|
Tutti gli orari sono UTC + 1 ora [ ora legale ] |

|
| Autore | Messaggio | |||
|---|---|---|---|---|
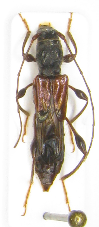
| claudio sola |
|
|||
|
Iscritto il: 20/11/2009, 0:34 Messaggi: 571 Località: Vignola (Mo) Nome: Claudio Sola |
|
|||
| Top |
|
|||
| michele.carraretto |
|
|||
|
Iscritto il: 23/04/2010, 15:29 Messaggi: 604 Località: Morgano (TV) Nome: Michele Carraretto |
|
|||
| Top |
|
|||
| Entomarci |
|
|||
|
Iscritto il: 05/08/2009, 18:02 Messaggi: 2264 Nome: Marcello Benelli |
|
|||
| Top |
|
|||
|
Tutti gli orari sono UTC + 1 ora [ ora legale ] |
Chi c’è in linea |
Visitano il forum: Nessuno e 12 ospiti |
Non puoi aprire nuovi argomenti Non puoi rispondere negli argomenti Non puoi modificare i tuoi messaggi Non puoi cancellare i tuoi messaggi Non puoi inviare allegati |