Forum Entomologi Italiani
https://www.entomologiitaliani.net/public/forum/phpBB3/

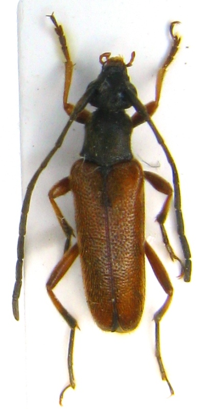
Alosterna tabacicolor (De Geer, 1775) - Cerambycidae
https://www.entomologiitaliani.net/public/forum/phpBB3/viewtopic.php?f=145&t=50594
Pagina 1 di 1

Autore:  claudio sola [ 21/01/2014, 0:41 ]
Oggetto del messaggio:  Alosterna tabacicolor (De Geer, 1775) - Cerambycidae

cerambycidae

Allegati:
Grecia , Larissa M.Ossa 800m Spilia sentiero trekking VI-2011 leg Sola C (1).JPG


Autore:  f.izzillo [ 21/01/2014, 8:48 ]
Oggetto del messaggio:  Re: cerambycidae

Credo che la località sia "Spilia". :hi:

Autore:  Xylosteus [ 21/01/2014, 9:57 ]
Oggetto del messaggio:  Re: cerambycidae

Ciao Claudio,
questa è Alosterna tabacicolor s.str.
Pierpaolo

Autore:  claudio sola [ 22/01/2014, 1:24 ]
Oggetto del messaggio:  Re: cerambycidae

f.izzillo ha scritto:
Credo che la località sia "Spilia". :hi:

si, mi scuso ma era tardi e forse dormivo già :oops:

Pagina 1 di 1 Tutti gli orari sono UTC + 1 ora [ ora legale ]
Powered by phpBB® Forum Software © phpBB Group
http://www.phpbb.com/