3445
Località: Cesena
Nome: Gianfranco Sama
Entomarci ha scritto:
Ma il Libano è un paese ancora con una copertura forestale importante? Voglio dire, i clityni richiedono tronchi e rami, immagino quindi che l'habitat del nuovo insetto dovrebbe essere ricercato in qualche tipo di foresta.


Scusa per la dimenticanza.

Il Libano, avendo due diverse catene di montagne elevate (vedi sotto un'immagine da satellite tratta da Internet) con abbondanti precipitazioni anche nevose, ha zone con copertura forestale abbondante e varia. Ricordo il famoso Cedro del Libano, Abete di Cilicia, Quercus di varie specie, Pinus, Platanus, ecc. ecc.
Qui l'argomento è trattato esaurientemente.
PNADR357.pdf [996.08 KiB]
Scaricato 208 volte



Oltre tutto, ha una bella varietà di ambienti, propizia alla diffusione di numerose specie di Cerambycidae con vari endemismi. Nell'ultimo catalogo ne abbiamo censito oltre 110, non male per un paese con limitata estensione territoriale.
Satellite_image_of_Lebanon_in_March_2002.jpg


_________________
Gianfranco Sama

"Benedetto colui che ti aiuta a correggere i tuoi errori invece di scagliarteli contro"
___________________________________
Gershom Sholem


Top
profilo
Visualizza ultimi messaggi:  Ordina per  
nuovo argomento
rispondi
Pagina 1 di 1 [ 5 messaggi ]

Tutti gli orari sono UTC + 1 ora [ ora legale ]


Chi c’è in linea

Visitano il forum: Google [Bot] e 1 ospite


Non puoi aprire nuovi argomenti
Non puoi rispondere negli argomenti
Non puoi modificare i tuoi messaggi
Non puoi cancellare i tuoi messaggi
Non puoi inviare allegati

Cerca per:
Vai a: