Benvenuto Ospite

Forum Entomologi Italiani

www.entomologiitaliani.net/forum
 
Oggi è 20/04/2026, 18:10

Tutti gli orari sono UTC + 1 ora [ ora legale ]

Batocera incospicua van de Poll, 1890

II.1990 - ISOLE SALOMONE - EE, Buin, Bougainville, Noth Solomon Province PNG


nuovo argomento
rispondi
Pagina 1 di 1 [ 3 messaggi ]
Autore Messaggio
 Oggetto del messaggio: Batocera incospicua van de Poll, 1890
MessaggioInviato: 22/02/2016, 22:58 
Avatar utente

Iscritto il: 06/11/2011, 23:59
Messaggi: 1134
Località: Casola Valsenio
Nome: Carlo Arrigo Casadio
Questa è la quarta specie di Batocera conosciuta (per ora) delle isole Salomone.
E' diffusa in tutto l'arcipelago, da Buka a nord ovest, a Makira a sud est. Presenta una varietà con alcune macchie bianche, la Batocera incospicua var. germanica Kriesche (non so l'anno) che risulta più comune della forma tipica, le due forme sono comunque simpatriche.
Somiglia molto ad una Batocera delle Molucche, la Batocera thomae Voet, 1778; entrambe sono segnalate anche per la Nuova Guinea, anche se io non ho mai visto esemplari con questa indicazione di località di nessuna delle due specie.

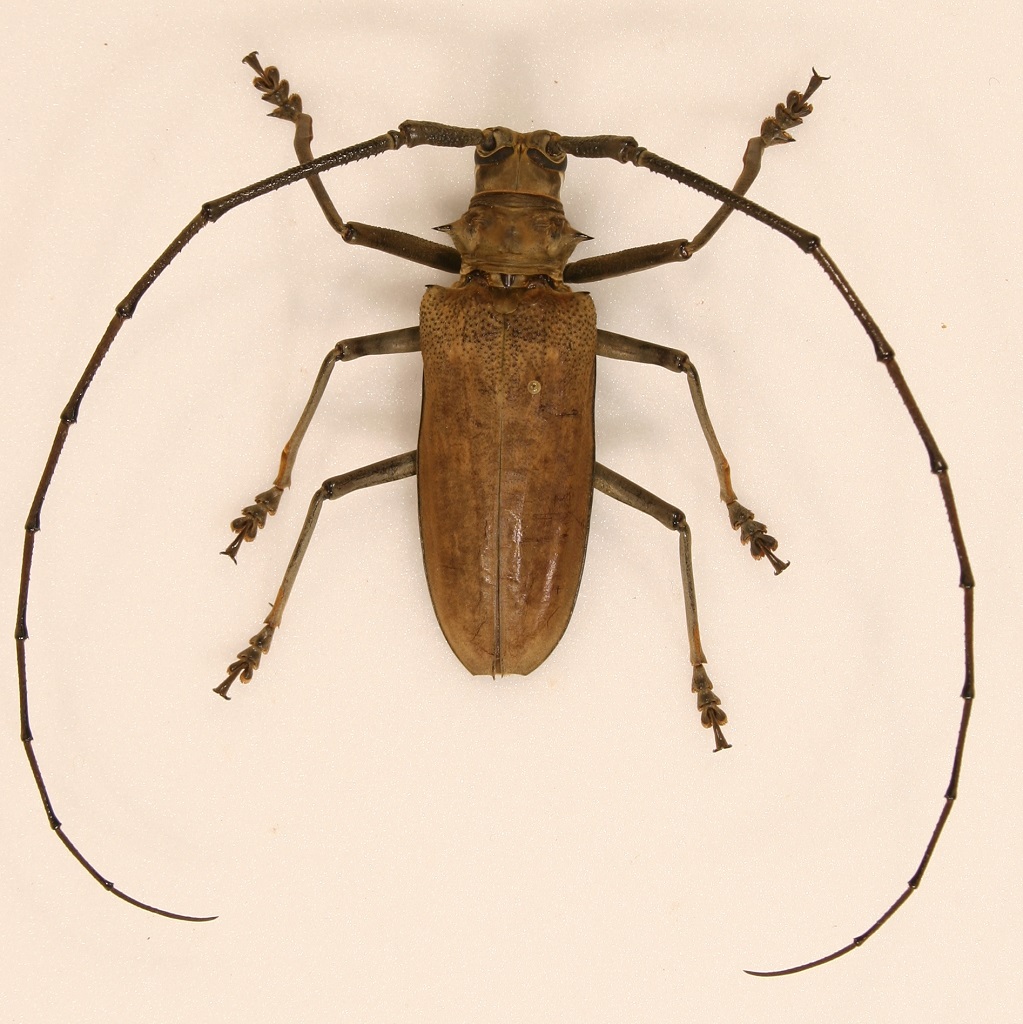
Maschio della forma tipica, 63mm
Batocera incospicua m.jpg



Femmina della var. germanica, 59 mm
Batocera incospicua var. germanica f.jpg



le località a me note di B. incospicua alle Salomone
Batocera incospicua.jpg



La mancanza di dati per Choiseul e Santa Isabel penso siano sempre imputabili alla mancanza di raccoglitori in queste isole.

_________________
Carlo Arrigo

"Solo un entomologo può capire il piacere da me provato nel cacciare per ore in qua e in là, sotto il sole cocente, tra i rami e i ramoscelli e la corteccia degli alberi caduti"
Alfred Russel Wallace


Top
profilo
MessaggioInviato: 23/02/2016, 0:43 
Avatar utente

Iscritto il: 25/11/2009, 9:31
Messaggi: 8159
Località: Lecce
Nome: Maurizio Bollino
Carlo A. ha scritto:
Batocera incospicua var. germanica Kriesche (non so l'anno)


Batocera incospicua germanica (Kriesche, 1915)

In: Kriesche, R. 1915. Die Gattung Batocera Cast. systematisch u. phylogenetisch-tiergeographisch betrachtet (Coleopt. Cerambyc.). Archiv für Naturgeschichte, Berlin. 80A(11):111-150. 24 fig.

_________________
Maurizio Bollino


Top
profilo
MessaggioInviato: 23/02/2016, 23:00 
Avatar utente

Iscritto il: 06/11/2011, 23:59
Messaggi: 1134
Località: Casola Valsenio
Nome: Carlo Arrigo Casadio
Grazie Maurizio.

_________________
Carlo Arrigo

"Solo un entomologo può capire il piacere da me provato nel cacciare per ore in qua e in là, sotto il sole cocente, tra i rami e i ramoscelli e la corteccia degli alberi caduti"
Alfred Russel Wallace


Top
profilo
Visualizza ultimi messaggi:  Ordina per  
nuovo argomento
rispondi
Pagina 1 di 1 [ 3 messaggi ]

Tutti gli orari sono UTC + 1 ora [ ora legale ]


Chi c’è in linea

Visitano il forum: Nessuno e 13 ospiti


Non puoi aprire nuovi argomenti
Non puoi rispondere negli argomenti
Non puoi modificare i tuoi messaggi
Non puoi cancellare i tuoi messaggi
Non puoi inviare allegati

Cerca per:
Vai a: