| Autore |
Messaggio |
|
claudio sola
|
Inviato: 11/01/2015, 19:20 |
|
Iscritto il: 20/11/2009, 0:34 Messaggi: 571 Località: Vignola (Mo)
Nome: Claudio Sola
|
|
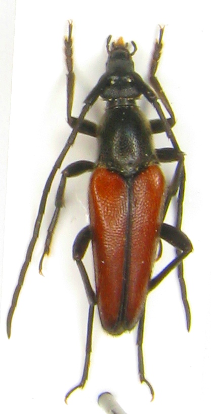
Misura 10mm
_________________ merlino
|
|
| Top |
|
 |
|
Plagionotus
|
Inviato: 13/01/2015, 22:22 |
|
Iscritto il: 21/05/2009, 14:59 Messaggi: 6995 Località: Parigi
Nome: Riccardo Poloni
|
|
Dovrebbe anche questa e l'altra l'intermedia
_________________ Riccardo Poloni La dignità degli elementi la libertà della poesia, al di là dei tradimenti degli uomini è magia, è magia, è magia... Negrita, Rotolando verso sud
|
|
| Top |
|
 |
|
Carlo Monari
|
Inviato: 05/10/2016, 18:13 |
|
Iscritto il: 10/08/2010, 14:39 Messaggi: 3260 Località: Milano
Nome: Carlo Monari
|
|
Ripesco questa vecchia discussione; non mi è molto chiara la risposta di Riccardo...
_________________ Ciao
Carlo
|
|
| Top |
|
 |
|
Plagionotus
|
Inviato: 05/10/2016, 19:21 |
|
Iscritto il: 21/05/2009, 14:59 Messaggi: 6995 Località: Parigi
Nome: Riccardo Poloni
|
Ciao Carlo, allora, premesso che la foto è sfocata e che non si vede bene, dato che il pronoto presenta dei riflessi metallici (a meno che non siano un artefatto fotografico) e non mi pare che abbia una punteggiatura fitta e marcata, si tratta del gruppo bifasciata del genere Stenurella. In Peloponneso, come in tutta la parte meridionale dei Balcani, c'è la sottospecie intermedia, e quindi si dovrebbe trattare di Stenurella bifasciata intermedia. Per chiarirti ulteriormente le idee prova a leggere questa discussione: viewtopic.php?f=145&t=50590&hilit=stenurella+intermedia
_________________ Riccardo Poloni La dignità degli elementi la libertà della poesia, al di là dei tradimenti degli uomini è magia, è magia, è magia... Negrita, Rotolando verso sud
|
|
| Top |
|
 |
|
Carlo Monari
|
Inviato: 05/10/2016, 21:01 |
|
Iscritto il: 10/08/2010, 14:39 Messaggi: 3260 Località: Milano
Nome: Carlo Monari
|
|
Scusa Riccardo, anch'io non sono stato molto chiaro nel riesumare questa discussione. Il fatto è che io di coleotteri mi interessavo sessant'anni fa, adesso ho dimenticato quel poco che sapevo ma non ho più voglia, tempo e risorse per ricominciare. Le poche risorse che mi rimangono le sto impiegando per cercare di contrastare l'accumulo indiscriminato di discussioni irrisolte in questa sezione del forum. Spostare in una sezione opportuna una discussione è relativamente indolore se si capisce facilmente qual'è la determinazione; altrimenti occorre rimandare la discussione all'attenzione degli specialisti, cosa che ho fatto in questo caso. Mi sono dimenticato di aggiungere che sarebbe bene che lo specialista una volta che ha determinato l'esemplare lo rinomini anche, se come te ne ha i poteri; così si riduce la possibilità di errori e in generale la qualità dell'informazione nel forum ne guadagna.
_________________ Ciao
Carlo
|
|
| Top |
|
 |
|
Plagionotus
|
Inviato: 07/10/2016, 11:43 |
|
Iscritto il: 21/05/2009, 14:59 Messaggi: 6995 Località: Parigi
Nome: Riccardo Poloni
|
|
Ciao Carlo, quando sono sicuro della determinazione, a meno che non mi dimentichi, lo faccio. In questo caso però aspettavo di vedere l'esemplare oppure che qualcuno con più occhio di me confermasse la determinazione.
_________________ Riccardo Poloni La dignità degli elementi la libertà della poesia, al di là dei tradimenti degli uomini è magia, è magia, è magia... Negrita, Rotolando verso sud
|
|
| Top |
|
 |
|
Carlo Monari
|
Inviato: 07/10/2016, 12:37 |
|
Iscritto il: 10/08/2010, 14:39 Messaggi: 3260 Località: Milano
Nome: Carlo Monari
|
|
E questo è un atteggiamento corretto che in buona parte condivido. La riserva si riferisce alla possibilità di utilizzare il (cf.) che tiene buona la parte 'certa' della determinazione ma aspetta conferme sulla specie o, come in questo caso, sulla sottospecie. Non voglio però proseguire qui una discussione tecnica che è più opportuno proseguire nella sezione Forum.
_________________ Ciao
Carlo
|
|
| Top |
|
 |
|
Plagionotus
|
Inviato: 07/10/2016, 14:37 |
|
Iscritto il: 21/05/2009, 14:59 Messaggi: 6995 Località: Parigi
Nome: Riccardo Poloni
|
Ciao Carlo, a parte la discussione, che è già stata affrontata diverse volte, facciamo così: stasera dovrei vedere Claudio, se mi fa vedere l'esemplare confermiamo, altrimenti taxo con il cf. 
_________________ Riccardo Poloni La dignità degli elementi la libertà della poesia, al di là dei tradimenti degli uomini è magia, è magia, è magia... Negrita, Rotolando verso sud
|
|
| Top |
|
 |
|
Carlo Monari
|
Inviato: 07/10/2016, 15:27 |
|
Iscritto il: 10/08/2010, 14:39 Messaggi: 3260 Località: Milano
Nome: Carlo Monari
|
|
_________________ Ciao
Carlo
|
|
| Top |
|
 |
|
Xylosteus
|
Inviato: 07/10/2016, 16:31 |
|
Iscritto il: 13/09/2009, 18:04 Messaggi: 882
Nome: Pierpaolo Rapuzzi
|
|
Secondo me non ci sono problemi di identificazione. Per quello che vale appartiene senza alcun dubbio alla sottospecie intermedia. Pierpaolo
|
|
| Top |
|
 |
|
Julodis
|
Inviato: 07/10/2016, 18:26 |
|
Iscritto il: 30/12/2009, 22:20 Messaggi: 31564 Località: Roma
Nome: Maurizio Gigli
|
Visto che siamo in vena di consigli, ne aggiungo uno io, che velocizza molto il lavoro dei rinominatori: quando uno specialista, o comunque un utente in grado di dare una identificazione sicura, determina una specie, ma non può rinominare la discussione, sarebbe meglio se scrivesse il nome completo di autore ed anno (ed eventuale sottogenere, nonché la famiglia, se già non esplicitata), per evitare al rinominatore di dover cercare il nome completo sul web (almeno per le specie non comprese nelle nostre checklists). Questo anche per evitare i frequenti casi in cui viene indicato un autore od un anno diverso. Per esempio, Piero Leo fa sempre così, ed i Tenebrionidi si rinominano facilmente. 
|
|
| Top |
|
 |
|
f.izzillo
|
Inviato: 07/10/2016, 18:51 |
|
Iscritto il: 22/12/2009, 13:31 Messaggi: 9646 Località: Napoli
Nome: Francesco Izzillo
|
Julodis ha scritto: Visto che siamo in vena di consigli, ne aggiungo uno io, che velocizza molto il lavoro dei rinominatori: quando uno specialista, o comunque un utente in grado di dare una identificazione sicura, determina una specie, ma non può rinominare la discussione, sarebbe meglio se scrivesse il nome completo di autore ed anno (ed eventuale sottogenere, nonché la famiglia, se già non esplicitata), per evitare al rinominatore di dover cercare il nome completo sul web (almeno per le specie non comprese nelle nostre checklists). Questo anche per evitare i frequenti casi in cui viene indicato un autore od un anno diverso. Per esempio, Piero Leo fa sempre così, ed i Tenebrionidi si rinominano facilmente.  Anche io, con le coccinelle, mi regolo sempre così! 
_________________ Francesco Izzillo
|
|
| Top |
|
 |
|