| Autore |
Messaggio |
|
Julodis
|
Inviato: 17/10/2013, 23:13 |
|
Iscritto il: 30/12/2009, 22:20 Messaggi: 31564 Località: Roma
Nome: Maurizio Gigli
|
Lunedì, sul Monte Sirente, ho raccolto il fusto di un piccolo ciliegio selvatico, attaccato da alcune specie di xilofagi (Cerambycidae e Buprestidae). Nel tagliarlo, ha mancato di poco una larva di Cerambycidae nella sua galleria, che ieri, mentre sistemavo nella cassetta i pezzi di legno, ho visto che era uscita dalla sua galleria e si era impupata. E' apparentemente un Clytino. Pensavo ad un Chlorophorus glabromaculatus, che è una delle specie che più di frequente mi escono dagli allevamenti, ma non ne ho idea. Abruzzo, L'Aquila, Aielli, Monte Sirente, 1400 m, 16.X.2013, in Prunus sp., M. Gigli legit dimensioni della pupa: circa 12 mm
Il fusto, di circa 4 cm di diametro in questa sezione, col foro della larva
|
|
| Top |
|
 |
|
AleP
|
Inviato: 17/10/2013, 23:37 |
|
Iscritto il: 23/09/2009, 15:14 Messaggi: 1394 Località: Verona
Nome: Alessandro Pinna
|
Maurizio, dalle mie parti di solito attacchi così ai Prunus li fa Clytus arietis. Ma di più non saprei dire. 
_________________ AleP
|
|
| Top |
|
 |
|
Julodis
|
Inviato: 17/10/2013, 23:51 |
|
Iscritto il: 30/12/2009, 22:20 Messaggi: 31564 Località: Roma
Nome: Maurizio Gigli
|
AleP ha scritto: Maurizio, dalle mie parti di solito attacchi così ai Prunus li fa Clytus arietis. Ma di più non saprei dire.  Che sarebbe compatibile con quella pupa. Sempre meglio del C. glabromaculatus, anche se di poco!
|
|
| Top |
|
 |
|
Entomarci
|
Inviato: 18/10/2013, 8:21 |
|
Iscritto il: 05/08/2009, 18:02 Messaggi: 2264
Nome: Marcello Benelli
|
|
Davvero? addirittura megliio il clytus del chlorophorus??? A me l'arietis salta fuori dapertutto!!!
_________________ Marci "S'i fosse fuoco, arderei 'l mondo, S'i fosse vento, lo tempesterei, S'i fosse acqua, i' l'annegherei s'i fosse dio, mandereil' en profondo" ( Cecco Angiolieri).
|
|
| Top |
|
 |
|
marco paglialunga
|
Inviato: 18/10/2013, 8:42 |
|
Iscritto il: 11/11/2009, 20:54 Messaggi: 4857 Località: Pesaro
Nome: Marco Paglialunga
|
...sperando che non faccia l'indiano 
_________________ O voi ch'avete li 'ntelletti sani, mirate la dottrina che s'asconde sotto 'l velame de li versi strani (InfeRRno - canto IX - vv. 61-63)
|
|
| Top |
|
 |
|
Julodis
|
Inviato: 18/10/2013, 13:29 |
|
Iscritto il: 30/12/2009, 22:20 Messaggi: 31564 Località: Roma
Nome: Maurizio Gigli
|
Entomarci ha scritto: Davvero? addirittura megliio il clytus del chlorophorus??? A me l'arietis salta fuori dapertutto!!! Qui il Chlorophorus glabromaculatus esce quasi da ogni prelievo. Il bello è che in giro non si vede quasi mai. Il Clytus arietis è comune, ma non così tanto. marco paglialunga ha scritto: ...sperando che non faccia l'indiano  potrebbe pure essere.
|
|
| Top |
|
 |
|
AleP
|
Inviato: 18/10/2013, 14:37 |
|
Iscritto il: 23/09/2009, 15:14 Messaggi: 1394 Località: Verona
Nome: Alessandro Pinna
|
|
Qui le due specie menzionate sono più o meno paragonabili come frequenza. Però hanno preferenze diverse: i Clytus arietis attaccano prevalentemente Prunus e Crategus, pur essendo polifagi (mi sono schiusi anche da Alnus per es). Invece il C. glabromaculatus mi è sempre schiuso da rami secchi di Quercus e Ulmus, mai da Prunus. Ovviamente non è detto che questa preferenza sia adattabile anche ad altre aree d'Italia.
_________________ AleP
|
|
| Top |
|
 |
|
Mimmo011
|
Inviato: 10/02/2014, 22:19 |
|
Iscritto il: 08/07/2010, 10:53 Messaggi: 3171 Località: Matera
Nome: Domenico Cardinale
|
|
Maurizio alla fine cos'è sfarfallato?
_________________ Saluti Mimmo
|
|
| Top |
|
 |
|
Carlo A.
|
Inviato: 10/02/2014, 22:30 |
|
Iscritto il: 06/11/2011, 23:59 Messaggi: 1134 Località: Casola Valsenio
Nome: Carlo Arrigo Casadio
|
Mimmo011 ha scritto: Maurizio alla fine cos'è sfarfallato? Vista la data di raccolta penso si dovrà aspettare ancora qualche mese prima di vedere il pargolo 
_________________ Carlo Arrigo
"Solo un entomologo può capire il piacere da me provato nel cacciare per ore in qua e in là, sotto il sole cocente, tra i rami e i ramoscelli e la corteccia degli alberi caduti" Alfred Russel Wallace
|
|
| Top |
|
 |
|
Julodis
|
Inviato: 10/02/2014, 23:53 |
|
Iscritto il: 30/12/2009, 22:20 Messaggi: 31564 Località: Roma
Nome: Maurizio Gigli
|
|
E' che non mi ricordo dove l'ho messo!
Per ora mettiamola nella sezione fuori dei Forum sistematici, poi se ripesco l'adulto (che ormai sarà secco in qualche barattolino forato) lo aggiungo e sposto la discussione tra i Cerambycidae (mi è venuto il dubbio che potrei aver messo la pupa in una provetta forata dentro la cassetta con la legna presa quel giorno, che però è fuori, e ora non ho intenzione di andare sul balcone a cercarla tra le altre.
|
|
| Top |
|
 |
|
hpl
|
Inviato: 06/06/2015, 14:38 |
|
Iscritto il: 04/04/2010, 22:20 Messaggi: 1041 Località: S.Pelagio (TS)
Nome: Alessandro Drago
|
|
_________________ - SoNo un PoMpIeRe -
|
|
| Top |
|
 |
|
Julodis
|
Inviato: 06/06/2015, 17:52 |
|
Iscritto il: 30/12/2009, 22:20 Messaggi: 31564 Località: Roma
Nome: Maurizio Gigli
|
|
E' risbucato fuori il barattolino dei formaggini proprio pochi giorni fa, sistemando della roba su un mobile della camera da letto!
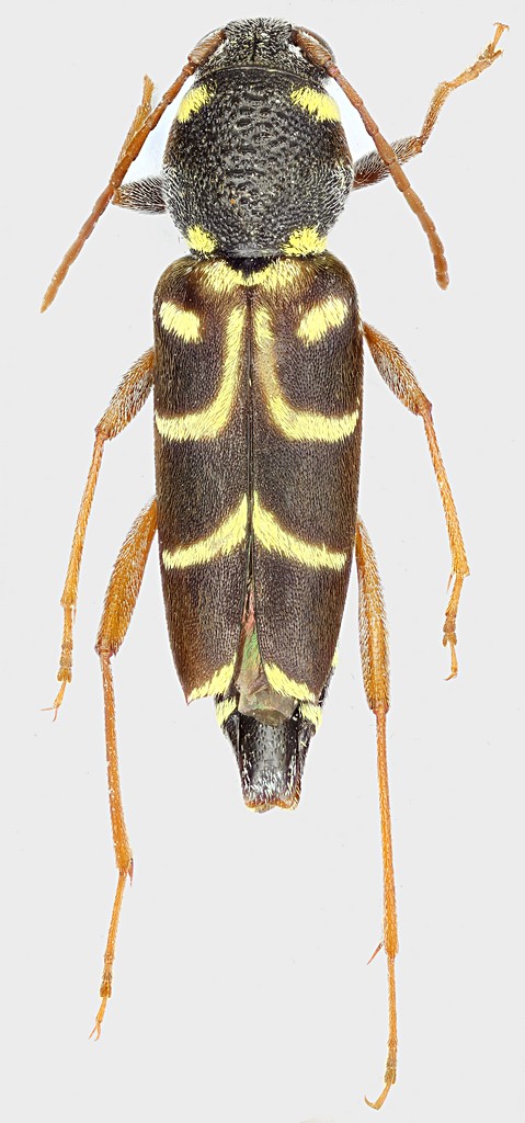
Ho appena dato un'occhiata all'adulto secco da un anno, e mi pare proprio uno Xylotrechus antilope. Che sarebbe un ritrovamento mica male, per l'Abruzzo!
Comunque, l'ho messo in camera umida, così lo preparo e lo fotografo.
|
|
| Top |
|
 |
|
Julodis
|
Inviato: 17/06/2015, 19:24 |
|
Iscritto il: 30/12/2009, 22:20 Messaggi: 31564 Località: Roma
Nome: Maurizio Gigli
|
Eccolo qui. Non è in condizioni perfette, ma è rimasto un anno o più dentro al barattolo.
|
|
| Top |
|
 |
|
AleP
|
Inviato: 17/06/2015, 20:57 |
|
Iscritto il: 23/09/2009, 15:14 Messaggi: 1394 Località: Verona
Nome: Alessandro Pinna
|
|
Beh alla fine ci ero andato vicino!
_________________ AleP
|
|
| Top |
|
 |
|