Benvenuto Ospite

Forum Entomologi Italiani

www.entomologiitaliani.net/forum
 
Oggi è 23/04/2026, 19:00

Tutti gli orari sono UTC + 1 ora [ ora legale ]

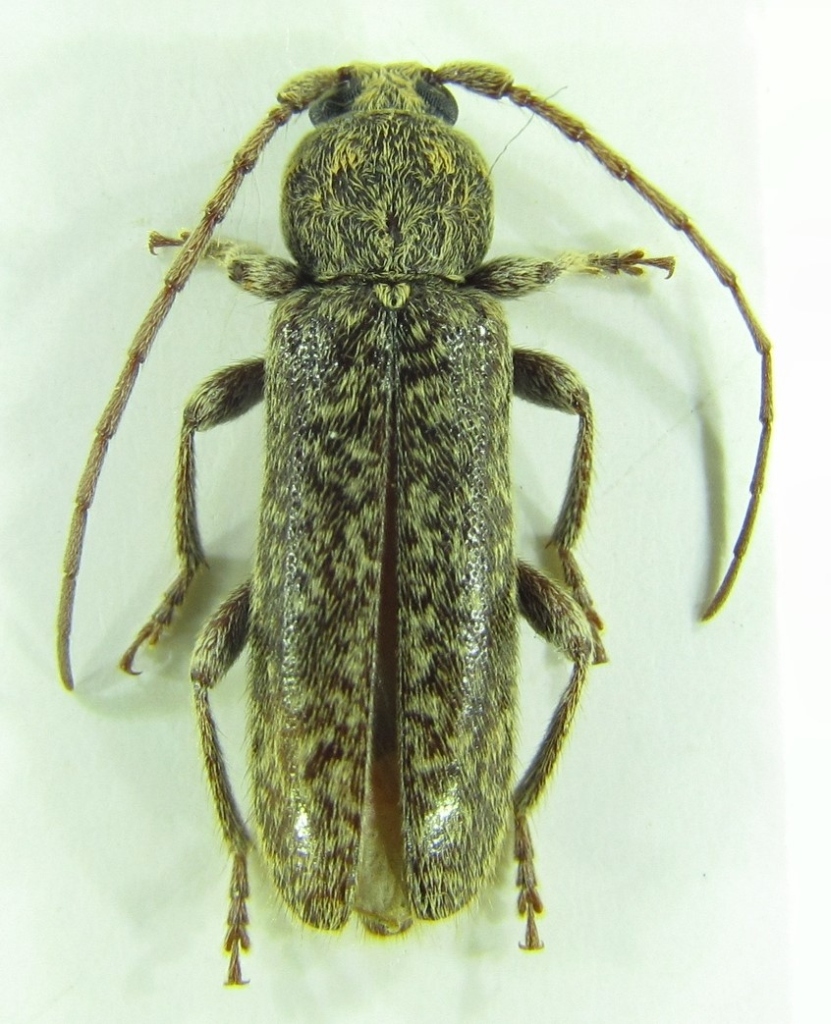
Trichoferus fasciculatus (Faldermann, 1837) - Cerambycidae

27.VI.2015 - TURCHIA - EE, Esenyurt


nuovo argomento
rispondi
Pagina 1 di 1 [ 3 messaggi ]
Autore Messaggio
MessaggioInviato: 06/08/2015, 10:54 
Avatar utente

Iscritto il: 21/09/2014, 11:55
Messaggi: 1561
Località: Istanbul Turkey
Nome: Barış
?
Size:14,5 mm


Cerambycidae sp 14,5mm 27-07-2015 Ev-3.jpg

Top
profilo
 Oggetto del messaggio: Re: Cerambycidae?
MessaggioInviato: 06/08/2015, 12:26 
 

Iscritto il: 13/09/2009, 18:04
Messaggi: 882
Nome: Pierpaolo Rapuzzi
It is Trichoferus fasciculatus.
Pierpaolo


Top
profilo
 Oggetto del messaggio: Re: Cerambycidae?
MessaggioInviato: 06/08/2015, 12:33 
Avatar utente

Iscritto il: 21/09/2014, 11:55
Messaggi: 1561
Località: Istanbul Turkey
Nome: Barış
Thanks :hp: :hp:


Top
profilo
Visualizza ultimi messaggi:  Ordina per  
nuovo argomento
rispondi
Pagina 1 di 1 [ 3 messaggi ]

Tutti gli orari sono UTC + 1 ora [ ora legale ]


Chi c’è in linea

Visitano il forum: Nessuno e 15 ospiti


Non puoi aprire nuovi argomenti
Non puoi rispondere negli argomenti
Non puoi modificare i tuoi messaggi
Non puoi cancellare i tuoi messaggi
Non puoi inviare allegati

Cerca per:
Vai a: