Benvenuto Ospite

Forum Entomologi Italiani

www.entomologiitaliani.net/forum
 
Oggi è 24/02/2026, 20:32

Tutti gli orari sono UTC + 1 ora [ ora legale ]

Rhagium (Rhagium) inquisitor inquisitor (Linnaeus, 1758) Dettagli della specie

8.IV.2011 - ITALIA - Sicilia - CT, Sicilia, Etna: fra Pineta Ragabo e Piano Provenzana (CT)


nuovo argomento
rispondi
Vai alla pagina 1, 2  Prossimo
Pagina 1 di 2 [ 18 messaggi ]
Autore Messaggio
MessaggioInviato: 23/04/2011, 10:02 
Avatar utente

Iscritto il: 05/09/2009, 7:56
Messaggi: 3445
Località: Cesena
Nome: Gianfranco Sama
Rhagium (Rhagium) inquisitor inquisitor (Linnaeus, 1758)
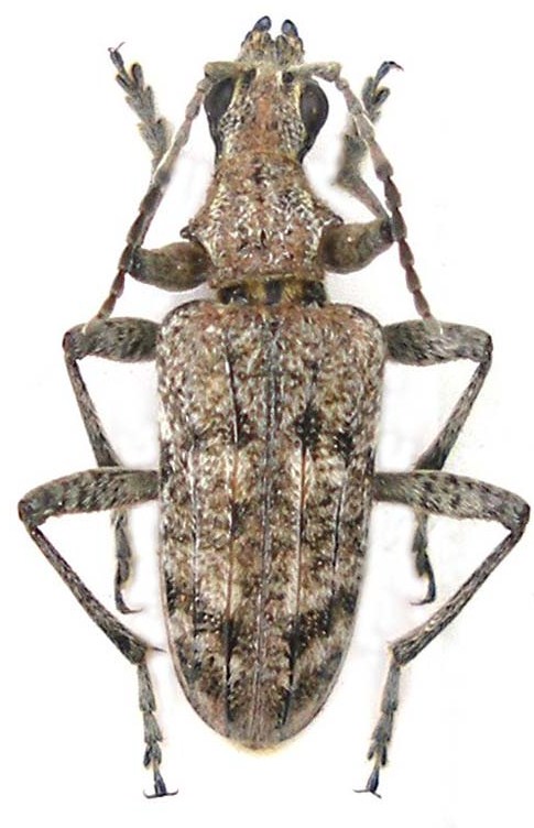
Due degli esemplari citati in precedenza, prelevati nelle cellette pupali su Pinus nigra laricio della Pineta Ragabo (Etna). Dopo la completa maturazione.
Un maschio
Rhagium inquisitor_male_Etna_Sicilia 012.jpg


e una femmina
Rhagium inquisitor_female_Etna_Sicilia 027.jpg


_________________
Gianfranco Sama

"Benedetto colui che ti aiuta a correggere i tuoi errori invece di scagliarteli contro"
___________________________________
Gershom Sholem


Top
profilo
MessaggioInviato: 26/04/2011, 12:28 
Avatar utente

Iscritto il: 05/09/2009, 7:56
Messaggi: 3445
Località: Cesena
Nome: Gianfranco Sama
Come ho scritto in precedenza, gli esemplari dell’Etna differiscono notevolmente da quelli appenninici per i tegumenti e la maculatura elitrale decisamente più scuri. Questa particolarità è presente in entrambi i sessi, ma molto più evidente negli esemplari maschi.
Questi sono due esemplari maschi dell’Appenino Romagnolo (Foreste di Campigna e della Lama
Rhagium inquisitor_male_Campigna 014.jpg

Rhagium inquisitor_male_Campigna_ 009.jpg


e questo è un esemplare maschio dell'Etna
Rhagium inquisitor_Etna_male_004.jpg


Le differenze sono evidenti.
Queste invece sono le femmine
dell'Appennino Romagnolo
Rhagium inquisitor_female_Campigna 010.jpg


Dell'Alto Adige (Mezzaselva)
Rhagium inquisitor_female_Alto Adige_Mezzaselva 018.jpg


e, infine una femmina siciliana dell'Etna
Rhagium inquisitor_Etna_female_ 007.jpg


_________________
Gianfranco Sama

"Benedetto colui che ti aiuta a correggere i tuoi errori invece di scagliarteli contro"
___________________________________
Gershom Sholem


Top
profilo
MessaggioInviato: 26/04/2011, 12:39 
Avatar utente

Iscritto il: 05/09/2009, 7:56
Messaggi: 3445
Località: Cesena
Nome: Gianfranco Sama
In definitiva, gli esemplari dell'Etna sono molto simili a quelli dell'Europa settentrionale e centrale, e ben diversi da quelli appenninici, dall'Appenino Ligure (Savona) a quello Calabrese (Sila). Devo dire, tuttavia, che possiedo esemplari dell'Austria meridionale (Carinzia) non molto diversi da quelli di Campigna.
Mi piacerebbe avere pareri in proposito anche in vista di un'indagine microsistematica.

_________________
Gianfranco Sama

"Benedetto colui che ti aiuta a correggere i tuoi errori invece di scagliarteli contro"
___________________________________
Gershom Sholem


Top
profilo
MessaggioInviato: 26/04/2011, 13:18 
Avatar utente

Iscritto il: 22/12/2009, 13:31
Messaggi: 9646
Località: Napoli
Nome: Francesco Izzillo
Isotomus ha scritto:
In definitiva, gli esemplari dell'Etna sono molto simili a quelli dell'Europa settentrionale e centrale, e ben diversi da quelli appenninici, dall'Appenino Ligure (Savona) a quello Calabrese (Sila). Devo dire, tuttavia, che possiedo esemplari dell'Austria meridionale (Carinzia) non molto diversi da quelli di Campigna.
Mi piacerebbe avere pareri in proposito anche in vista di un'indagine microsistematica.


Dovrei averne uno di Abruzzo e uno di Basilicata...quando vado a casa ci guardo e vedo a quale colorazione vanno riferiti (sempre che tu non li abbia già delle stesse regioni, cosa della quale dubito!)

_________________
Francesco Izzillo


Top
profilo
MessaggioInviato: 26/04/2011, 17:08 
 

Iscritto il: 30/09/2009, 19:19
Messaggi: 1101
Località: Czech rep.
Nome: Ivo Boščík
Greece,Taygetos


Rhagium inquisitor Taygetos.JPG

Top
profilo
MessaggioInviato: 26/04/2011, 17:10 
Avatar utente

Iscritto il: 22/12/2009, 13:31
Messaggi: 9646
Località: Napoli
Nome: Francesco Izzillo
Ho quattro esemplari italiani: La Fossiata di Sila (2 exx), Cugno dell'Acero di Pollino, La Camosciara (AQ); 2 exx di Grecia (Parnaso) e 5 exx. di Francia (Monginevro). Francamente non riscontro in alcuno dei miei inquisitor la differenza di colorazione che effettivamente esiste negli esemplari dell'appennino romagnolo. Gli esemplari di Camosciara e di Cugno sono leggermente più chiari, ma non più di tanto!

_________________
Francesco Izzillo


Top
profilo
MessaggioInviato: 26/04/2011, 17:37 
Avatar utente

Iscritto il: 05/09/2009, 7:56
Messaggi: 3445
Località: Cesena
Nome: Gianfranco Sama
Thank you Ivo :ok:

_________________
Gianfranco Sama

"Benedetto colui che ti aiuta a correggere i tuoi errori invece di scagliarteli contro"
___________________________________
Gershom Sholem


Top
profilo
MessaggioInviato: 26/04/2011, 17:38 
Avatar utente

Iscritto il: 05/09/2009, 7:56
Messaggi: 3445
Località: Cesena
Nome: Gianfranco Sama
f.izzillo ha scritto:
Ho quattro esemplari italiani: La Fossiata di Sila (2 exx), Cugno dell'Acero di Pollino, La Camosciara (AQ); 2 exx di Grecia (Parnaso) e 5 exx. di Francia (Monginevro). Francamente non riscontro in alcuno dei miei inquisitor la differenza di colorazione che effettivamente esiste negli esemplari dell'appennino romagnolo. Gli esemplari di Camosciara e di Cugno sono leggermente più chiari, ma non più di tanto!

Hai preso in considerazione maschi o femmine ?

_________________
Gianfranco Sama

"Benedetto colui che ti aiuta a correggere i tuoi errori invece di scagliarteli contro"
___________________________________
Gershom Sholem


Top
profilo
MessaggioInviato: 26/04/2011, 17:46 
Avatar utente

Iscritto il: 22/12/2009, 13:31
Messaggi: 9646
Località: Napoli
Nome: Francesco Izzillo
Isotomus ha scritto:
f.izzillo ha scritto:
Ho quattro esemplari italiani: La Fossiata di Sila (2 exx), Cugno dell'Acero di Pollino, La Camosciara (AQ); 2 exx di Grecia (Parnaso) e 5 exx. di Francia (Monginevro). Francamente non riscontro in alcuno dei miei inquisitor la differenza di colorazione che effettivamente esiste negli esemplari dell'appennino romagnolo. Gli esemplari di Camosciara e di Cugno sono leggermente più chiari, ma non più di tanto!

Hai preso in considerazione maschi o femmine ?


Si, in particolare i due esemplari un pò più chiari che ti ho citato sono femmine; ma altre femmine non mi sembrano differire in colorazione dal complesso degli esemplari maschi.

_________________
Francesco Izzillo


Top
profilo
MessaggioInviato: 26/04/2011, 20:48 
Avatar utente

Iscritto il: 09/02/2010, 19:31
Messaggi: 434
Nome: Zerun Zerunian
Ho una ventina di esemplari del M.te Subasio - Assisi (PG) e devo dire che ,soprattutto le femmine, non differiscono moltissimo da quella che hai fotografato dell'Etna. I maschi sono una via di mezzo tra le due colorazioni. Se e quando li vorrai esaminare basta che fai un fischio :ok:
Ciao, Zerun.


Top
profilo
MessaggioInviato: 26/04/2011, 23:13 
Avatar utente

Iscritto il: 04/04/2010, 22:20
Messaggi: 1041
Località: S.Pelagio (TS)
Nome: Alessandro Drago
quelli carsici che ho in collezione sono praticamente identici a quelli siciliani

_________________
- SoNo un PoMpIeRe -


Top
profilo
MessaggioInviato: 27/04/2011, 7:59 
Avatar utente

Iscritto il: 05/09/2009, 7:56
Messaggi: 3445
Località: Cesena
Nome: Gianfranco Sama
zerun59 ha scritto:
Ho una ventina di esemplari del M.te Subasio - Assisi (PG) e devo dire che ,soprattutto le femmine, non differiscono moltissimo da quella che hai fotografato dell'Etna. I maschi sono una via di mezzo tra le due colorazioni. Se e quando li vorrai esaminare basta che fai un fischio :ok:
Ciao, Zerun.

Grazie Zerun, però avresti dovuto dirmelo prima :mrgreen: R. inquisitor non era noto dell'Umbria e non sono più in tempo (almeno credo) ad aggiornare la nuova Checklist. Quante cose hai ancora ? Bisongna che venga a trovarti :mrgreen:

_________________
Gianfranco Sama

"Benedetto colui che ti aiuta a correggere i tuoi errori invece di scagliarteli contro"
___________________________________
Gershom Sholem


Top
profilo
MessaggioInviato: 27/04/2011, 8:02 
Avatar utente

Iscritto il: 05/09/2009, 7:56
Messaggi: 3445
Località: Cesena
Nome: Gianfranco Sama
hpl ha scritto:
quelli carsici che ho in collezione sono praticamente identici a quelli siciliani

Grazie Alessandro, ne ho anch'io qualcuno :ok:

_________________
Gianfranco Sama

"Benedetto colui che ti aiuta a correggere i tuoi errori invece di scagliarteli contro"
___________________________________
Gershom Sholem


Top
profilo
MessaggioInviato: 27/04/2011, 13:30 
Avatar utente

Iscritto il: 09/02/2010, 19:31
Messaggi: 434
Nome: Zerun Zerunian
Quando vorrai venire a trovarmi non potrà altro che farmi piacere :) :) . Non mi stupisce molto che la specie non fosse nota per l'Umbria, infatti questa bellissima regione resta ancora un buco nero per quanto riguarda l'entomofauna e non solo (per quanto riguarda la Lepidotterofauna questo buco nero sta per essere colmato :hp: :hp: ). Calcola che delle circa 800 specie di Macrolepidotteri che ho raccolto fino ad ora circa 170 sono prime segnalazioni per la regione :gh: , e questo solo perché per anni ha raccolto con dei lumi fissi il compianto Ing. Carlo Prola che aveva una casa a S. Fausino (TR), altrimenti le prime segnalazioni sarebbero state molte di più :mrgreen: . Immagina cosa potrà uscire fuori anche con i Cerambicidi ed i Buprestidi. :hi: :hi: Ciao, Zerun.


Top
profilo
MessaggioInviato: 27/04/2011, 14:36 
Amministratore
Avatar utente

Iscritto il: 02/02/2009, 23:30
Messaggi: 7105
Località: Capaci (Pa)
Nome: Marcello Romano
Spesso la presenza (o l'assenza) di una specie in una determinata regione, indica più che altro la presenza (o l'assenza) di un entomologo che si è occupato di quel gruppo o che ha raccolto sistematicamente in quei luoghi :)

_________________
:hi: Marcello Romano


Top
profilo
Visualizza ultimi messaggi:  Ordina per  
nuovo argomento
rispondi
Vai alla pagina 1, 2  Prossimo
Pagina 1 di 2 [ 18 messaggi ]

Tutti gli orari sono UTC + 1 ora [ ora legale ]


Chi c’è in linea

Visitano il forum: Google [Bot] e 2 ospiti


Non puoi aprire nuovi argomenti
Non puoi rispondere negli argomenti
Non puoi modificare i tuoi messaggi
Non puoi cancellare i tuoi messaggi
Non puoi inviare allegati

Cerca per:
Vai a: