Benvenuto Ospite

Forum Entomologi Italiani

www.entomologiitaliani.net/forum
 
Oggi è 18/02/2026, 18:33

Tutti gli orari sono UTC + 1 ora [ ora legale ]

Hylotrupes bajulus (Linnaeus, 1758) Dettagli della specie

20.VI.2015 - ITALIA - Marche - AN, Portonovo


nuovo argomento
rispondi
Pagina 1 di 1 [ 3 messaggi ]
Autore Messaggio
MessaggioInviato: 21/09/2015, 21:00 
Avatar utente

Iscritto il: 10/05/2009, 15:30
Messaggi: 7182
Località: Ancona
Nome: Giacomo Giovagnoli
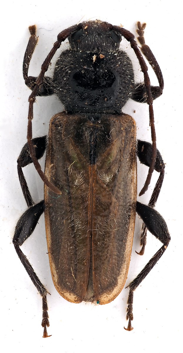
Hylotrupes bajulus (Linnaeus, 1758)

Portonovo (Ancona); 20.VI.2015.
Era a 20m dal mare su un ombrellone chiuso, assieme ad un altro esemplare con colorazione normale.
Il marrone di questo da cosa può dipendere? Usura o aberrazione?

[grazie zio per le foto!!! :birra: ]

Dimensioni: 12mm
CombM1834_23zF5cr.jpg


CombM1835_42zF5cr.jpg


CombM1836_89zF5cr.jpg



Ciao :)


CombM1836_89zF5cr.jpg


_________________
Immagine Giacomo
Top
profilo
MessaggioInviato: 21/09/2015, 21:39 
Avatar utente

Iscritto il: 06/11/2011, 23:59
Messaggi: 1134
Località: Casola Valsenio
Nome: Carlo Arrigo Casadio
Ne trovo spesso con questa colorazione; all'inizio pensavo fosse qualcosa di diverso.

_________________
Carlo Arrigo

"Solo un entomologo può capire il piacere da me provato nel cacciare per ore in qua e in là, sotto il sole cocente, tra i rami e i ramoscelli e la corteccia degli alberi caduti"
Alfred Russel Wallace


Top
profilo
MessaggioInviato: 22/09/2015, 12:33 
Avatar utente

Iscritto il: 23/09/2009, 15:14
Messaggi: 1394
Località: Verona
Nome: Alessandro Pinna
Mai visti con quei colori! Che siano degli immaturi?
:hi:

_________________
AleP


Top
profilo
Visualizza ultimi messaggi:  Ordina per  
nuovo argomento
rispondi
Pagina 1 di 1 [ 3 messaggi ]

Tutti gli orari sono UTC + 1 ora [ ora legale ]


Chi c’è in linea

Visitano il forum: Nessuno e 1 ospite


Non puoi aprire nuovi argomenti
Non puoi rispondere negli argomenti
Non puoi modificare i tuoi messaggi
Non puoi cancellare i tuoi messaggi
Non puoi inviare allegati

Cerca per:
Vai a: