Benvenuto Ospite

Forum Entomologi Italiani

www.entomologiitaliani.net/forum
 
Oggi è 13/12/2025, 23:30

Tutti gli orari sono UTC + 1 ora [ ora legale ]

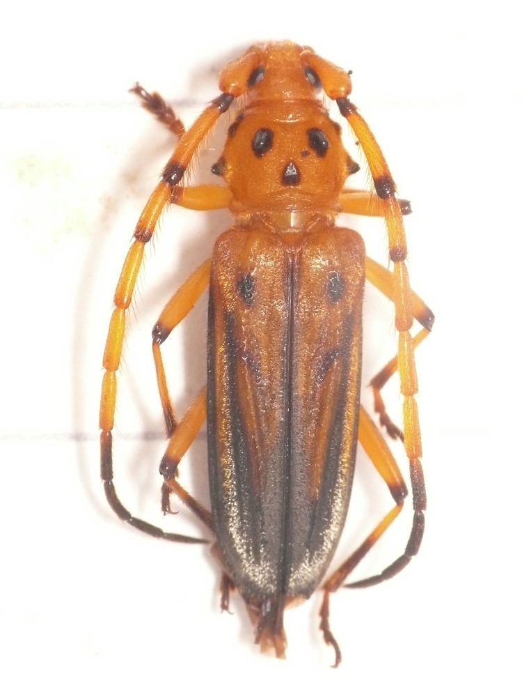
Ceragenia sp. - Cerambycidae

26.I.2015 - COSTA RICA - EE, Costa Rica, Carara


nuovo argomento
rispondi
Pagina 1 di 1 [ 3 messaggi ]
Autore Messaggio
 Oggetto del messaggio: Ceragenia sp. - Cerambycidae
MessaggioInviato: 20/04/2015, 17:38 
 

Iscritto il: 26/09/2011, 12:15
Messaggi: 351
Località: Germany
Nome: Lennart
At the light, 18 mm
Any ID possible?

Ciao :hi:


P1390556_.JPG

Top
profilo
 Oggetto del messaggio: Re: Cerambycidae Costa Rica
MessaggioInviato: 20/04/2015, 21:21 
Avatar utente

Iscritto il: 09/11/2009, 14:12
Messaggi: 5164
Località: Hradec Kralove,Czech republik
Nome: Jan Matějíček
Tribe Trachyderini
:?: Ceragenia


http://coleoptera-neotropical.org/pagin ... CRica.html

_________________
Research Fields
Taxonomy, ecology, biomonitoring , faunistic of Staphylinidae


Top
profilo
 Oggetto del messaggio: Re: Cerambycidae Costa Rica
MessaggioInviato: 06/05/2015, 18:34 
 

Iscritto il: 26/09/2011, 12:15
Messaggi: 351
Località: Germany
Nome: Lennart
Thank you, good hint! Ceragenia insulana seems likely, but it remains uncertain.

:hi:


Top
profilo
Visualizza ultimi messaggi:  Ordina per  
nuovo argomento
rispondi
Pagina 1 di 1 [ 3 messaggi ]

Tutti gli orari sono UTC + 1 ora [ ora legale ]


Chi c’è in linea

Visitano il forum: Nessuno e 1 ospite


Non puoi aprire nuovi argomenti
Non puoi rispondere negli argomenti
Non puoi modificare i tuoi messaggi
Non puoi cancellare i tuoi messaggi
Non puoi inviare allegati

Cerca per:
Vai a: