Benvenuto Ospite

Forum Entomologi Italiani

www.entomologiitaliani.net/forum
 
Oggi è 21/12/2025, 18:23

Tutti gli orari sono UTC + 1 ora [ ora legale ]

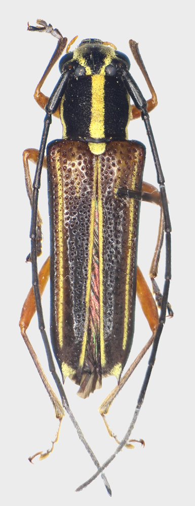
Glenea sp. - Cerambycidae

IV.2007 - INDONESIA - OVEST - EE, Sumatra, Mt. Sanggul, N. Payakumbuh 1200m, leg. St. Jakl


nuovo argomento
rispondi
Pagina 1 di 1 [ 4 messaggi ]
Autore Messaggio
 Oggetto del messaggio: Glenea sp. - Cerambycidae
MessaggioInviato: 20/06/2017, 16:48 
Avatar utente

Iscritto il: 01/07/2010, 22:26
Messaggi: 5650
Località: Viterbo
Nome: Marco Selis
Terza Glenea indeterminata da Sumatra. Il pattern con queste strisce longitudinali gialle è comune a diverse specie, ma non trovo nessuna che abbia la parte anteriore delle elitre marrone.

11,5mm

New-Out99999.jpg



Top
profilo
 Oggetto del messaggio: Re: Glenea da Sumatra 3
MessaggioInviato: 20/06/2017, 22:49 
Avatar utente

Iscritto il: 06/11/2011, 23:59
Messaggi: 1134
Località: Casola Valsenio
Nome: Carlo Arrigo Casadio
Ciao Marco,
molto belle queste Glenea, io purtroppo non riesco ad aiutarti, ma prova a dare un'occhiata qua: www.cerambycoidea.com

_________________
Carlo Arrigo

"Solo un entomologo può capire il piacere da me provato nel cacciare per ore in qua e in là, sotto il sole cocente, tra i rami e i ramoscelli e la corteccia degli alberi caduti"
Alfred Russel Wallace


Top
profilo
 Oggetto del messaggio: Re: Glenea da Sumatra 3
MessaggioInviato: 21/06/2017, 0:00 
Avatar utente

Iscritto il: 13/06/2015, 13:46
Messaggi: 1675
Località: Milano
Nome: Claudio Leali
Come sito, puoi provare a guardare anche questo:

https://apps2.cdfa.ca.gov/publicApps/pl ... efault.asp

e considerando l'elevatissimo numero di sp. dovrai avere tanta pazienza... :mrgreen:

:hi:

_________________
"E' ciò che non si vede, non quello che si vede che fa paura."
Christopher Lee


Top
profilo
 Oggetto del messaggio: Re: Glenea da Sumatra 3
MessaggioInviato: 21/06/2017, 6:41 
Avatar utente

Iscritto il: 30/12/2009, 22:20
Messaggi: 31564
Località: Roma
Nome: Maurizio Gigli
Per dirla alla "Paglia", ci potrebbe essere una soluzione mathematica, da non confondere con quella algebraica. :D

_________________
Maurizio Gigli
http://utenti.romascuola.net/bups
http://bup.xoom.it/


Top
profilo
Visualizza ultimi messaggi:  Ordina per  
nuovo argomento
rispondi
Pagina 1 di 1 [ 4 messaggi ]

Tutti gli orari sono UTC + 1 ora [ ora legale ]


Chi c’è in linea

Visitano il forum: Nessuno e 4 ospiti


Non puoi aprire nuovi argomenti
Non puoi rispondere negli argomenti
Non puoi modificare i tuoi messaggi
Non puoi cancellare i tuoi messaggi
Non puoi inviare allegati

Cerca per:
Vai a: