Benvenuto Ospite

Forum Entomologi Italiani

www.entomologiitaliani.net/forum
 
Oggi è 23/12/2025, 2:07

Tutti gli orari sono UTC + 1 ora [ ora legale ]

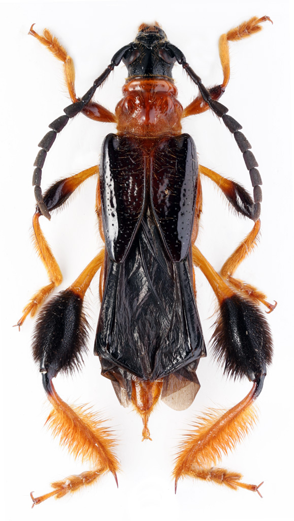
MeriMerionoeda (Macromolorchus) hirsuta (Mit.et Nish., 1936) - Cerambycidae

3.VII.2003 - GIAPPONE - EE


nuovo argomento
rispondi
Pagina 1 di 1 [ 3 messaggi ]
Autore Messaggio
MessaggioInviato: 07/11/2011, 19:55 
 

Iscritto il: 11/01/2011, 23:27
Messaggi: 21
Località: Russia
Nome: Denis Kasatkin
Merionoeda (Macromolorchus) hirsuta (Mit.et Nish., 1936) - Japan, Kotobiki pass. 03.07.2003


macromolorhus_female_edit2.jpg

Top
profilo
 Oggetto del messaggio: Re: Merionoeda hirsuta
MessaggioInviato: 07/11/2011, 20:26 
Avatar utente

Iscritto il: 29/08/2011, 18:58
Messaggi: 230
Località: Viareggio (LU)
Nome: Marco Fornaciari
Nice insect and nice photo!


Top
profilo
 Oggetto del messaggio: Re: Merionoeda hirsuta
MessaggioInviato: 07/11/2011, 20:32 
Avatar utente

Iscritto il: 28/05/2011, 21:10
Messaggi: 1981
Nome: Umberto Devincenzo
Very nice insect!! :shock: :shock:

_________________
"La compassione e l'empatia per il più piccolo degli animali, è una delle più nobili virtù che un uomo possa ricevere in dono."
Charles Darwin


Top
profilo
Visualizza ultimi messaggi:  Ordina per  
nuovo argomento
rispondi
Pagina 1 di 1 [ 3 messaggi ]

Tutti gli orari sono UTC + 1 ora [ ora legale ]


Chi c’è in linea

Visitano il forum: Nessuno e 1 ospite


Non puoi aprire nuovi argomenti
Non puoi rispondere negli argomenti
Non puoi modificare i tuoi messaggi
Non puoi cancellare i tuoi messaggi
Non puoi inviare allegati

Cerca per:
Vai a:  
cron