Benvenuto Ospite

Forum Entomologi Italiani

www.entomologiitaliani.net/forum
 
Oggi è 21/04/2026, 15:00

Tutti gli orari sono UTC + 1 ora [ ora legale ]

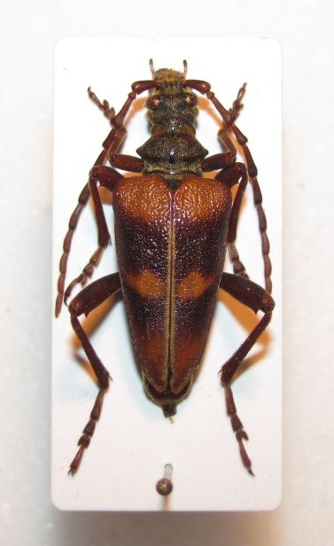
Akimerus schaefferi ariannae Pesarini & Sabbadini, 2007

12.VI.2013 - GRECIA - EE, Meteora, Kastraki env.


nuovo argomento
rispondi
Pagina 1 di 1 [ 6 messaggi ]
Autore Messaggio
MessaggioInviato: 28/12/2014, 23:10 
Avatar utente

Iscritto il: 19/10/2009, 19:54
Messaggi: 95
Località: CZECH near Prague
Nome: Lukas Fiala
I put some abberation of Akimerus schaefferi ssp. ariannae from Greece, Meteora.


IMG_4158.JPG

IMG_4157.JPG

IMG_4156.JPG

IMG_4155.JPG

IMG_4154.JPG

IMG_4153.JPG


_________________
Lukas
Top
profilo
MessaggioInviato: 28/12/2014, 23:14 
 

Iscritto il: 31/05/2010, 13:17
Messaggi: 166
Località: Warsaw
Nome: Jan Tatur-Dytkowski
Beautiful, thanks for that Lukas.

_________________
"Whenever I hear of the capture of rare beetles, I feel like an old war-horse at the sound of a trumpet"

- Charles Darwin


Top
profilo
MessaggioInviato: 29/12/2014, 0:03 
Avatar utente

Iscritto il: 19/10/2009, 19:54
Messaggi: 95
Località: CZECH near Prague
Nome: Lukas Fiala
I apologize administrators, I made mistake. The year of collected is 2013.

_________________
Lukas


Top
profilo
MessaggioInviato: 29/12/2014, 1:38 
Avatar utente

Iscritto il: 09/06/2012, 20:57
Messaggi: 4283
Località: Mesola (FE)
Nome: Daniele Maccapani
Corrected :ok:
:birra: :hi:

_________________
"Lasciate questo mondo un po' migliore di come lo avete trovato" (Sir Robert Baden Powell)
Immagine Daniele


Top
profilo
MessaggioInviato: 29/12/2014, 9:15 
Avatar utente

Iscritto il: 05/08/2009, 18:02
Messaggi: 2264
Nome: Marcello Benelli
Very high variability...
Maybe it should be interesting to investigate deeply... ssp. ariannae could reveal to be a real species...

_________________
Marci
"S'i fosse fuoco, arderei 'l mondo,
S'i fosse vento, lo tempesterei,
S'i fosse acqua, i' l'annegherei
s'i fosse dio, mandereil' en profondo" ( Cecco Angiolieri).


Top
profilo
MessaggioInviato: 29/12/2014, 12:30 
Avatar utente

Iscritto il: 19/10/2009, 19:54
Messaggi: 95
Località: CZECH near Prague
Nome: Lukas Fiala
Thnak you administrator :ok: :birra:

Maybe Marcello, it is a question for the specialist.

_________________
Lukas


Top
profilo
Visualizza ultimi messaggi:  Ordina per  
nuovo argomento
rispondi
Pagina 1 di 1 [ 6 messaggi ]

Tutti gli orari sono UTC + 1 ora [ ora legale ]


Chi c’è in linea

Visitano il forum: Nessuno e 5 ospiti


Non puoi aprire nuovi argomenti
Non puoi rispondere negli argomenti
Non puoi modificare i tuoi messaggi
Non puoi cancellare i tuoi messaggi
Non puoi inviare allegati

Cerca per:
Vai a: