Benvenuto Ospite

Forum Entomologi Italiani

www.entomologiitaliani.net/forum
 
Oggi è 17/03/2026, 22:49

Tutti gli orari sono UTC + 1 ora [ ora legale ]

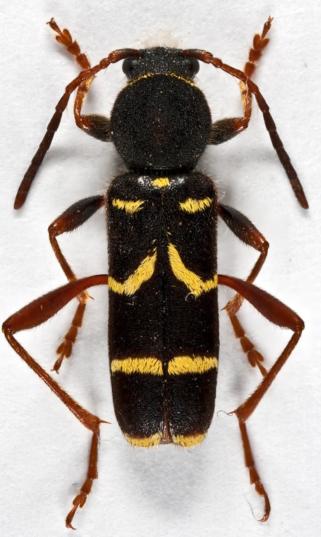
Clytus arietis oblitus Roubal, 1932 - Cerambycidae

VI.2012 - ARMENIA - EE, Diligan reserve


nuovo argomento
rispondi
Pagina 1 di 1 [ 4 messaggi ]
Autore Messaggio
MessaggioInviato: 24/03/2013, 9:18 
 

Iscritto il: 03/11/2009, 11:59
Messaggi: 10
Località: Czech Republic - south
Nome: Tomáš Peterka
Clytus arietis ssp. or another one?


Clytus Armenia1.jpg

Top
profilo
 Oggetto del messaggio: Re: Cerambycidea, Clytus from Armenia
MessaggioInviato: 24/03/2013, 10:04 
 

Iscritto il: 30/09/2009, 19:19
Messaggi: 1104
Località: Czech rep.
Nome: Ivo Boščík
Genus: Clytus Laicharting, 1784
Subgenus: Clytus Laicharting, 1784
tropicus Panzer, 1795 E: MD UK ST
schneideri Kiesenwetter, 1879
ssp. schneideri Kiesenwetter, 1879 A: GG AR AB
rhamni Germar, 1817
ssp. temesiensis Germar, 1824 E: MD UK CT ST A: GG AR AB KZ
lama Mulsant, 1847 E: UK MD
arietis Linnaeus, 1758
ssp. oblitus Roubal, 1932 E: ST A: GG AR AB
ssp. arietis Linnaeus, 1758 E: MD UK NT CT ST
ssp. lederi Ganglbauer, 1882 A: AB TM
arietoides Reitter, 1899 E: NT CT ?ST A: KZ WS ES FE MG
= venustulus Plavilstshikov, 1940
mayeti Théry, 1892 A: ?ES ?FE
melaenus Bates, 1884 A: FE
raddensis Pic,1904 A: FE
= hypocrita Plavilstshikov, 1940
nigritulus Kraatz, 1879 A: FE
= fulvohirsutus Pic,1904
Subgenus: Sphegoclytus Sama, 2005
vesparum Reitter, 1889 A: AB
stepanovi Danilevsky et Miroshnikov, 1985 E: ST A: GG


Top
profilo
 Oggetto del messaggio: Re: Cerambycidea, Clytus from Armenia
MessaggioInviato: 24/03/2013, 11:44 
 

Iscritto il: 13/09/2009, 18:04
Messaggi: 882
Nome: Pierpaolo Rapuzzi
Hi Tomáš,
it is surely Clytus arietis oblitus.
Pierpaolo


Top
profilo
MessaggioInviato: 25/03/2013, 4:29 
Avatar utente

Iscritto il: 28/07/2010, 11:11
Messaggi: 235
Località: Poland
Nome: Jacek Kurzawa
Why? Distribution?

Interesting is a one feature. Plavilstshikov 1940: 405 wrote, that C.oblitum must have a first stripe always diagonal and this feature is not possible in C.arietis:


....рисунок надкрылий того же типа, что и у С. arietis, но полоска сзади
основания всегда заметно косая (косо направлена
вниз и в сторону шва)
, первая перевязка более ко-
роткая, по шву совсем не вытянута, обычно представ-
лена почти прямой, косо направленной вперед и ко
шву полоской, шва не достигает; в наиболее типич-
ных случаях продолженная в сторону левого перед-
него косого пятна, правая перевязка образует с ним Фиг. 237.R Clitus oblitus JUb.
почти прямую линию, пересечение обеих перевязок
и обеих косых полосок образует почти правильный косой крест, чего у
С. arietis L. получиться не может
(фиг. 237).


If it is C.arietis oblitum (I think so, too) it have not typical pattern on elytra (by Plavilstshikov, 1940: 405).


clytus_arietis_oblitus.gif

Top
profilo
Visualizza ultimi messaggi:  Ordina per  
nuovo argomento
rispondi
Pagina 1 di 1 [ 4 messaggi ]

Tutti gli orari sono UTC + 1 ora [ ora legale ]


Chi c’è in linea

Visitano il forum: Nessuno e 10 ospiti


Non puoi aprire nuovi argomenti
Non puoi rispondere negli argomenti
Non puoi modificare i tuoi messaggi
Non puoi cancellare i tuoi messaggi
Non puoi inviare allegati

Cerca per:
Vai a: