| Forum Entomologi Italiani https://www.entomologiitaliani.net/public/forum/phpBB3/ |
|
| Cortodera umbripennis Reitter, 1890 (cfr.) - Cerambycidae https://www.entomologiitaliani.net/public/forum/phpBB3/viewtopic.php?f=145&t=46578 |
Pagina 1 di 1 |
| Autore: | Maurizio Bollino [ 31/07/2013, 19:07 ] |
| Oggetto del messaggio: | Cortodera umbripennis Reitter, 1890 (cfr.) - Cerambycidae |
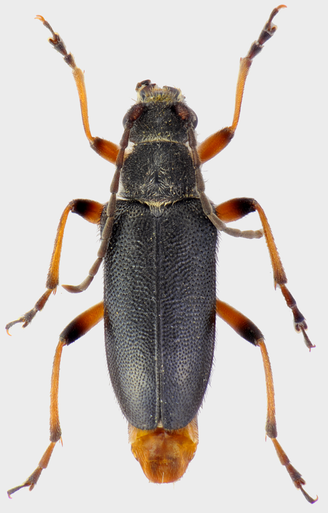
Raccolti un paio di esemplari insieme a questi, potrebbero non essere nemmeno Cortodera.... |
|
| Autore: | Plagionotus [ 01/08/2013, 15:15 ] |
| Oggetto del messaggio: | Re: Cortodera (?) sp. - Cerambycidae |
Per essere una cortodera è una Cortodera, la butto lì, senza nessuna pretesa di identificazione: aestiva? |
|
| Autore: | Xylosteus [ 01/08/2013, 16:46 ] |
| Oggetto del messaggio: | Re: Cortodera (?) sp. - Cerambycidae |
Anche questa è una Cortodera umbripennis. Ho raccolto diversi esemplari a zampe più o meno rosse ma sempre più a ovest (Mus, Bingol, Tunceli), questa località è interessante. Pierpaolo |
|
| Autore: | Plagionotus [ 01/08/2013, 16:49 ] |
| Oggetto del messaggio: | Re: Cortodera (?) sp. - Cerambycidae |
|
|
| Autore: | Maurizio Bollino [ 01/08/2013, 18:55 ] |
| Oggetto del messaggio: | Re: Cortodera (?) sp. - Cerambycidae |
Xylosteus ha scritto: Anche questa è una Cortodera umbripennis. Ho raccolto diversi esemplari a zampe più o meno rosse ma sempre più a ovest (Mus, Bingol, Tunceli), questa località è interessante. Pierpaolo Caro Pierpaolo, grazie per l'identificazione. Devo ammettere che mi risulta difficile considerare anche questo pattern conspecifico con le altre umbripennis. Negli esemplari che mi hai identificato i peli elitrali sono chiari in entrambe le forme cromatriche e tutti i ventriti sono neri, tranne il pigidio del maschio che è rosso; in questo esemplare la peluria elitrale è nera e gli ultimi ventriti sono rossi sia nel maschio che nella femmina. Vedendo però la variabilità cromatica documentata da Danilevsky in C. villosa ammetto che queste bestiole sono veramente estremamente variabili.
|
|
| Pagina 1 di 1 | Tutti gli orari sono UTC + 1 ora [ ora legale ] |
| Powered by phpBB® Forum Software © phpBB Group http://www.phpbb.com/ |
|