Benvenuto Ospite

Forum Entomologi Italiani

www.entomologiitaliani.net/forum
 
Oggi è 20/04/2026, 19:33

Tutti gli orari sono UTC + 1 ora [ ora legale ]

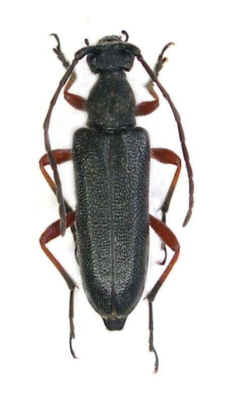
Anoplodera rufipes rufipes (Schaller, 1783) - Bulgaria

17.VI.2009 - BULGARIA - EE, Vitosha Mt.: Vladaja, 1000-1300m


nuovo argomento
rispondi
Pagina 1 di 1 [ 3 messaggi ]
Autore Messaggio
MessaggioInviato: 10/03/2011, 11:59 
Avatar utente

Iscritto il: 05/09/2009, 7:56
Messaggi: 3445
Località: Cesena
Nome: Gianfranco Sama
Anoplodera rufipes rufipes (Schaller, 1783)

Bulgaria (Sofia), Vitosha mt., Vladaja, 1000-1300, 17/28.VI.2009, leg. P. Rapuzzi & G. Sama
Anoplodera rufipes_male_Bulgaria_Vladaja_ 017.jpg

Anoplodera rufipes_female_Bulgaria_Vladaja_ 014.jpg


_________________
Gianfranco Sama

"Benedetto colui che ti aiuta a correggere i tuoi errori invece di scagliarteli contro"
___________________________________
Gershom Sholem


Top
profilo
MessaggioInviato: 10/03/2011, 15:23 
Avatar utente

Iscritto il: 05/08/2009, 18:02
Messaggi: 2264
Nome: Marcello Benelli
Ma ste anoplodera sono insetti effettivamente poco comuni o solo localizzati? Io ho avuto occasione, fin ora, di raccogliere solo un esemplare di A. sexguttata, sul Monte Ossa, mentre in Italia non ho mai incontrato nè l'una, nè l'altra...
A livello larvale che biologia presentano?

_________________
Marci
"S'i fosse fuoco, arderei 'l mondo,
S'i fosse vento, lo tempesterei,
S'i fosse acqua, i' l'annegherei
s'i fosse dio, mandereil' en profondo" ( Cecco Angiolieri).


Top
profilo
MessaggioInviato: 10/03/2011, 17:34 
Avatar utente

Iscritto il: 05/09/2009, 7:56
Messaggi: 3445
Località: Cesena
Nome: Gianfranco Sama
Sono specie non comuni che si trovano saltuariamente. In Bulgaria ne abbiamo raccolto (di A. rufipes) una decina in due.
Biology, host plants and flight period - Anoplodera rufipes - Larval morphology undescribed; larval biology briefly described by Rejzek & Rebl (1999); habits like Pedostrangalia revestita (Linnaeus) and Anisarthron barbipes (Schrank): larvae feed at the base of dead branches in moist dead parts in contact with living tissues. Host plants: Populus nigra (rufipes izzilloi) (Sama, 1999); Quercus petraea (Rejzek & Rebl, 1999), Quercus cerris (Kovacs & Hegyessy, 1995). Demelt (1966) also records Carpinus, Fagus and Betula. Betula, Quercus, Fagus (Danilevsky & Miroshnikov, 1985).
Scusa se è in inglese, ma lo riprendo dal mio atlante. Personalmente ho allevato A. rufipes da una carie su Quercus sp. (Iran settentrionale); stessa biologia di (per esempio) Rhamnusium e A. rufipes izzilloi (Basilicata) da Populus. :ok:

_________________
Gianfranco Sama

"Benedetto colui che ti aiuta a correggere i tuoi errori invece di scagliarteli contro"
___________________________________
Gershom Sholem


Top
profilo
Visualizza ultimi messaggi:  Ordina per  
nuovo argomento
rispondi
Pagina 1 di 1 [ 3 messaggi ]

Tutti gli orari sono UTC + 1 ora [ ora legale ]


Chi c’è in linea

Visitano il forum: Nessuno e 5 ospiti


Non puoi aprire nuovi argomenti
Non puoi rispondere negli argomenti
Non puoi modificare i tuoi messaggi
Non puoi cancellare i tuoi messaggi
Non puoi inviare allegati

Cerca per:
Vai a: