Forum Entomologi Italiani
https://www.entomologiitaliani.net/public/forum/phpBB3/

Turanoclytus ilamensis ilamensis Holzschuh, 1979 - Cerambycidae
https://www.entomologiitaliani.net/public/forum/phpBB3/viewtopic.php?f=145&t=25888
Pagina 1 di 1

Autore:  Isotomus [ 21/08/2011, 21:21 ]
Oggetto del messaggio:  Turanoclytus ilamensis ilamensis Holzschuh, 1979 - Cerambycidae

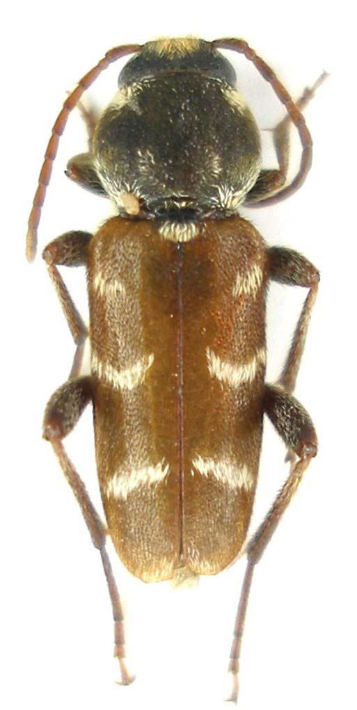
Turanoclytus ilamensis ilamensis Holzschuh, 1979

Specie nuova per il Forum :mrgreen:
Iran, Khorramabad:L Razan Pass, 2000m, 23.V.2005, ex larva da Astragalus sp.
Questa specie, endemica dell'Iran centro occidentale, fu descritta su un solo esemplare femmina. La scoperta della pianta ospite ha permesso di ottenerne una buona serie, compreso il maschio, a quel tempo sconosciuto, e di osservarne il dimorfismo sessuale, la diversa colorazione elitrale.
Maschio
Turanoclytus ilamensis_male_Razan_ 042.jpg


Femmina
Turanoclytus ilamensis_Razan pass_female_018.jpg


Autore:  Pippistrello [ 21/08/2011, 21:41 ]
Oggetto del messaggio:  Re: Turanoclytus ilamensis ilamensis Holzschuh, 1979 - I tesori del congelatore

Isotomus ha scritto:
Turanoclytus ilamensis ilamensis Holzschuh, 1979

Specie nuova per il Forum


E pure bella..... :ok:

Pagina 1 di 1 Tutti gli orari sono UTC + 1 ora [ ora legale ]
Powered by phpBB® Forum Software © phpBB Group
http://www.phpbb.com/