Benvenuto Ospite

Forum Entomologi Italiani

www.entomologiitaliani.net/forum
 
Oggi è 26/12/2025, 20:25

Tutti gli orari sono UTC + 1 ora [ ora legale ]

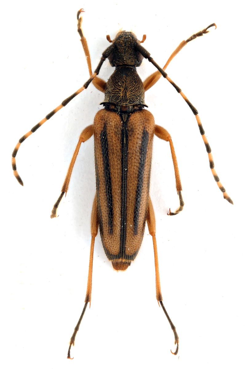
Analeptura lineola (Say 1824) - Cerambycidae

3.VII.2015 - STATI UNITI - EE, Frederick (Maryalnd)


nuovo argomento
rispondi
Pagina 1 di 1 [ 4 messaggi ]
Autore Messaggio
MessaggioInviato: 21/09/2015, 20:37 
Avatar utente

Iscritto il: 10/05/2009, 15:30
Messaggi: 7182
Località: Ancona
Nome: Giacomo Giovagnoli
Lepturino?

Frederick (Maryland - USA); 03.VII.2015

[grazie zio per le foto!!! :birra: ]

Dimensioni: 10mm
CombM1818_22zF3cr.jpg


CombM1819_53zF3cr.jpg


CombM1820_80zF3cr.jpg



Ciao :)

_________________
Immagine Giacomo


Top
profilo
 Oggetto del messaggio: Re: Cerambycidae USA da ID
MessaggioInviato: 21/09/2015, 20:50 
Avatar utente

Iscritto il: 05/08/2009, 18:02
Messaggi: 2264
Nome: Marcello Benelli
Sembra una alosterna

_________________
Marci
"S'i fosse fuoco, arderei 'l mondo,
S'i fosse vento, lo tempesterei,
S'i fosse acqua, i' l'annegherei
s'i fosse dio, mandereil' en profondo" ( Cecco Angiolieri).


Top
profilo
 Oggetto del messaggio: Re: Cerambycidae USA da ID
MessaggioInviato: 21/09/2015, 21:28 
Avatar utente

Iscritto il: 21/05/2010, 23:05
Messaggi: 2984
Località: San Godenzo (FI)
Nome: Carlo Massarone
Forse Analeptura lineola ?

Potrebbe essere la femmina di questa

_________________
Carlo Massarone


Top
profilo
 Oggetto del messaggio: Re: Cerambycidae USA da ID
MessaggioInviato: 21/09/2015, 21:32 
Avatar utente

Iscritto il: 10/05/2009, 15:30
Messaggi: 7182
Località: Ancona
Nome: Giacomo Giovagnoli
Parrebbe di si!

_________________
Immagine Giacomo


Top
profilo
Visualizza ultimi messaggi:  Ordina per  
nuovo argomento
rispondi
Pagina 1 di 1 [ 4 messaggi ]

Tutti gli orari sono UTC + 1 ora [ ora legale ]


Chi c’è in linea

Visitano il forum: Nessuno e 3 ospiti


Non puoi aprire nuovi argomenti
Non puoi rispondere negli argomenti
Non puoi modificare i tuoi messaggi
Non puoi cancellare i tuoi messaggi
Non puoi inviare allegati

Cerca per:
Vai a: