Benvenuto Ospite

Forum Entomologi Italiani

www.entomologiitaliani.net/forum
 
Oggi è 22/12/2025, 16:33

Tutti gli orari sono UTC + 1 ora [ ora legale ]

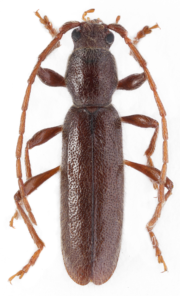
Hybometopia starcki Ganglbauer, 1889 - Cerambycidae

2.V.2011 - FEDERAZIONE RUSSA - EE, Krasnodar reg.


nuovo argomento
rispondi
Pagina 1 di 1 [ 3 messaggi ]
Autore Messaggio
MessaggioInviato: 06/11/2011, 19:44 
 

Iscritto il: 11/01/2011, 23:27
Messaggi: 21
Località: Russia
Nome: Denis Kasatkin
Krasnodar reg., Goriachy Kliuch distr., Shiotka mts., 02 05 2011, leg. Kasatkin D.


hybometopia2.jpg

Top
profilo
 Oggetto del messaggio: Re: hybometopia
MessaggioInviato: 06/11/2011, 22:51 
Avatar utente

Iscritto il: 30/12/2009, 22:20
Messaggi: 31564
Località: Roma
Nome: Maurizio Gigli
Very strange species! Can you specify the size?

_________________
Maurizio Gigli
http://utenti.romascuola.net/bups
http://bup.xoom.it/


Top
profilo
 Oggetto del messaggio: Re: hybometopia
MessaggioInviato: 07/11/2011, 19:36 
 

Iscritto il: 11/01/2011, 23:27
Messaggi: 21
Località: Russia
Nome: Denis Kasatkin
It`s specimen of H.starcki has 9 mm.


Top
profilo
Visualizza ultimi messaggi:  Ordina per  
nuovo argomento
rispondi
Pagina 1 di 1 [ 3 messaggi ]

Tutti gli orari sono UTC + 1 ora [ ora legale ]


Chi c’è in linea

Visitano il forum: Nessuno e 3 ospiti


Non puoi aprire nuovi argomenti
Non puoi rispondere negli argomenti
Non puoi modificare i tuoi messaggi
Non puoi cancellare i tuoi messaggi
Non puoi inviare allegati

Cerca per:
Vai a: