Benvenuto Ospite

Forum Entomologi Italiani

www.entomologiitaliani.net/forum
 
Oggi è 24/02/2026, 20:32

Tutti gli orari sono UTC + 1 ora [ ora legale ]

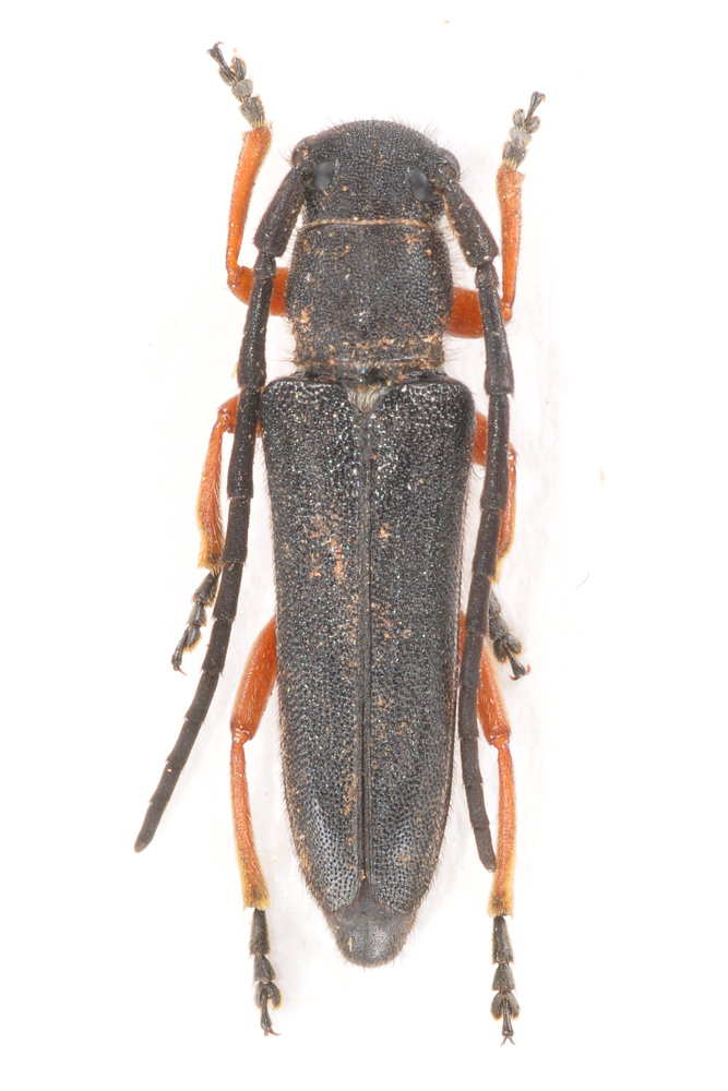
Phytoecia (Phytoecia) erythrocnema Lucas, 1849 - Cerambycidae

30.V.2016 - MAROCCO - EE, Dint. Ifrane m 1200 - Catena del Medio Atlante


nuovo argomento
rispondi
Pagina 1 di 1 [ 10 messaggi ]
Autore Messaggio
MessaggioInviato: 02/11/2016, 9:56 
 

Iscritto il: 01/06/2012, 12:24
Messaggi: 315
Nome: Danilo Baratelli
Somiglia a una specie europea ma non mi azzardo..
Presa su Compositae in Marocco sul Medio Atlante.
Ciao Danilo


Phytoecia-atlanteDSC_1069rid.jpg

Top
profilo
 Oggetto del messaggio: Re: Phytoeciino del Medio Atlante
MessaggioInviato: 02/11/2016, 10:15 
Avatar utente

Iscritto il: 24/11/2015, 19:04
Messaggi: 992
Località: Marina Romea (RA)
Nome: Nicola Cuffiani
Oberea :roll: :roll: ??
:hi: Nik

_________________
Nel mezzo del cammin di nostra vita mi ritrovai per una selva oscura, ché la diritta via era smarrita... (Inferno canto I)


Top
profilo
 Oggetto del messaggio: Re: Phytoeciino del Medio Atlante
MessaggioInviato: 02/11/2016, 10:44 
Avatar utente

Iscritto il: 19/06/2012, 14:35
Messaggi: 5663
Località: Alfonsine (RA)
Nome: Marco Villani
Nicola ha scritto:
Oberea :roll: :roll: ??
:hi: Nik


No, le Oberea sono Obereini.

Potrebbe essere Phytoecia (Phytoecia) erythrocnema.


Top
profilo
 Oggetto del messaggio: Re: Phytoeciino del Medio Atlante
MessaggioInviato: 02/11/2016, 10:53 
 

Iscritto il: 01/06/2012, 12:24
Messaggi: 315
Nome: Danilo Baratelli
Proprio a quella pensavo, ma non ricordavo la sua distribuzione. In Spagna c'è ma in Marocco???
Danilo


Top
profilo
 Oggetto del messaggio: Re: Phytoeciino del Medio Atlante
MessaggioInviato: 02/11/2016, 11:12 
Avatar utente

Iscritto il: 19/06/2012, 14:35
Messaggi: 5663
Località: Alfonsine (RA)
Nome: Marco Villani
Il Baratelli ha scritto:
Proprio a quella pensavo, ma non ricordavo la sua distribuzione. In Spagna c'è ma in Marocco???
Danilo


Cercando sul web, sembra essere presente anche in Marocco.
:hi:


Top
profilo
 Oggetto del messaggio: Re: Phytoeciino del Medio Atlante
MessaggioInviato: 02/11/2016, 11:15 
Avatar utente

Iscritto il: 02/09/2009, 20:57
Messaggi: 8703
Località: Cagliari
Nome: Roberto Rattu
Scusate l'O.T.: Danilo, hai effettuato anche raccolte alla lampada?

:hi:


Top
profilo
 Oggetto del messaggio: Re: Phytoeciino del Medio Atlante
MessaggioInviato: 02/11/2016, 12:36 
 

Iscritto il: 01/06/2012, 12:24
Messaggi: 315
Nome: Danilo Baratelli
Ho tentato, Roberto, putroppo il tempo era freddo e ventoso, la wood si è dimostrata inutile....
Danilo


Top
profilo
 Oggetto del messaggio: Re: Phytoeciino del Medio Atlante
MessaggioInviato: 03/11/2016, 16:00 
Avatar utente

Iscritto il: 21/05/2009, 14:59
Messaggi: 6994
Località: Parigi
Nome: Riccardo Poloni
Ho visto ora questa Phytoecia, sembra anche a me che sia la erythrocnema, che c'è anche in Marocco, e non mi sembra ce ne sia un'altra confondibile. Preferirei però aspettare il parere di Pierpaolo.

_________________
Riccardo Poloni
La dignità degli elementi
la libertà della poesia,
al di là dei tradimenti degli uomini
è magia, è magia, è magia...
Negrita, Rotolando verso sud


Top
profilo
 Oggetto del messaggio: Re: Phytoeciino del Medio Atlante
MessaggioInviato: 04/11/2016, 12:02 
 

Iscritto il: 01/06/2012, 12:24
Messaggi: 315
Nome: Danilo Baratelli
Me la sono riguardata bene al binoculare, tutti i caratteri sono da erythrocnema.
Ciao e grazie mille
Danilo


Top
profilo
 Oggetto del messaggio: Re: Phytoeciino del Medio Atlante
MessaggioInviato: 04/11/2016, 21:53 
 

Iscritto il: 13/09/2009, 18:04
Messaggi: 882
Nome: Pierpaolo Rapuzzi
Confermo anch'io che si tratta di Phytoecia erythrocnema.

Pierpaolo


Top
profilo
Visualizza ultimi messaggi:  Ordina per  
nuovo argomento
rispondi
Pagina 1 di 1 [ 10 messaggi ]

Tutti gli orari sono UTC + 1 ora [ ora legale ]


Chi c’è in linea

Visitano il forum: Google [Bot] e 2 ospiti


Non puoi aprire nuovi argomenti
Non puoi rispondere negli argomenti
Non puoi modificare i tuoi messaggi
Non puoi cancellare i tuoi messaggi
Non puoi inviare allegati

Cerca per:
Vai a: