Benvenuto Ospite

Forum Entomologi Italiani

www.entomologiitaliani.net/forum
 
Oggi è 18/11/2025, 6:26

Tutti gli orari sono UTC + 1 ora [ ora legale ]

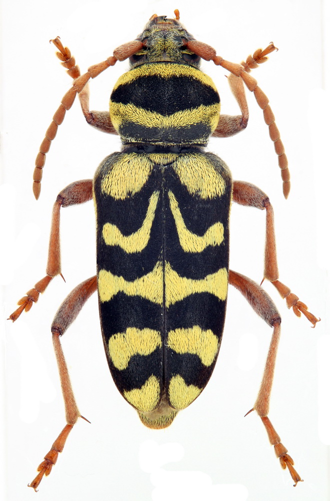
Plagionotus bobelayei (Brullé, 1832) - Cerambycidae

1.VI.1997 - GRECIA - EE, Epiro, dintorni di Ioánina, M. Romano leg.


nuovo argomento
rispondi
Pagina 1 di 1 [ 8 messaggi ]
Autore Messaggio
MessaggioInviato: 11/08/2013, 17:44 
Amministratore
Avatar utente

Iscritto il: 02/02/2009, 23:30
Messaggi: 7104
Località: Capaci (Pa)
Nome: Marcello Romano
Plagionotus bobelayei (Brullé, 1832) è già presente sul forum, con due esemplari di Turchia ed uno di Siria (vedi).
Aggiungo questo mio reperto di Grecia del 1997.
L'esemplare misura 18 mm.




Plagionotus-bobelayi05.jpg






Immagine

_________________
:hi: Marcello Romano


Top
profilo
MessaggioInviato: 12/08/2013, 8:10 
Avatar utente

Iscritto il: 05/08/2009, 18:02
Messaggi: 2264
Nome: Marcello Benelli
Bellissimo!

_________________
Marci
"S'i fosse fuoco, arderei 'l mondo,
S'i fosse vento, lo tempesterei,
S'i fosse acqua, i' l'annegherei
s'i fosse dio, mandereil' en profondo" ( Cecco Angiolieri).


Top
profilo
MessaggioInviato: 30/07/2014, 16:26 
Avatar utente

Iscritto il: 20/11/2009, 0:34
Messaggi: 571
Località: Vignola (Mo)
Nome: Claudio Sola
ciao , volevo chiedere , ma si trova anche in Sicilia ?

_________________
merlino


Top
profilo
MessaggioInviato: 30/07/2014, 17:06 
Avatar utente

Iscritto il: 30/12/2009, 22:20
Messaggi: 31564
Località: Roma
Nome: Maurizio Gigli
claudio sola ha scritto:
ciao , volevo chiedere , ma si trova anche in Sicilia ?

Non mi risulta. Come ti è venuta questa curiosità?

_________________
Maurizio Gigli
http://utenti.romascuola.net/bups
http://bup.xoom.it/


Top
profilo
MessaggioInviato: 31/07/2014, 15:52 
Avatar utente

Iscritto il: 20/11/2009, 0:34
Messaggi: 571
Località: Vignola (Mo)
Nome: Claudio Sola
ne ho uno , cartellinato : IT. Sicilia , Geraci Siculo 29-V-2006 leg Sarovec , allora mi sono posto la domanda , anche perché è molto simile , ma .... adesso ti posto la foto , se non è bobelayei io non so , aiutoooooo


geraci siculo .JPG


_________________
merlino
Top
profilo
MessaggioInviato: 31/07/2014, 15:57 
Avatar utente

Iscritto il: 30/12/2010, 11:51
Messaggi: 4548
Località: San Giovanni Valdarno (AR)
Nome: Giovanni Altadonna
Ciao Claudio. :)
Il tuo esemplare, vista la provenienza, dovrebbe essere Plagionotus scalaris (Brullé, 1832)

_________________
"L' uomo che è cieco alle bellezze della natura ha perduto metà del piacere di vivere"
Sir Robert Baden Powell

Giovanni Altadonna


Top
profilo
MessaggioInviato: 31/07/2014, 16:43 
Avatar utente

Iscritto il: 20/11/2009, 0:34
Messaggi: 571
Località: Vignola (Mo)
Nome: Claudio Sola
Ciao Giovanni ,
ti ringrazio , a me sembrava strano , ma per avere certezze è sempre meglio questa via ,
:ok:

_________________
merlino


Top
profilo
MessaggioInviato: 31/07/2014, 19:56 
Avatar utente

Iscritto il: 28/03/2011, 14:46
Messaggi: 634
Località: Cadiz, España
Nome: Antonio Verdugo
La situación del grupo de "especies" al que pertenecen scalaris, bobelayei y andreui no es muy clara.
Los dos primeros están descritos de la misma localidad y en el mismo trabajo: Morea (Grecia) y se diferencian tan sólo por leves diferencias cromáticas, por lo que es muy posible que se trate de la misma especie.
Tras la última revisión del grupo por parte de Gianfranco Sama, ha mantenido las dos especies pero dejando bobelayei para la Europa oriental y Turquía, scalaris para el norte de Africa y Sicilia y andreui para la Penísnula Ibérica.
Como puede apreciarse, la "especie" ibérica es muy semejante a scalaris o bobelayei.
Saludos a todos. :hi:


Plagionotus andreui femmina
HEMBRA F.jpg

Plagionotus andreui maschio
MACHO F.jpg


_________________
Antonio Verdugo
https://sites.google.com/site/unentomologoandaluz/
Top
profilo
Visualizza ultimi messaggi:  Ordina per  
nuovo argomento
rispondi
Pagina 1 di 1 [ 8 messaggi ]

Tutti gli orari sono UTC + 1 ora [ ora legale ]


Chi c’è in linea

Visitano il forum: Nessuno e 14 ospiti


Non puoi aprire nuovi argomenti
Non puoi rispondere negli argomenti
Non puoi modificare i tuoi messaggi
Non puoi cancellare i tuoi messaggi
Non puoi inviare allegati

Cerca per:
Vai a:  
cron