Benvenuto Ospite

Forum Entomologi Italiani

www.entomologiitaliani.net/forum
 
Oggi è 24/02/2026, 23:20

Tutti gli orari sono UTC + 1 ora [ ora legale ]

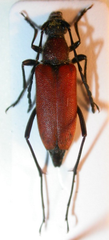
Anastrangalia montana montana (Mulsant et Rey, 1863) - Cerambycidae

26.V.2011 - TURCHIA - EE, 18 Km N-W Sütçüler (Isparta), 37.561 N, 30.805 E, leg. R. Rattu


nuovo argomento
rispondi
Pagina 1 di 1 [ 5 messaggi ]
Autore Messaggio
MessaggioInviato: 29/06/2011, 19:17 
Avatar utente

Iscritto il: 02/09/2009, 20:57
Messaggi: 8703
Località: Cagliari
Nome: Roberto Rattu
Un cerambicide lungo circa 12 mm rinvenuto su fiori: di cosa si tratta?


DSCN8123.JPG

Top
profilo
 Oggetto del messaggio: Re: Anastrangalia sp. - Cerambycidae
MessaggioInviato: 29/06/2011, 20:40 
Avatar utente

Iscritto il: 16/05/2010, 14:26
Messaggi: 761
Località: United Kingdom
Nome: Zdenko Lucbauer
Anastrangalia montana (Mulsant et Rey, 1863) female

:ok:

:hi:


Top
profilo
 Oggetto del messaggio: Re: Anastrangalia sp. - Cerambycidae
MessaggioInviato: 29/06/2011, 20:47 
Avatar utente

Iscritto il: 02/09/2009, 20:57
Messaggi: 8703
Località: Cagliari
Nome: Roberto Rattu
Grazie :ok: :hp: , allora è la femmina di questa!

viewtopic.php?f=145&t=23239&p=127547&hilit=Anastrangalia+montana#p127547

:hi:


Top
profilo
 Oggetto del messaggio: Re: Anastrangalia sp. - Cerambycidae
MessaggioInviato: 29/06/2011, 20:58 
Avatar utente

Iscritto il: 16/05/2010, 14:26
Messaggi: 761
Località: United Kingdom
Nome: Zdenko Lucbauer
[quote="Fumea crassiorella"] , allora è la femmina di questa!

quote]

:arrow: siiiiii Roberto


Top
profilo
 Oggetto del messaggio: Re: Anastrangalia sp. - Cerambycidae
MessaggioInviato: 30/06/2011, 8:01 
Avatar utente

Iscritto il: 05/09/2009, 7:56
Messaggi: 3445
Località: Cesena
Nome: Gianfranco Sama
Fumea crassiorella ha scritto:

Esatto Roberto, per la precisione
Anastrangalia montana montana (Mulsant et Rey, 1863)

_________________
Gianfranco Sama

"Benedetto colui che ti aiuta a correggere i tuoi errori invece di scagliarteli contro"
___________________________________
Gershom Sholem


Top
profilo
Visualizza ultimi messaggi:  Ordina per  
nuovo argomento
rispondi
Pagina 1 di 1 [ 5 messaggi ]

Tutti gli orari sono UTC + 1 ora [ ora legale ]


Chi c’è in linea

Visitano il forum: cromagnon61 e 1 ospite


Non puoi aprire nuovi argomenti
Non puoi rispondere negli argomenti
Non puoi modificare i tuoi messaggi
Non puoi cancellare i tuoi messaggi
Non puoi inviare allegati

Cerca per:
Vai a: