Forum Entomologi Italiani
https://www.entomologiitaliani.net/public/forum/phpBB3/

Gnoma subfasciata Thomson, 1865 - Cerambycidae Lamiinae Gnomini
https://www.entomologiitaliani.net/public/forum/phpBB3/viewtopic.php?f=145&t=59872
Pagina 1 di 1

Autore:  Carlo A. [ 24/02/2015, 22:42 ]
Oggetto del messaggio:  Gnoma subfasciata Thomson, 1865 - Cerambycidae Lamiinae Gnomini

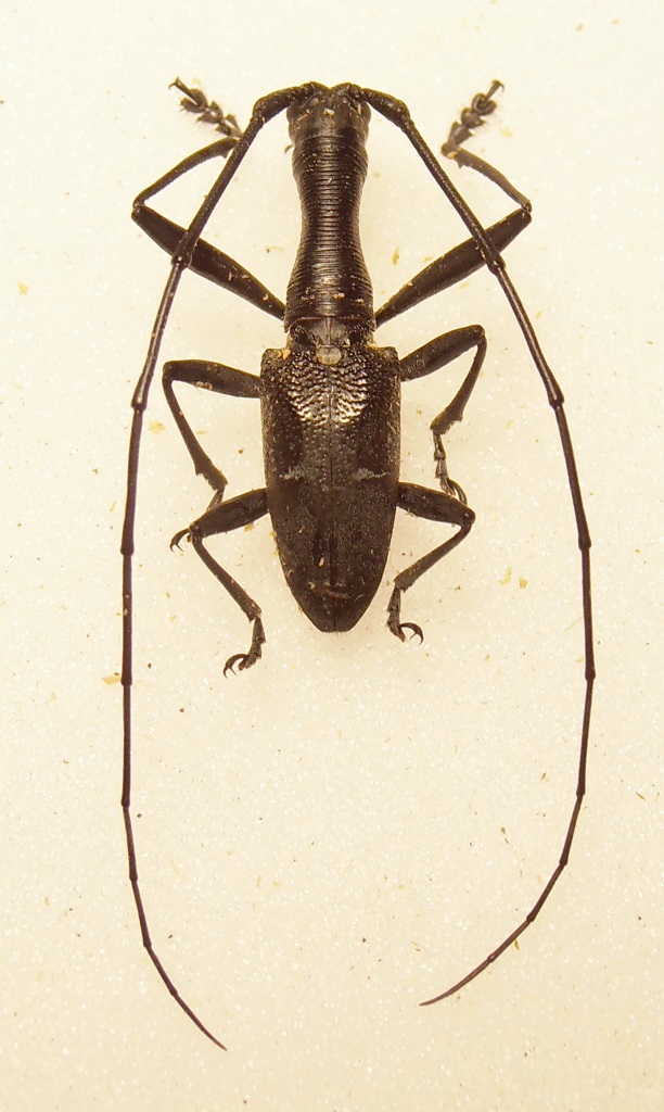
Altra creatura alquanto bizzarra ed elegante :shock: con quel suo collo che ricorda le donne Kayan del nord della Tailandia.
Maschio di 18 mm
Gnoma 2.jpg


Questo genere è diffuso in gran parte del sud est asiatico, (Malesia, Indonesia e Filippine) ed in Papua sono molto abbondanti su tutti, o quasi, gli alberi morenti, sia di giorno che di notte. Sono anche abili nel volare e di dimensioni molto variabili.
Questi due maschi dovrebbero essere della stessa specie, ma dovrei averne almeno un'altra specie.
Scusate per la qualità delle foto :oops: , ma le ho fatte alla luce di una lampada da tavolo :sick: .

Allegati:
Maschio di 24 mm
Gnoma 3.jpg


Autore:  marsal [ 25/02/2015, 0:40 ]
Oggetto del messaggio:  Re: Gnoma sp.

fantastico!

Autore:  Entomarci [ 25/02/2015, 9:20 ]
Oggetto del messaggio:  Re: Gnoma sp.

Ne hai presa di robina eh...

Autore:  Honza [ 26/02/2015, 19:34 ]
Oggetto del messaggio:  Re: Gnoma sp.

forse :?

Gnoma subfasciata Thomson, 1865 - Lamiinae Gnomini

Distribution:
Indonesia (Sumatra, Java, Borneo,Papua)

Autore:  Carlo A. [ 26/02/2015, 22:43 ]
Oggetto del messaggio:  Re: Gnoma sp.

Honza ha scritto:
forse :?

Gnoma subfasciata Thomson, 1865 - Lamiinae Gnomini

Distribution:
Indonesia (Sumatra, Java, Borneo,Papua)

Grazie Jan :lov2:
Entomarci ha scritto:
Ne hai presa di robina eh...

Di roba ne ho presa tanta.....purtroppo non ciò che cercavo :cry: :cry:

Pagina 1 di 1 Tutti gli orari sono UTC + 1 ora [ ora legale ]
Powered by phpBB® Forum Software © phpBB Group
http://www.phpbb.com/