Benvenuto Ospite

Forum Entomologi Italiani

www.entomologiitaliani.net/forum
 
Oggi è 22/04/2026, 14:22

Tutti gli orari sono UTC + 1 ora [ ora legale ]

Rosenbergia straussi (Gestro, 1876) - Cerambycidae

XI.2010 - INDONESIA - EST - EE, Mt Arfak, Manokwari, West Papua


nuovo argomento
rispondi
Pagina 1 di 1 [ 9 messaggi ]
Autore Messaggio
MessaggioInviato: 25/02/2016, 12:30 
Avatar utente

Iscritto il: 06/11/2011, 23:59
Messaggi: 1134
Località: Casola Valsenio
Nome: Carlo Arrigo Casadio
Questa è la prima Rosenbergia ad essere stata raccolta; la raccolse Beccari nel 1875 sul Monte Hatam, una montagna del gruppo delle Arfak in Dutch New Guinea. Gestro in origine la descrisse come Apriona Straussi, Gestro 1876, in quanto il genere Rosenbergia non era ancora stato creato. Nel 1881 Ritsema descrisse il genere Rosenbergia su due esemplari di Rosenbergia mandibularis e Rosenbergia vetusta e nel 1887 van de Poll trasferì Apriona Straussi nel nuovo genere e così divenne Rosenbergia Straussi (Gestro), 1876.
Nel 1948 Breuning ne descrisse una varietà, la Rosenbergia Straussi rufolineata Breuning, 1948 basandosi su un esemplare proveniente dalle montagne di Papua Nuova Guinea e Gilmour nella sua revisione del 1960 mantenne questa distinzione riportando però le descrizioni originali non avendo avuto modo di osservare direttamente esemplari delle due varietà.
Fino alla revisione di Gilmour del 1960 il nome Straussi appare con la maiuscola, come riportato nella descrizione originale.
Nel 1981 Rigout mise in sinonimia rufolineata con straussi dicendo che non esistevano esemplari di R. straussi senza le linee rosse sulle elitre e ridescrisse la R. straussi con il nome di Rosenbergia lislei Rigout, 1980 (1981) basandonsi un nuovo esemplare proveniente sempre dalle Arfak e presente nella collezione Lisle.
Chiaramente Rigout non si prese la briga di controllare il tipo di Rosenbergia straussi depositato al museo di Genova e così ancora oggi il 90% degli esemplari di Rosenbergia rufolineata che si vedono nelle collezioni riportano il nome Rosenbergia straussi.

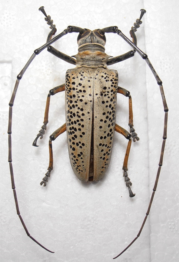
Maschio, Arfak mt. 58 mm
Rosenbergia straussi  Arfak m 1.jpg



Femmina, Arfak mt. 61 mm
Rosenbergia straussi  Arfak f.jpg



Maschio, Mapia mt. 60
Rosenbergia straussi Mapia m.jpg



Rosenbergia straussi tipo, museo di Genova
Rosenbergia straussi tipo 1.jpg



Cartellini originali del tipo
Rosenbergia straussi cartellini.jpg



Il cerchio indica i monti Arfak, la stella i monti Mapia
Rosenbergia straussi.jpg


_________________
Carlo Arrigo

"Solo un entomologo può capire il piacere da me provato nel cacciare per ore in qua e in là, sotto il sole cocente, tra i rami e i ramoscelli e la corteccia degli alberi caduti"
Alfred Russel Wallace


Top
profilo
MessaggioInviato: 25/02/2016, 14:18 
Avatar utente

Iscritto il: 25/11/2009, 9:31
Messaggi: 8159
Località: Lecce
Nome: Maurizio Bollino
Carlo A. ha scritto:
Nel 1981 Rigout mise in sinonimia rufolineata con straussi dicendo che non esistevano esemplari di R. straussi senza le linee rosse sulle elitre e ridescrisse la R. straussi con il nome di Rosenbergia lislei Rigout, 1980 (1981) basandonsi un nuovo esemplare proveniente sempre dalle Arfak e presente nella collezione Lisle.


Perchè Rigout avrebbe ridescritto straussi chiamandola lislei?

_________________
Maurizio Bollino


Top
profilo
MessaggioInviato: 25/02/2016, 15:54 
Avatar utente

Iscritto il: 06/11/2011, 23:59
Messaggi: 1134
Località: Casola Valsenio
Nome: Carlo Arrigo Casadio
Ciao Maurizio,
Rigout era convinto che Rosenbergia straussi e Rosenbergia rufolineata fossero la stessa cosa, così quando si trovò per le mani un esemplare della "vera " straussi pensò si trattasse di una specie nuova e la descrisse con il nome di Rosenbergia lislei. L' equivoco nasce dal fatto che Rigout non osservò il tipo di straussi.

_________________
Carlo Arrigo

"Solo un entomologo può capire il piacere da me provato nel cacciare per ore in qua e in là, sotto il sole cocente, tra i rami e i ramoscelli e la corteccia degli alberi caduti"
Alfred Russel Wallace


Top
profilo
MessaggioInviato: 25/02/2016, 17:38 
Avatar utente

Iscritto il: 25/11/2009, 9:31
Messaggi: 8159
Località: Lecce
Nome: Maurizio Bollino
Carlo A. ha scritto:
Ciao Maurizio,
Rigout era convinto che Rosenbergia straussi e Rosenbergia rufolineata fossero la stessa cosa, così quando si trovò per le mani un esemplare della "vera " straussi pensò si trattasse di una specie nuova e la descrisse con il nome di Rosenbergia lislei. L' equivoco nasce dal fatto che Rigout non osservò il tipo di straussi.

Avevo capito bene. La cosa che non capisco è la ragione per cui Rigout abbia dato priorità a rufolineata rispetto alla più antica straussi. Se avesse rispettato il Codice si sarebbe risparmiato un ulteriore sinonimo.

_________________
Maurizio Bollino


Top
profilo
MessaggioInviato: 25/02/2016, 19:30 
Avatar utente

Iscritto il: 06/11/2011, 23:59
Messaggi: 1134
Località: Casola Valsenio
Nome: Carlo Arrigo Casadio
Non so perché Rigout abbia fatto tutto questa confusione, comunque la Rosenbergia rufolineata è forse la più comune e diffusa nelle collezioni, mentre la Rosenbergia straussi fino a pochi anni fa era estremamente rara. Sono convinto che lui non avesse mai visto una R. straussi.
In pratica ha tenuto valido il nome più antico, cioè straussi, però attribuendolo alla specie sbagliata. Da un punto di vista tassonomico infatti Rosenbergia straussi e Rosenbergia rufolineata sono due specie totalmente distinte.
Se riesco più tardi posto anche una scheda di Rosenbergia rufolineata.

_________________
Carlo Arrigo

"Solo un entomologo può capire il piacere da me provato nel cacciare per ore in qua e in là, sotto il sole cocente, tra i rami e i ramoscelli e la corteccia degli alberi caduti"
Alfred Russel Wallace


Top
profilo
MessaggioInviato: 25/02/2016, 19:57 
Avatar utente

Iscritto il: 22/12/2009, 13:31
Messaggi: 9646
Località: Napoli
Nome: Francesco Izzillo
Carlo, guarda che non hai riportato bene l'Autore (parentesi fuori posto...).

_________________
Francesco Izzillo


Top
profilo
MessaggioInviato: 25/02/2016, 20:07 
Avatar utente

Iscritto il: 06/11/2011, 23:59
Messaggi: 1134
Località: Casola Valsenio
Nome: Carlo Arrigo Casadio
f.izzillo ha scritto:
Carlo, guarda che non hai riportato bene l'Autore (parentesi fuori posto...).

Io in queste cose mi perdo....come dovrebbe essere?

_________________
Carlo Arrigo

"Solo un entomologo può capire il piacere da me provato nel cacciare per ore in qua e in là, sotto il sole cocente, tra i rami e i ramoscelli e la corteccia degli alberi caduti"
Alfred Russel Wallace


Top
profilo
MessaggioInviato: 25/02/2016, 20:36 
Avatar utente

Iscritto il: 02/09/2009, 20:57
Messaggi: 8703
Località: Cagliari
Nome: Roberto Rattu
Ora è a posto :)

:hi:


Top
profilo
MessaggioInviato: 25/02/2016, 20:53 
Avatar utente

Iscritto il: 30/12/2009, 22:20
Messaggi: 31564
Località: Roma
Nome: Maurizio Gigli
Carlo A. ha scritto:
f.izzillo ha scritto:
Carlo, guarda che non hai riportato bene l'Autore (parentesi fuori posto...).

Io in queste cose mi perdo....come dovrebbe essere?

Non preoccuparti. Sei in buona compagnia.
Guarda la checklist dei Buprestidi mondiali di Bellamy. E' tutta così (vedi ad esempio questa pagina)
Ed anche i cinque costosi volumi del suo catalogo mondiale sono tutti in quel modo.

_________________
Maurizio Gigli
http://utenti.romascuola.net/bups
http://bup.xoom.it/


Top
profilo
Visualizza ultimi messaggi:  Ordina per  
nuovo argomento
rispondi
Pagina 1 di 1 [ 9 messaggi ]

Tutti gli orari sono UTC + 1 ora [ ora legale ]


Chi c’è in linea

Visitano il forum: Nessuno e 2 ospiti


Non puoi aprire nuovi argomenti
Non puoi rispondere negli argomenti
Non puoi modificare i tuoi messaggi
Non puoi cancellare i tuoi messaggi
Non puoi inviare allegati

Cerca per:
Vai a: