Benvenuto Ospite

Forum Entomologi Italiani

www.entomologiitaliani.net/forum
 
Oggi è 22/12/2025, 16:15

Tutti gli orari sono UTC + 1 ora [ ora legale ]

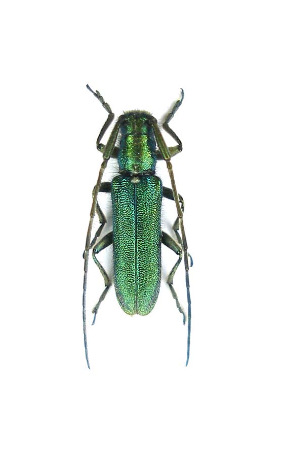
Agapanthia (Agapanthia) pesarinii Rapuzzi & Sama, 2010 - Cerambycidae

19.V.2011 - TURCHIA - EE, 25 km S Tunceli


nuovo argomento
rispondi
Pagina 1 di 1 [ 3 messaggi ]
Autore Messaggio
MessaggioInviato: 19/06/2011, 19:48 
Avatar utente

Iscritto il: 05/09/2009, 7:56
Messaggi: 3445
Località: Cesena
Nome: Gianfranco Sama
Agapanthia (Agapanthia) pesarinii Rapuzzi & Sama, 2010

Specie endemica di Turchia, che abbiamo recentemente separato da altre specie dello stesso gruppo, che si sviluppano specialmente su Psoralea bituminosa.
Agapanthia pesarinii_002.jpg


_________________
Gianfranco Sama

"Benedetto colui che ti aiuta a correggere i tuoi errori invece di scagliarteli contro"
___________________________________
Gershom Sholem


Top
profilo
MessaggioInviato: 19/06/2011, 19:56 
Avatar utente

Iscritto il: 21/05/2010, 23:05
Messaggi: 2984
Località: San Godenzo (FI)
Nome: Carlo Massarone
Bellissima :o

_________________
Carlo Massarone


Top
profilo
MessaggioInviato: 20/10/2011, 14:05 
Avatar utente

Iscritto il: 28/07/2010, 11:11
Messaggi: 235
Località: Poland
Nome: Jacek Kurzawa
Agapanthia (Agapanthia) pesarinii Sama & Rapuzzi, 2010:177

in:
Sama G., Rapuzzi P. & Kairouz A., 2010 - Catalogue commenté des Cerambycidae du Liban. Quad. Studi Nat. Romagna, 30: 131-201

:)


Top
profilo
Visualizza ultimi messaggi:  Ordina per  
nuovo argomento
rispondi
Pagina 1 di 1 [ 3 messaggi ]

Tutti gli orari sono UTC + 1 ora [ ora legale ]


Chi c’è in linea

Visitano il forum: Nessuno e 1 ospite


Non puoi aprire nuovi argomenti
Non puoi rispondere negli argomenti
Non puoi modificare i tuoi messaggi
Non puoi cancellare i tuoi messaggi
Non puoi inviare allegati

Cerca per:
Vai a: