Benvenuto Ospite

Forum Entomologi Italiani

www.entomologiitaliani.net/forum
 
Oggi è 27/12/2025, 21:37

Tutti gli orari sono UTC + 1 ora [ ora legale ]

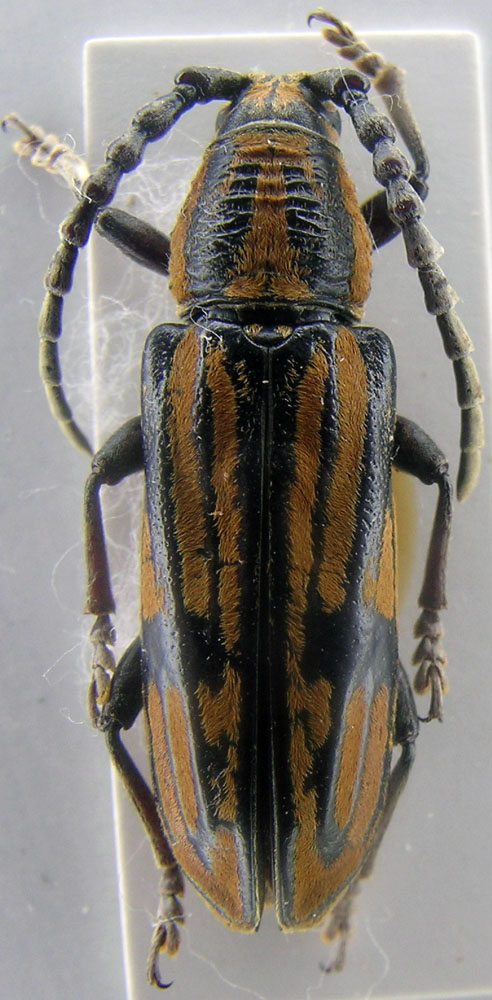
Allodissus sulcatipennis Schwarzer, 1926 - Cerambycidae Cerambycinae Cerambycini

VIII.2013 - FILIPPINE - EE, Is Leyete Mt Balocaue


nuovo argomento
rispondi
Pagina 1 di 1 [ 2 messaggi ]
Autore Messaggio
MessaggioInviato: 01/03/2018, 17:27 
Avatar utente

Iscritto il: 09/12/2010, 15:21
Messaggi: 1430
Località: San Giovanni in Marignano (RN)
Nome: Fabio Talamelli
Secondo cerambycidae delle Filippine Lunghezza mm 26


cerambicidae filippine.jpg


_________________
Fabio Talamelli
Centro Studi Naturalistici Valconca
talamellif@libero.it
http://www.csnvalconca.it
Tel. 3384150775
Top
profilo
 Oggetto del messaggio: Re: Altro Cerambycidae Filippine
MessaggioInviato: 01/03/2018, 17:37 
Avatar utente

Iscritto il: 09/11/2009, 14:12
Messaggi: 5175
Località: Hradec Kralove,Czech republik
Nome: Jan Matějíček
Subfamily: Cerambycinae Latreille, 1802
Tribe: Cerambycini Mulsant, 1839
Allodissus sulcatipennis Schwarzer, 1926

_________________
Research Fields
Taxonomy, ecology, biomonitoring , faunistic of Staphylinidae


Top
profilo
Visualizza ultimi messaggi:  Ordina per  
nuovo argomento
rispondi
Pagina 1 di 1 [ 2 messaggi ]

Tutti gli orari sono UTC + 1 ora [ ora legale ]


Chi c’è in linea

Visitano il forum: Nessuno e 1 ospite


Non puoi aprire nuovi argomenti
Non puoi rispondere negli argomenti
Non puoi modificare i tuoi messaggi
Non puoi cancellare i tuoi messaggi
Non puoi inviare allegati

Cerca per:
Vai a: