Benvenuto Ospite

Forum Entomologi Italiani

www.entomologiitaliani.net/forum
 
Oggi è 19/02/2026, 6:06

Tutti gli orari sono UTC + 1 ora [ ora legale ]

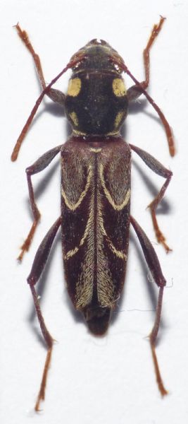
Calanthemis hauseri Jordan, 1904 (cf.) - Cerambycidae

27.X.2012 - KENYA - EE, Nairobi


nuovo argomento
rispondi
Pagina 1 di 1 [ 6 messaggi ]
Autore Messaggio
MessaggioInviato: 08/08/2013, 13:53 
 

Iscritto il: 31/05/2010, 13:17
Messaggi: 166
Località: Warsaw
Nome: Jan Tatur-Dytkowski
Two specimens of this interesting Clytini reared this June from a deciduous tree branch found in Nairobi last year. Does anyone have come across this species?


Clytini Kenya.jpg


_________________
"Whenever I hear of the capture of rare beetles, I feel like an old war-horse at the sound of a trumpet"

- Charles Darwin
Top
profilo
 Oggetto del messaggio: Re: Clytini - Cerambycidae from Kenya
MessaggioInviato: 04/01/2014, 22:33 
 

Iscritto il: 14/10/2011, 14:54
Messaggi: 226
Località: Castelnuovo Bocca d'Adda (LO)
Nome: Luciano Arcorace
I clytini segnalati per il Kenia sono solamente 5

Calanthemis hauseri Jordan, 1904
Calanthemis subcruciatus (White, 1855)
Carinoclytus thomsoni (Harold, 1880)
Chlorophorus capensis (Castelnau & Gory, 1841)
Chlorophorus deterrens (Pascoe, 1862)

di tre ho trovato le immagini sul web, e sono chiaramente differenti da questo esemplare
Clorophorus deterrens, qui
Clorophorus capensis qui
Calanthemis subcruciatus qui

Non ho trovato invece immagini e nemmeno la descrizione originale di Carinoclytus thomsoni.
Ma quello che si legge nella descrizione originale di Carinoclytus semiruber, qui a pag.336, dovrebbe somigliare molto a questa specie, che ha pronoto rosso. Il genere Carynoclytus, inoltre, ha una distintiva carena sul capo quindi controllando direttamente l'esemplare o fotografandone il capo si può dire facilmente se appartiene a questo genere.

Non ho trovato immagini di Calanthemis hauseri, ma la sua descrizione originale, che riporto.
Calanthemis hauseri.jpg



La descrizione sembra corrispondere bene, quindi io direi Calanthemis hauseri Jordan, 1904 cf.

Ovviamente potrebbe essere una specie non segnalata per il Kenia o una nuova specie, il che impone il "confronta"

_________________
Ciao Lucio


Top
profilo
 Oggetto del messaggio: Re: Clytini - Cerambycidae from Kenya
MessaggioInviato: 04/01/2014, 23:20 
Amministratore
Avatar utente

Iscritto il: 02/02/2009, 23:30
Messaggi: 7105
Località: Capaci (Pa)
Nome: Marcello Romano
Limonium calabrum ha scritto:
...Non ho trovato invece immagini e nemmeno la descrizione originale di Carinoclytus thomsoni...


Ciao Lucio :)
Qui c'è la descrizione originale di C. thomsoni

_________________
:hi: Marcello Romano


Top
profilo
 Oggetto del messaggio: Re: Clytini - Cerambycidae from Kenya
MessaggioInviato: 04/01/2014, 23:54 
 

Iscritto il: 14/10/2011, 14:54
Messaggi: 226
Località: Castelnuovo Bocca d'Adda (LO)
Nome: Luciano Arcorace
grazie marcello :lov1: avevo cercato parecchio sul web senza esiti

come avevo intuito anche questa specie non corrisponde all'esemplare in questione, quindi si fa più consistente l'ipotesi che si tratti di Calanthemis hauseri

_________________
Ciao Lucio


Top
profilo
 Oggetto del messaggio: Re: Clytini - Cerambycidae from Kenya
MessaggioInviato: 06/01/2014, 1:56 
 

Iscritto il: 31/05/2010, 13:17
Messaggi: 166
Località: Warsaw
Nome: Jan Tatur-Dytkowski
Grazie!
nuova foto della femmina
Calanthemis hauseri :?


Calanthemis.jpg


_________________
"Whenever I hear of the capture of rare beetles, I feel like an old war-horse at the sound of a trumpet"

- Charles Darwin
Top
profilo
 Oggetto del messaggio: Re: Clytini - Cerambycidae from Kenya
MessaggioInviato: 19/01/2014, 17:29 
Avatar utente

Iscritto il: 30/12/2009, 22:20
Messaggi: 31564
Località: Roma
Nome: Maurizio Gigli
jaho ha scritto:
Grazie!
nuova foto della femmina
Calanthemis hauseri :?

La descrizione trovata da Luciano mi sembra corrispondere perfettamente, tenuto conto conto di un minimo di variabilità individuale, con le caratteristiche visibili nei tuoi esemplari.

_________________
Maurizio Gigli
http://utenti.romascuola.net/bups
http://bup.xoom.it/


Top
profilo
Visualizza ultimi messaggi:  Ordina per  
nuovo argomento
rispondi
Pagina 1 di 1 [ 6 messaggi ]

Tutti gli orari sono UTC + 1 ora [ ora legale ]


Chi c’è in linea

Visitano il forum: Google [Bot] e 2 ospiti


Non puoi aprire nuovi argomenti
Non puoi rispondere negli argomenti
Non puoi modificare i tuoi messaggi
Non puoi cancellare i tuoi messaggi
Non puoi inviare allegati

Cerca per:
Vai a:  
cron