Benvenuto Ospite

Forum Entomologi Italiani

www.entomologiitaliani.net/forum
 
Oggi è 23/04/2026, 21:38

Tutti gli orari sono UTC + 1 ora [ ora legale ]

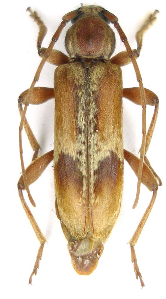
Trichoferus pallidus (Olivier, 1790)

18.VII.2000 - FRANCIA - EE, Forêt de Moulière, ex larva da Quercus sp., leg. O. Gregory


nuovo argomento
rispondi
Pagina 1 di 1 [ 1 messaggio ]
Autore Messaggio
 Oggetto del messaggio: Trichoferus pallidus (Olivier, 1790)
MessaggioInviato: 28/02/2011, 12:40 
Avatar utente

Iscritto il: 05/09/2009, 7:56
Messaggi: 3445
Località: Cesena
Nome: Gianfranco Sama
Trichoferus pallidus (Olivier, 1790)
Callidium pallidum Olivier, 1790, Encyclopedie Méthodique, Entomologie, 5 (Ins.): 256. Type locality: Italie.

Austria, Bosnia-Herzegovina, Bulgaria, Croazia, Czechia, Germania, Grecia, Ungheria, Polonia, Portogallo, Romania, Slovakia, Spagna, Russia (Southern territory), Ucraina, Yugoslavia.
Benché descritto di "Italie" non è noto del nostro paese.
Numerose latifoglie sono citate come piante ospiti della larva.
Nell'ordine il maschio e la femmina

Trichoferus pallidus_Francia_male 028.jpg

Trichoferus pallidus_Francia_female 025.jpg


_________________
Gianfranco Sama

"Benedetto colui che ti aiuta a correggere i tuoi errori invece di scagliarteli contro"
___________________________________
Gershom Sholem


Top
profilo
Visualizza ultimi messaggi:  Ordina per  
nuovo argomento
rispondi
Pagina 1 di 1 [ 1 messaggio ]

Tutti gli orari sono UTC + 1 ora [ ora legale ]


Chi c’è in linea

Visitano il forum: Nessuno e 10 ospiti


Non puoi aprire nuovi argomenti
Non puoi rispondere negli argomenti
Non puoi modificare i tuoi messaggi
Non puoi cancellare i tuoi messaggi
Non puoi inviare allegati

Cerca per:
Vai a: