| Autore |
Messaggio |
|
Julodis
|
Inviato: 15/07/2016, 17:01 |
|
Iscritto il: 30/12/2009, 22:20 Messaggi: 31564 Località: Roma
Nome: Maurizio Gigli
|
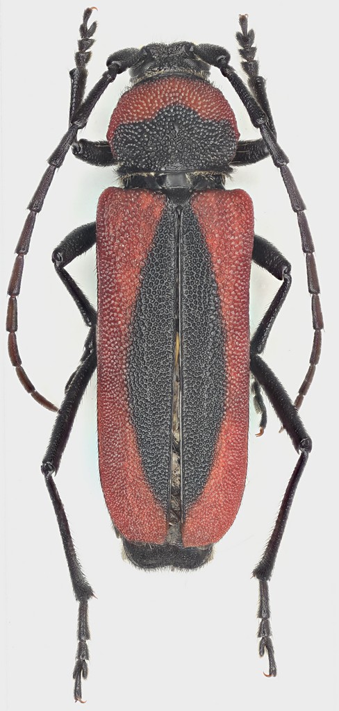
Purpuricenus (Purpuricenus) globulicollis Dejean, 1839 Mentre pulivo 7 Purpuricenus kaehleri inevitabilmente finiti nelle 5 trappole in cui ho preso questa specie, per metterli in bustina, mi sono accorto che uno era un po' strano. Così l'ho guardato al binoculare e, sorpresa, non era un kaehleri, ma un Purpuricenus globulicollis! Controllando bene, ce n'erano due su sette. Se non sbaglio, sono i primi esemplari trovati nel Lazio di questa specie molto sporadica in Italia. Sulla specie non dovrebbero esserci dubbi, in quanto presenta tutte le caratteristiche indicate da Pierpaolo Rapuzzi in questa discussione. Solo l'apice elitrale è un po' diverso, ma a quanto ho capito è un carattere variabile. L'altro esemplare (che sta ancora seccando) è identico, ma il protorace è completamente privo anche del più piccolo dente laterale, mentre questo ce l'ha appena accennato. Lazio, Roma, Segni, gruppo del Monte Lupone, 900 m, 1-12.VII.2016, M. Gigli legit 16,5 mm
|
|
| Top |
|
 |
|
Xylosteus
|
Inviato: 15/07/2016, 17:05 |
|
Iscritto il: 13/09/2009, 18:04 Messaggi: 882
Nome: Pierpaolo Rapuzzi
|
|
Complimenti Maurizio, bel colpo. Il dentino laterale è piuttosto variabile. Quello che conta è l'apice delle elitre troncato, il pronoto globoso e privo di depressioni e la forma più "simmetrica" della macchia nera elitrale.
|
|
| Top |
|
 |
|
Julodis
|
Inviato: 15/07/2016, 17:08 |
|
Iscritto il: 30/12/2009, 22:20 Messaggi: 31564 Località: Roma
Nome: Maurizio Gigli
|
|
Infatti il pronoto globoso e la macchia con la curvatura anteriore praticamente uguale a quella posteriore, al contrario di quel che avviene in kaehleri, sono ciò che mi ha insospettito inizialmente. Poi ho visto che anche gli altri caratteri corrispondevano a quelli che avevi indicato tu. Probabilmente senza aver letto quelle indicazioni non me ne sarei neanche accorto e sarebbero finiti in una bustina per scambi. Anzi, chissà che tra le tante bustine di kaehleri preparate anni fa non ce ne sia qualcuno?
|
|
| Top |
|
 |
|
Xylosteus
|
Inviato: 15/07/2016, 17:14 |
|
Iscritto il: 13/09/2009, 18:04 Messaggi: 882
Nome: Pierpaolo Rapuzzi
|
|
Ti consiglio di verificare! Se poi un esemplare del Lazio ti avanza ne sarei felice....
|
|
| Top |
|
 |
|
Julodis
|
Inviato: 15/07/2016, 17:29 |
|
Iscritto il: 30/12/2009, 22:20 Messaggi: 31564 Località: Roma
Nome: Maurizio Gigli
|
|
Controllerò. Ora che l'ho visto dal vero, dovrei individuarlo facilmente.
|
|
| Top |
|
 |
|
Tc70
|
Inviato: 15/07/2016, 17:37 |
|
Iscritto il: 09/11/2010, 19:52 Messaggi: 4518 Località: Brescia
Nome: Luca Bodei
|
E pensare che in una trappolata di qualche anno fa...per non farli passare tutti li ho regalati,saran stati almeno 100 Purpuricenus...presumevo tutti kaelheri...ma a questo punto...mi pesto un pò le dita... 
_________________ Tc70
|
|
| Top |
|
 |
|
marco villa
|
Inviato: 15/07/2016, 19:57 |
|
Iscritto il: 19/06/2012, 14:35 Messaggi: 5666 Località: Alfonsine (RA)
Nome: Marco Villani
|
Julodis ha scritto: Probabilmente senza aver letto quelle indicazioni non me ne sarei neanche accorto e sarebbero finiti in una bustina per scambi. Anzi, chissà che tra le tante bustine di kaehleri preparate anni fa non ce ne sia qualcuno? Se li vedevo a Modena mi prendevo tutte le bustine, "sono solo kaehleri!" Complimenti, davvero una specie rara, che non mi risulta nemmeno segnalata per la mia regione (anche se vi è un dato recente riguardante l'Emilia). In effetti nella penisola è molto poco comune, mentre nel Carso sloveno è più abbondante.
|
|
| Top |
|
 |
|
Plagionotus
|
Inviato: 15/07/2016, 20:57 |
|
Iscritto il: 21/05/2009, 14:59 Messaggi: 6995 Località: Parigi
Nome: Riccardo Poloni
|
Complimenti Maurizio!  Davvero un bel colpo, io qui continuo a cercarlo e non lo trovo manco a pagare...
_________________ Riccardo Poloni La dignità degli elementi la libertà della poesia, al di là dei tradimenti degli uomini è magia, è magia, è magia... Negrita, Rotolando verso sud
|
|
| Top |
|
 |
|
Julodis
|
Inviato: 15/07/2016, 22:17 |
|
Iscritto il: 30/12/2009, 22:20 Messaggi: 31564 Località: Roma
Nome: Maurizio Gigli
|
marco villa ha scritto: non mi risulta nemmeno segnalata per la mia regione (anche se vi è un dato recente riguardante l'Emilia). Al momento è nota di: Venezia Giulia, Veneto, Trentino, Abruzzo, Basilicata, Calabria e Sicilia. Una distribuzione molto strana, in pratica, il Nord Est, dove è comprensibile la sua presenza, visto che c'è continuità con i Balcani, il Sud e la Sicilia, e quella segnalazione isolata per l'Abruzzo (non so di quale località, ma in Abruzzo ci sono zone, come il versante occidentale del gruppo Majella/Morrone, dove risalgono diverse specie meridionali) Il fatto che sia anche in Lazio, e non sull'Appennino, ma sui Monti Lepini (che sono una catena costiera parallela all'Appennino ma non collegata, che continua a Sud-Est con Ausoni ed Aurunci), mi fa pensare che possa essere presente un po' in tutta Italia, frammisto col kaehleri, ma molto meno frequente, e probabilmente localizzato. P.S. - Domani arriva un altro bel cerambice preso nelle stesse trappole. Non così raro, ma neanche comune, almeno non da queste parti.
|
|
| Top |
|
 |
|
Plagionotus
|
Inviato: 15/07/2016, 22:52 |
|
Iscritto il: 21/05/2009, 14:59 Messaggi: 6995 Località: Parigi
Nome: Riccardo Poloni
|
|
In Emilia è stato preso: qualche esemplare in provincia di Piacenza e uno anche in Romagna mi sembra, ma di quest'ultimo ho un ricordo non certo...
_________________ Riccardo Poloni La dignità degli elementi la libertà della poesia, al di là dei tradimenti degli uomini è magia, è magia, è magia... Negrita, Rotolando verso sud
|
|
| Top |
|
 |
|
AleP
|
Inviato: 16/07/2016, 9:41 |
|
Iscritto il: 23/09/2009, 15:14 Messaggi: 1394 Località: Verona
Nome: Alessandro Pinna
|
Bella presa Maurizio! A che qui dalle mie parti la specie si trova, frammista al ben più comune kaheleri. Proprio di recente, esaminando il contenuto di alcune trappole, in mezzo ad una marea di kaheleri (senza esagerare circa 200, tanto che poi ho tolto le trappole) mi sono trovato alcuni globulicollis, ma saranno stati si e no 7-8 esemplari! 
_________________ AleP
|
|
| Top |
|
 |
|
Xylosteus
|
Inviato: 16/07/2016, 12:16 |
|
Iscritto il: 13/09/2009, 18:04 Messaggi: 882
Nome: Pierpaolo Rapuzzi
|
|
Recentemente lo ho trovato in un paio di località delle Alpi Giulie vicino a Pontebba sempre non comune. Trovato in ambiente alpino in faggeta!
|
|
| Top |
|
 |
|
Julodis
|
Inviato: 16/07/2016, 14:40 |
|
Iscritto il: 30/12/2009, 22:20 Messaggi: 31564 Località: Roma
Nome: Maurizio Gigli
|
Xylosteus ha scritto: Recentemente lo ho trovato in un paio di località delle Alpi Giulie vicino a Pontebba sempre non comune. Trovato in ambiente alpino in faggeta! Anche queste trappole, pur essendo su carpini in un ceduo di Carpinus ed Ostrya, con qualche Crataegus e rari Laburnum, avevano la faggeta che iniziava trenta metri più su.
|
|
| Top |
|
 |
|
AleP
|
Inviato: 16/07/2016, 14:56 |
|
Iscritto il: 23/09/2009, 15:14 Messaggi: 1394 Località: Verona
Nome: Alessandro Pinna
|
Xylosteus ha scritto: Recentemente lo ho trovato in un paio di località delle Alpi Giulie vicino a Pontebba sempre non comune. Trovato in ambiente alpino in faggeta! Che ritrovamento interessante! In effetti nella zona che citi, che conosco abbastanza bene, il globulicollis non me lo sarei immaginato.
_________________ AleP
|
|
| Top |
|
 |
|