Benvenuto Ospite

Forum Entomologi Italiani

www.entomologiitaliani.net/forum
 
Oggi è 20/04/2026, 16:50

Tutti gli orari sono UTC + 1 ora [ ora legale ]

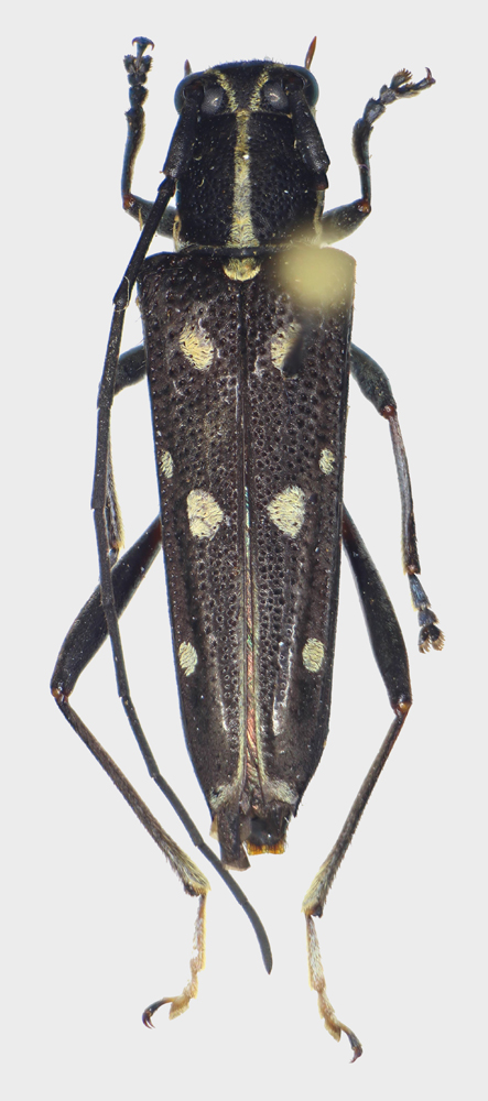
Glenea sp. - Cerambycidae

IV.2007 - INDONESIA - OVEST - EE, Sumatra, Mt. Sanggul, N. Payakumbuh 1200m, leg. St. Jakl


nuovo argomento
rispondi
Pagina 1 di 1 [ 4 messaggi ]
Autore Messaggio
 Oggetto del messaggio: Glenea sp. - Cerambycidae
MessaggioInviato: 18/06/2017, 16:48 
Avatar utente

Iscritto il: 01/07/2010, 22:26
Messaggi: 5665
Località: Viterbo
Nome: Marco Selis
Ultimamente ho iniziato a collezionare i piccoli Lamiinae del genere Glenea, che in Asia mostrano una differenziazione strabiliante. Di alcuni esemplari sono riuscito ad arrivare alla specie (ma chiederò comunque conferma), mentre per altri non so nemmeno da dove cominciare :oooner: Sperando nel vostro aiuto, inizio con questo esemplare da Sumatra :D

13mm

New-Out99999.jpg



Top
profilo
 Oggetto del messaggio: Re: Glenea da Sumatra
MessaggioInviato: 18/06/2017, 17:31 
Avatar utente

Iscritto il: 30/12/2009, 22:20
Messaggi: 31564
Località: Roma
Nome: Maurizio Gigli
Sei stato preso dalle Glenea!?

Tempo fa stavo per cascarci pure io, ma fortunatamente sono riuscito a resistere. Sono troppe!

_________________
Maurizio Gigli
http://utenti.romascuola.net/bups
http://bup.xoom.it/


Top
profilo
 Oggetto del messaggio: Re: Glenea da Sumatra
MessaggioInviato: 18/06/2017, 17:33 
Avatar utente

Iscritto il: 07/09/2010, 12:59
Messaggi: 1920
Località: Como
Nome: Matteo Zugno
Bella! Assomiglia alle Saperda nostrane
:hi:


Top
profilo
 Oggetto del messaggio: Re: Glenea da Sumatra
MessaggioInviato: 18/06/2017, 21:40 
Avatar utente

Iscritto il: 01/07/2010, 22:26
Messaggi: 5665
Località: Viterbo
Nome: Marco Selis
Julodis ha scritto:
Sei stato preso dalle Glenea!?

Tempo fa stavo per cascarci pure io, ma fortunatamente sono riuscito a resistere. Sono troppe!


Anche io inizialmente ero abbastanza restio a iniziare a collezionarle, ma visti i prezzi veramente irrisori ho iniziato a prendere uno o due esemplari per specie.

Xylotrechus ha scritto:
Bella! Assomiglia alle Saperda nostrane
:hi:


Infatti il genere Glenea fa parte della tribù Saperdini ;)


Top
profilo
Visualizza ultimi messaggi:  Ordina per  
nuovo argomento
rispondi
Pagina 1 di 1 [ 4 messaggi ]

Tutti gli orari sono UTC + 1 ora [ ora legale ]


Chi c’è in linea

Visitano il forum: Nessuno e 5 ospiti


Non puoi aprire nuovi argomenti
Non puoi rispondere negli argomenti
Non puoi modificare i tuoi messaggi
Non puoi cancellare i tuoi messaggi
Non puoi inviare allegati

Cerca per:
Vai a: