Benvenuto Ospite

Forum Entomologi Italiani

www.entomologiitaliani.net/forum
 
Oggi è 12/05/2026, 15:32

Tutti gli orari sono UTC + 1 ora [ ora legale ]

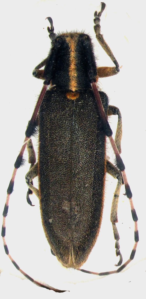
Agapanthia (Epoptes) lateralis Ganglbauer, 1884 - Cerambycidae

5.V.2014 - TURCHIA - EE, Efeso


nuovo argomento
rispondi
Pagina 1 di 1 [ 4 messaggi ]
Autore Messaggio
MessaggioInviato: 15/06/2014, 10:17 
Avatar utente

Iscritto il: 28/08/2009, 13:45
Messaggi: 1951
Località: Ginevra, Svizzera
Nome: Guido Sabatinelli
Un'altra grossa Agapanthia raccolta a Efeso. Lungo senza antenne 24mm.


012.JPG


_________________
Guido Sabatinelli
Museo di storia naturale, Ginevra, Svizzera
http://www.glaphyridae.com
http://www.scarabeidi.it
Top
profilo
 Oggetto del messaggio: Re: Cerambicidae - Turchia
MessaggioInviato: 15/06/2014, 11:38 
Avatar utente

Iscritto il: 04/02/2014, 11:12
Messaggi: 174
Località: Vicenza (VI)
Nome: Carraro Antonio
Direi Agapanthia turanica Plavilstshikov, 1929
:hi: Antonio


Top
profilo
 Oggetto del messaggio: Re: Cerambicidae - Turchia
MessaggioInviato: 15/06/2014, 11:47 
 

Iscritto il: 13/09/2009, 18:04
Messaggi: 882
Nome: Pierpaolo Rapuzzi
Ciao Guido,
Si tratta di Agapanthia lateralis. A. turanica può assomigliare un po' per via delle antenne rossicce ma è una specie tipica dell'Asia centrale che non raggiunge neppure il Caucaso.
Pierpaolo


Top
profilo
 Oggetto del messaggio: Re: Cerambicidae - Turchia
MessaggioInviato: 15/06/2014, 14:28 
Avatar utente

Iscritto il: 28/08/2009, 13:45
Messaggi: 1951
Località: Ginevra, Svizzera
Nome: Guido Sabatinelli
Xylosteus ha scritto:
Ciao Guido,
Si tratta di Agapanthia lateralis. A. turanica può assomigliare un po' per via delle antenne rossicce ma è una specie tipica dell'Asia centrale che non raggiunge neppure il Caucaso.
Pierpaolo

Grazie Pierpaolo!


Top
profilo
Visualizza ultimi messaggi:  Ordina per  
nuovo argomento
rispondi
Pagina 1 di 1 [ 4 messaggi ]

Tutti gli orari sono UTC + 1 ora [ ora legale ]


Chi c’è in linea

Visitano il forum: Nessuno e 8 ospiti


Non puoi aprire nuovi argomenti
Non puoi rispondere negli argomenti
Non puoi modificare i tuoi messaggi
Non puoi cancellare i tuoi messaggi
Non puoi inviare allegati

Cerca per:
Vai a: