Benvenuto Ospite

Forum Entomologi Italiani

www.entomologiitaliani.net/forum
 
Oggi è 25/12/2025, 14:28

Tutti gli orari sono UTC + 1 ora [ ora legale ]

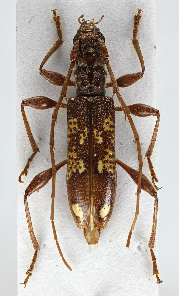
Coptocercus biguttatus (Donovan, 1805) - Cerambycidae Cerambycinae Elaphidiini

11.I.2001 - AUSTRALIA - EE, QLD, Brochfield


nuovo argomento
rispondi
Pagina 1 di 1 [ 4 messaggi ]
Autore Messaggio
MessaggioInviato: 28/11/2012, 16:59 
Avatar utente

Iscritto il: 04/02/2009, 17:49
Messaggi: 5532
Località: Cagliari
Nome: Daniele Sechi
Visto che farò alcune foto ai miei cerambici ancora indeterminati, perché non incrementare la galleria del forum?
Questo mi è stato identificato come Coptocercus biguttatus (Donovan, 1805) - Cerambycidae Cerambycinae Elaphidiini

Dimensioni 12 mm

Coptocercus biguttatus rid.jpg


_________________
:hi:
Daniele


Top
profilo
MessaggioInviato: 28/11/2012, 23:02 
Avatar utente

Iscritto il: 01/07/2010, 22:26
Messaggi: 5650
Località: Viterbo
Nome: Marco Selis
Ciao Daniele, puoi dirmi da chi ricevi materiale australiano(se vuoi anche in privato)? In Australia ci sono alcuni Silfidi e Vespidi interessanti ma non trovo alcun modo per riceverli.


Top
profilo
MessaggioInviato: 29/11/2012, 10:01 
Avatar utente

Iscritto il: 04/02/2009, 17:49
Messaggi: 5532
Località: Cagliari
Nome: Daniele Sechi
Nessun segreto purtroppo Marco. Ho scambiato anni fa con uno svizzero che era andato in vacanza in Australia e mi aveva mandato qualcosina.
Tutto qui :)

_________________
:hi:
Daniele


Top
profilo
MessaggioInviato: 29/11/2012, 16:42 
Avatar utente

Iscritto il: 01/07/2010, 22:26
Messaggi: 5650
Località: Viterbo
Nome: Marco Selis
Grazie comunque Daniele :birra:


Top
profilo
Visualizza ultimi messaggi:  Ordina per  
nuovo argomento
rispondi
Pagina 1 di 1 [ 4 messaggi ]

Tutti gli orari sono UTC + 1 ora [ ora legale ]


Chi c’è in linea

Visitano il forum: Nessuno e 3 ospiti


Non puoi aprire nuovi argomenti
Non puoi rispondere negli argomenti
Non puoi modificare i tuoi messaggi
Non puoi cancellare i tuoi messaggi
Non puoi inviare allegati

Cerca per:
Vai a: