| Forum Entomologi Italiani https://www.entomologiitaliani.net/public/forum/phpBB3/ |
|
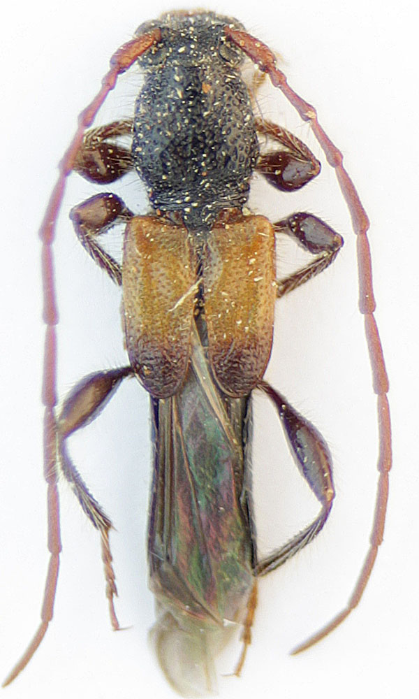
| Glaphyra kiesenwetteri (Mulsant et Rey, 1861) - Cerambycidae https://www.entomologiitaliani.net/public/forum/phpBB3/viewtopic.php?f=145&t=16743 |
Pagina 1 di 1 |
| Autore: | Joro [ 26/01/2011, 18:00 ] | ||
| Oggetto del messaggio: | Glaphyra kiesenwetteri (Mulsant et Rey, 1861) - Cerambycidae | ||
Collected on dead Prunus branches.
|
|||
| Autore: | Isotomus [ 26/01/2011, 19:28 ] |
| Oggetto del messaggio: | Re: Glaphyra kiesenwetteri (Mulsant et Rey, 1861)-Cerambycidae |
|
|
| Autore: | Plagionotus [ 26/01/2011, 19:29 ] |
| Oggetto del messaggio: | Re: Glaphyra kiesenwetteri (Mulsant et Rey, 1861)-Cerambycidae |
Thanks Georgi, genus Glaphyra haven't any photos on the forum
|
|
| Pagina 1 di 1 | Tutti gli orari sono UTC + 1 ora [ ora legale ] |
| Powered by phpBB® Forum Software © phpBB Group http://www.phpbb.com/ |
|