| Autore |
Messaggio |
|
Loriscola
|
Inviato: 01/02/2010, 20:52 |
|
Iscritto il: 05/02/2009, 17:25 Messaggi: 4894 Località: Zola Predosa (BO)
Nome: Loris Colacurcio
|
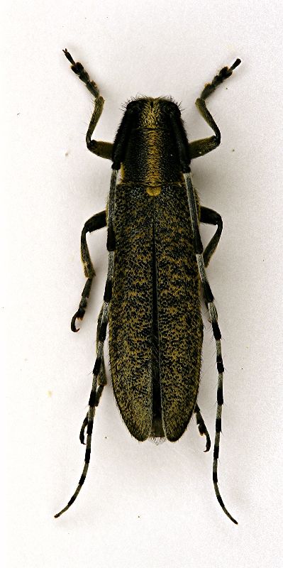
A me dispiace molto disturbare Isotomus...ma guardando la bestiola postata da Notoxus, nonostante non ne avessi prima, mi sovvengono ora dei dubbi Questa è un'Agapanthia villosoviridescens (De Geer, 1775) , nevvero ? Qui nel bolognese, non capisco se per mia colpa o meno è una specie estremamente difficile da trovare, tanto che sino ad ora ne ho raccolti solo 2 esemplari. Sasso Marconi (BO) - Palazzo Rossi, 19.V.2009 Lunghezza: 15 mm.
_________________ Loris
|
|
| Top |
|
 |
|
Daniele Sechi
|
Inviato: 01/02/2010, 20:58 |
|
Iscritto il: 04/02/2009, 17:49 Messaggi: 5553 Località: Cagliari
Nome: Daniele Sechi
|
|
Anche per me villosoviridescens
_________________  Daniele
|
|
| Top |
|
 |
|
Plagionotus
|
Inviato: 01/02/2010, 21:58 |
|
Iscritto il: 21/05/2009, 14:59 Messaggi: 6994 Località: Parigi
Nome: Riccardo Poloni
|
al 100%, la distingui con molta sicurezza oltre per l'aspetto generale, per i ciuffi di peli, tipo Rosalia alpina che trovi nella sicula malmerendii sul terzo e quarto articolo. Qua nel modenese è molto comune, anche se molto meno della cardui, diciamo, in un prato favoloso che ho scoperto l'anno scorso, che non tagliano dal 2000 perchè è un sito archeologico, in rapporto 20:1, devi sfalciare sulle composite, soprattutto carduacee, ma si trova anche a vista, e soprattutto non rischi che ti saltino via quando il retino sbatte contro al massiccio stelo del cardo, non sono Gianfranco ma direi che dovrei aver azzeccato almeno la determinazione 
_________________ Riccardo Poloni La dignità degli elementi la libertà della poesia, al di là dei tradimenti degli uomini è magia, è magia, è magia... Negrita, Rotolando verso sud
|
|
| Top |
|
 |
|
Loriscola
|
Inviato: 01/02/2010, 22:09 |
|
Iscritto il: 05/02/2009, 17:25 Messaggi: 4894 Località: Zola Predosa (BO)
Nome: Loris Colacurcio
|
Questa conferma mi rincuora alquanto. Altrimenti avrei dovuto davvero rimettere in discussione tante cose. Spero solo che adesso non arrivi la mazzata che mi contraddica.... 
_________________ Loris
|
|
| Top |
|
 |
|
Isotomus
|
Inviato: 02/02/2010, 10:23 |
|
Iscritto il: 05/09/2009, 7:56 Messaggi: 3445 Località: Cesena
Nome: Gianfranco Sama
|
|
Nessuna mazzata; è lei al 200% - Normalmente bastano le antenne grigie per caratterizzare questa specie fra le Agapanthia italiane. Ma il carattere dei ciuffi antennali indicato da Dado è perfetto. E' specie sciafila (alla lettera, predilige ambienti ombrosi) montana e submontana, ma in Romagna l'ho trovata anche in pianura. Oltre che sulle carduacee (Asteraceae per essere più precisi) io la trovo (o la trovavo) spesso sulle ortiche. (Dado, cosa intendi per Composite ?). In Italia è nota di quasi tutte le regioni tranne Molise (se non mi sono perso qualche aggiornamento), Puglia e Sardegna. Nelle regioni sud orientali (Puglia, Basilicata e Calabra Jonica) viene (stranamente) vicariata quasi totalmente (per esempio in Puglia) da A. cynarae che qui è arrivata attraverso il ponte trans-jonico.
_________________ Gianfranco Sama
"Benedetto colui che ti aiuta a correggere i tuoi errori invece di scagliarteli contro" ___________________________________ Gershom Sholem
|
|
| Top |
|
 |
|
Plagionotus
|
Inviato: 03/02/2010, 15:44 |
|
Iscritto il: 21/05/2009, 14:59 Messaggi: 6994 Località: Parigi
Nome: Riccardo Poloni
|
mi rincuora che Gianfranco abbia confermato, io per Compositae intendevo piante tipo i cardi  , l'ortica me l'aveva indicata anche Mauro, ma nel luogo qui a Casinalbo dove l'ho trovata c'erano un sacco di ortiche ma mai un'Agapanthia cynarae  , ma sicuramente sono io che non so cercare  , al più presto guardo su un libro di botanica, se ce l'ho in casa 
_________________ Riccardo Poloni La dignità degli elementi la libertà della poesia, al di là dei tradimenti degli uomini è magia, è magia, è magia... Negrita, Rotolando verso sud
|
|
| Top |
|
 |
|
Julodis
|
Inviato: 03/02/2010, 15:48 |
|
Iscritto il: 30/12/2009, 22:20 Messaggi: 31564 Località: Roma
Nome: Maurizio Gigli
|
|
Composite o Asteracee, ma intendevate comunque la stessa cosa. Anche qui intorno a Roma si trova anche sull'ortica, anzi soprattutto su questa pianta.
|
|
| Top |
|
 |
|
Isotomus
|
Inviato: 03/02/2010, 16:40 |
|
Iscritto il: 05/09/2009, 7:56 Messaggi: 3445 Località: Cesena
Nome: Gianfranco Sama
|
dadopimpi ha scritto: l'ortica me l'aveva indicata anche Mauro, ma nel luogo qui a Casinalbo dove l'ho trovata c'erano un sacco di ortiche ma mai un'Agapanthia cynarae  , ma sicuramente sono io che non so cercare  , Asteraceae è il nome attualmente ritenuto corretto. Hai voglia a cercare la A. cynarare sulle ortiche del Modenese.  Ma forse il tuo è un lapsus (intendevi scrivere A. villosoviridescens). Agapanthia cynarae è presente in Italia solo in Venezia Giulia, Puglia, Basilicata e Calabria.
_________________ Gianfranco Sama
"Benedetto colui che ti aiuta a correggere i tuoi errori invece di scagliarteli contro" ___________________________________ Gershom Sholem
|
|
| Top |
|
 |
|
Isotomus
|
Inviato: 03/02/2010, 17:12 |
|
Iscritto il: 05/09/2009, 7:56 Messaggi: 3445 Località: Cesena
Nome: Gianfranco Sama
|
Isotomus ha scritto: Hai voglia a cercare la A. cynarare sulle ortiche del Modenese.  Ma forse il tuo è un lapsus (intendevi scrivere A. villosoviridescens). Anche il mio è un lapsus. Intendevo scrivere A. cynarae. Sorry
_________________ Gianfranco Sama
"Benedetto colui che ti aiuta a correggere i tuoi errori invece di scagliarteli contro" ___________________________________ Gershom Sholem
|
|
| Top |
|
 |
|
Daniele Sechi
|
Inviato: 03/02/2010, 17:33 |
|
Iscritto il: 04/02/2009, 17:49 Messaggi: 5553 Località: Cagliari
Nome: Daniele Sechi
|
Isotomus ha scritto: Isotomus ha scritto: Hai voglia a cercare la A. cynarare sulle ortiche del Modenese.  Ma forse il tuo è un lapsus (intendevi scrivere A. villosoviridescens). Anche il mio è un lapsus. Intendevo scrivere A. cynarae. Sorry Gianfranco, se non erro, abbiamo 60 minuti di tempo per correggere i nostri messaggi... 
_________________  Daniele
|
|
| Top |
|
 |
|
Plagionotus
|
Inviato: 03/02/2010, 18:42 |
|
Iscritto il: 21/05/2009, 14:59 Messaggi: 6994 Località: Parigi
Nome: Riccardo Poloni
|
sì, intendevo villosoviridescens  , credo che neanche tu riusciresti a trovarne una  , per Compositae intendevo proprio quel gruppo che adesso si vede che è diventato Asteraceae, che dovrebbe comprendere i Cardi, l'Achillea, varie specie di margherite etc.
_________________ Riccardo Poloni La dignità degli elementi la libertà della poesia, al di là dei tradimenti degli uomini è magia, è magia, è magia... Negrita, Rotolando verso sud
|
|
| Top |
|
 |
|
Julodis
|
Inviato: 03/02/2010, 19:47 |
|
Iscritto il: 30/12/2009, 22:20 Messaggi: 31564 Località: Roma
Nome: Maurizio Gigli
|
dadopimpi ha scritto: per Compositae intendevo proprio quel gruppo che adesso si vede che è diventato Asteraceae, che dovrebbe comprendere i Cardi, l'Achillea, varie specie di margherite etc. I botanici ormai da diversi anni si sono uniformati alle regole per assegnare i nomi delle famiglie, derivandole da un genere tipo, quindi hanno dovuto cambiare tutti i nomi ti Composite, Umbellifere, Crucifere, Cupulifere, ecc. in Asteraceae, Apiaceae, Brassicaceae, Fagaceae, ecc., solo che spesso tornano fuori i vecchi nomi (molto spesso anche nei lavori di entomologia), anche su questo forum. Basta capirsi 
|
|
| Top |
|
 |
|
clido
|
Inviato: 03/02/2010, 20:02 |
|
| Amministratore |
 |
Iscritto il: 06/02/2009, 9:16 Messaggi: 6919 Località: Portici (Napoli)
Nome: Claudio Labriola
|
Buonasera a tutti, approfitto di questa discussione per inserire una foto in natura fatta ad un esemplare di Agapanthia villosoviridescens (De Geer, 1775) l'estate scorsa o almeno ciò che io ho determinato come tale  così me ne date anche conferma 
Laceno - Avellino 05 luglio 2009
_________________ Claudio LabriolaBuona Vita!!!!
|
|
| Top |
|
 |
|
Isotomus
|
Inviato: 03/02/2010, 20:05 |
|
Iscritto il: 05/09/2009, 7:56 Messaggi: 3445 Località: Cesena
Nome: Gianfranco Sama
|
Giusto per essere pignoli Agapanthia (Epoptes) villosoviridescens (De Geer, 1775) 
_________________ Gianfranco Sama
"Benedetto colui che ti aiuta a correggere i tuoi errori invece di scagliarteli contro" ___________________________________ Gershom Sholem
|
|
| Top |
|
 |
|