Benvenuto Ospite

Forum Entomologi Italiani

www.entomologiitaliani.net/forum
 
Oggi è 28/05/2026, 16:57

Tutti gli orari sono UTC + 1 ora [ ora legale ]

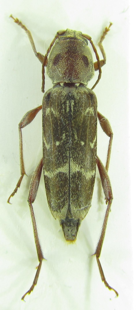
Xylotrechus stebbingi Gahan, 1906 - Cerambycidae

29.VIII.2015 - TURCHIA - EE, Fethiye,SW Turkey


nuovo argomento
rispondi
Pagina 1 di 1 [ 3 messaggi ]
Autore Messaggio
MessaggioInviato: 10/09/2015, 16:45 
Avatar utente

Iscritto il: 21/09/2014, 11:55
Messaggi: 1561
Località: Istanbul Turkey
Nome: Barış
?
Size:20 mm


Cerambycidae sp 20mm 29-08-2015 Fethiye.jpg

Top
profilo
 Oggetto del messaggio: Re: Cerambycidae?
MessaggioInviato: 10/09/2015, 17:46 
Avatar utente

Iscritto il: 30/12/2009, 22:20
Messaggi: 31564
Località: Roma
Nome: Maurizio Gigli
Xylotrechus stebbingi, an alien species.

_________________
Maurizio Gigli
http://utenti.romascuola.net/bups
http://bup.xoom.it/


Top
profilo
 Oggetto del messaggio: Re: Cerambycidae?
MessaggioInviato: 12/09/2015, 9:07 
Avatar utente

Iscritto il: 21/09/2014, 11:55
Messaggi: 1561
Località: Istanbul Turkey
Nome: Barış
Thank you alot for ID :hp:


Top
profilo
Visualizza ultimi messaggi:  Ordina per  
nuovo argomento
rispondi
Pagina 1 di 1 [ 3 messaggi ]

Tutti gli orari sono UTC + 1 ora [ ora legale ]


Chi c’è in linea

Visitano il forum: Nessuno e 79 ospiti


Non puoi aprire nuovi argomenti
Non puoi rispondere negli argomenti
Non puoi modificare i tuoi messaggi
Non puoi cancellare i tuoi messaggi
Non puoi inviare allegati

Cerca per:
Vai a: