Benvenuto Ospite

Forum Entomologi Italiani

www.entomologiitaliani.net/forum
 
Oggi è 21/02/2026, 20:53

Tutti gli orari sono UTC + 1 ora [ ora legale ]

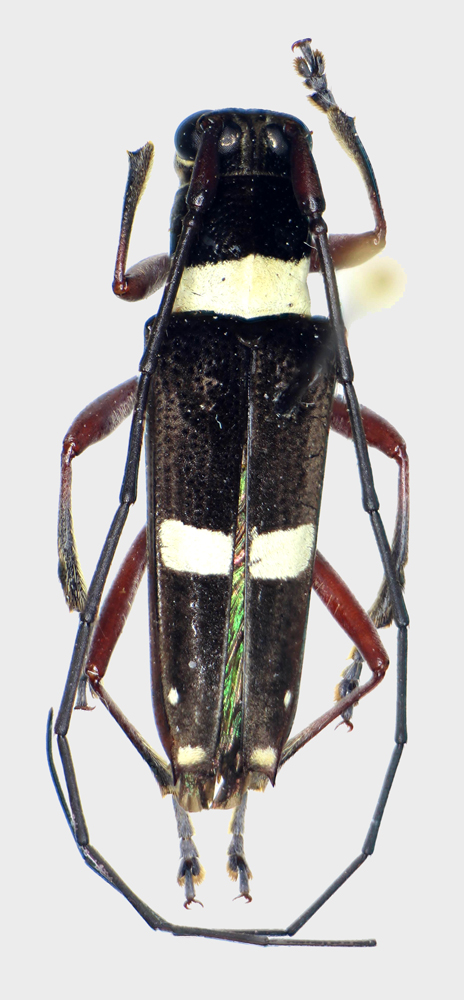
Glenea (Glenea) funerula (Thomson, 1857) - Cerambycidae Lamiinae

VIII.2015 - INDONESIA - OVEST - EE, Sumatra, Mt. Sanggul, Landai, 1200-1900m, leg. St. Jakl


nuovo argomento
rispondi
Pagina 1 di 1 [ 2 messaggi ]
Autore Messaggio
MessaggioInviato: 24/06/2017, 16:48 
Avatar utente

Iscritto il: 01/07/2010, 22:26
Messaggi: 5661
Località: Viterbo
Nome: Marco Selis
Altra Glenea che trovo molto bella per la colorazione nera e bianca. Credo non ci siano possibilità di confonderla con altre specie, ma una conferma è sempre meglio averla ;)

12,5mm

New-Out99999.jpg



Top
profilo
MessaggioInviato: 24/06/2017, 16:59 
Avatar utente

Iscritto il: 30/12/2009, 22:20
Messaggi: 31564
Località: Roma
Nome: Maurizio Gigli
Ho una bestia apparentemente quasi identica (non so se Glenea o altro genere) del Cameroun!

_________________
Maurizio Gigli
http://utenti.romascuola.net/bups
http://bup.xoom.it/


Top
profilo
Visualizza ultimi messaggi:  Ordina per  
nuovo argomento
rispondi
Pagina 1 di 1 [ 2 messaggi ]

Tutti gli orari sono UTC + 1 ora [ ora legale ]


Chi c’è in linea

Visitano il forum: Nessuno e 3 ospiti


Non puoi aprire nuovi argomenti
Non puoi rispondere negli argomenti
Non puoi modificare i tuoi messaggi
Non puoi cancellare i tuoi messaggi
Non puoi inviare allegati

Cerca per:
Vai a: