Benvenuto Ospite

Forum Entomologi Italiani

www.entomologiitaliani.net/forum
 
Oggi è 31/01/2026, 7:51

Tutti gli orari sono UTC + 1 ora [ ora legale ]

Acanthocinus hispanicus Sama & Schurmann, 1981 - Spagna, Andalusia. El Campillo

30.III.2011 - SPAGNA - EE, Parque Natural de CAZORLA, SEGURA Y LAS VILLAS


nuovo argomento
rispondi
Pagina 1 di 1 [ 2 messaggi ]
Autore Messaggio
MessaggioInviato: 03/07/2011, 10:57 
Avatar utente

Iscritto il: 05/09/2009, 7:56
Messaggi: 3445
Località: Cesena
Nome: Gianfranco Sama
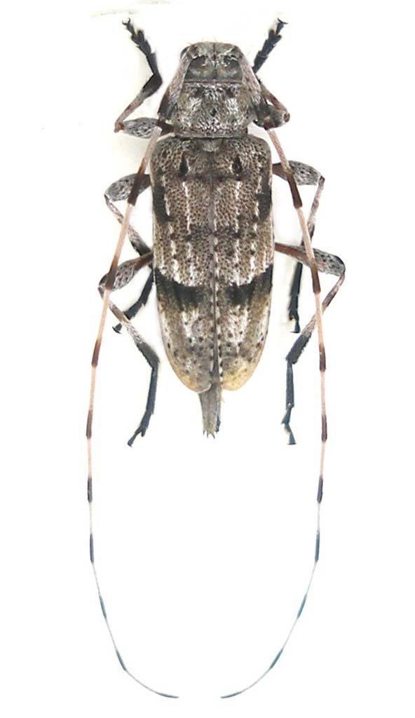
Acanthocinus hispanicus Sama & Schurmann, 1981 -
Spagna, Andalusia. Parque Natural de CAZORLA, SEGURA Y LAS VILLAS, loc. El Campillo sopra Cortijo Nuevos, 1400 m, 30 Marzo 2011. Sfarfallato ex larva in data incerta (trovato morto nel vaso di allevamento), fra il 15 maggio e il 15 giugno 2011
Acanthocinus hispanicus_El Campillo_2011_ 01_07_2011 003.jpg



Questo è l'unico esemplare di questa specie sfarfallato dai rami di Pinus sp. prelevati in questo biotopo
Acanthocinus hispanicus_Sierra de Segura_biotope_SPAGNA 2011 168.jpg


_________________
Gianfranco Sama

"Benedetto colui che ti aiuta a correggere i tuoi errori invece di scagliarteli contro"
___________________________________
Gershom Sholem


Top
profilo
MessaggioInviato: 03/07/2011, 15:53 
Avatar utente

Iscritto il: 20/11/2009, 0:34
Messaggi: 571
Località: Vignola (Mo)
Nome: Claudio Sola
Bellissimo e come al solito complimenti a Gianfranco .

_________________
merlino


Top
profilo
Visualizza ultimi messaggi:  Ordina per  
nuovo argomento
rispondi
Pagina 1 di 1 [ 2 messaggi ]

Tutti gli orari sono UTC + 1 ora [ ora legale ]


Chi c’è in linea

Visitano il forum: Google [Bot] e 2 ospiti


Non puoi aprire nuovi argomenti
Non puoi rispondere negli argomenti
Non puoi modificare i tuoi messaggi
Non puoi cancellare i tuoi messaggi
Non puoi inviare allegati

Cerca per:
Vai a: