| Forum Entomologi Italiani https://www.entomologiitaliani.net/public/forum/phpBB3/ |
|
| Anaglyptus danilevskii Miroshn., 2000 - Cerambycidae https://www.entomologiitaliani.net/public/forum/phpBB3/viewtopic.php?f=145&t=42764 |
Pagina 1 di 1 |
| Autore: | Coptosia [ 26/02/2013, 10:48 ] | ||
| Oggetto del messaggio: | Anaglyptus danilevskii Miroshn., 2000 - Cerambycidae | ||
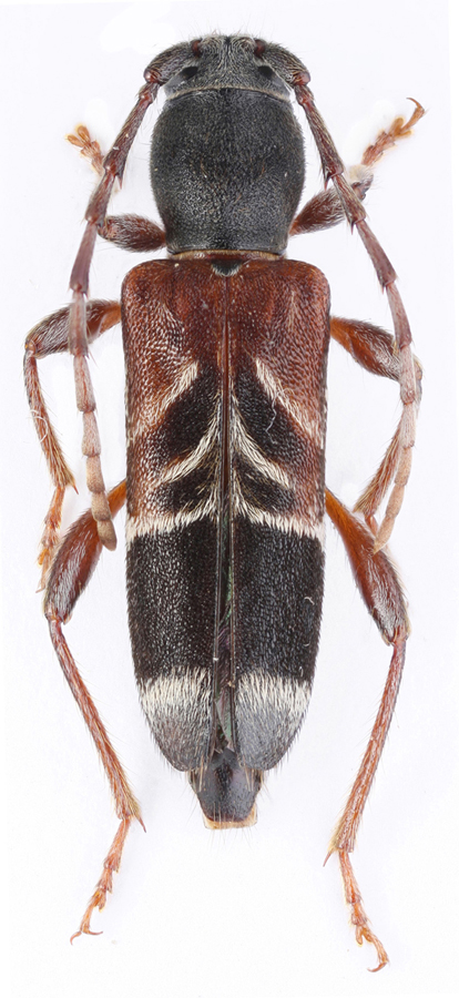
Anaglyptus danilevskii Miroshn., 2000
|
|||
| Autore: | Xylosteus [ 27/02/2013, 10:11 ] |
| Oggetto del messaggio: | Re: Anaglyptus danilevskii Miroshn., 2000 - Cerambycidae |
Hi Denis, very nice beetle as well. Why you think that it is danilevsky and not Anaglyptus arabicus? Ciao Pierpaolo |
|
| Autore: | Coptosia [ 27/02/2013, 13:11 ] |
| Oggetto del messaggio: | Re: Anaglyptus danilevskii Miroshn., 2000 - Cerambycidae |
Hi Pierpaolo, On shoulders it has some white hairs - it characters of danilevskii. Also, my specimens saw A.Miroshnikov and he confirmed that it is A.danilevskii. |
|
| Autore: | Xylosteus [ 27/02/2013, 14:39 ] |
| Oggetto del messaggio: | Re: Anaglyptus danilevskii Miroshn., 2000 - Cerambycidae |
Thanks a lot. Pierpaolo |
|
| Pagina 1 di 1 | Tutti gli orari sono UTC + 1 ora [ ora legale ] |
| Powered by phpBB® Forum Software © phpBB Group http://www.phpbb.com/ |
|