| Forum Entomologi Italiani https://www.entomologiitaliani.net/public/forum/phpBB3/ |
|
| Pedostrangalia riccardoi riccardoi Holzschuh, 1984 - Cerambycidae - I tesori del congelatore https://www.entomologiitaliani.net/public/forum/phpBB3/viewtopic.php?f=145&t=26365 |
Pagina 1 di 1 |
| Autore: | Isotomus [ 03/09/2011, 15:02 ] |
| Oggetto del messaggio: | Pedostrangalia riccardoi riccardoi Holzschuh, 1984 - Cerambycidae - I tesori del congelatore |
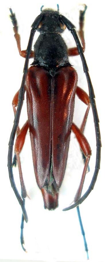
Pedostrangalia riccardoi riccardoi Holzschuh, 1984 - Cerambycidae Specie nuova per il forum. La sottospecie tiponominale, descritta di Giordania (dedicata a Riccardo Mourglia) e nota anche della Siria meridionale, è sostituita in Israele dalla sottospecie P. r. carmelita Sama, 1996 L'esemplare qui raffigurato è sfarfallato ex larva da una carie presente su una pianta perfettamente sana di Quercus calliprinos. Tanto in Giordania quanto in Israele convive con Alocerus moesiacus
|
|
| Autore: | Daniele Sechi [ 03/09/2011, 16:16 ] |
| Oggetto del messaggio: | Re: Pedostrangalia riccardoi riccardoi Holzschuh, 1984 - Cerambycidae - I tesori del congelatore |
Gianfranco immagino volessi scrivere "tanto in Giordania quanto in Israele", correggo? |
|
| Autore: | Isotomus [ 03/09/2011, 16:32 ] |
| Oggetto del messaggio: | Re: Pedostrangalia riccardoi riccardoi Holzschuh, 1984 - Cerambycidae - I tesori del congelatore |
Si Daniele, scusa il lapsus. grazie
|
|
| Pagina 1 di 1 | Tutti gli orari sono UTC + 1 ora [ ora legale ] |
| Powered by phpBB® Forum Software © phpBB Group http://www.phpbb.com/ |
|