Benvenuto Ospite

Forum Entomologi Italiani

www.entomologiitaliani.net/forum
 
Oggi è 02/01/2026, 2:15

Tutti gli orari sono UTC + 1 ora [ ora legale ]

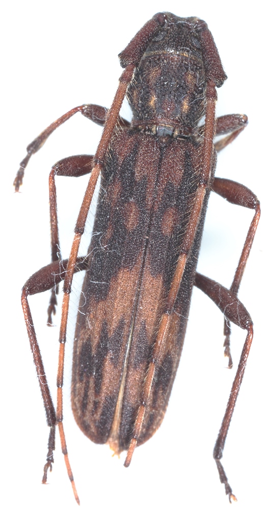
Catoeme raminahisoae Bonneau & Vitali, 2015 - Cerambycidae

Madagascar


nuovo argomento
rispondi
Pagina 1 di 1 [ 3 messaggi ]
Autore Messaggio
MessaggioInviato: 19/06/2019, 16:18 
 

Iscritto il: 28/03/2013, 18:37
Messaggi: 580
Nome: marco salemi
ciao a tutti
trovato Madagascar, mis. 1,5 cm.
grazie


madagascar+ticino piemonte 001.jpg

Top
profilo
 Oggetto del messaggio: Re: Madagascar ID
MessaggioInviato: 23/06/2019, 23:55 
 

Iscritto il: 02/11/2010, 22:33
Messaggi: 991
Nome: Aleksei Kovalev
I absolutely don't know Malagasy cerambycids, but accidentally found this paper: https://www.researchgate.net/publicatio ... rambycidae
:hi:


Top
profilo
 Oggetto del messaggio: Re: Madagascar ID
MessaggioInviato: 24/06/2019, 16:52 
 

Iscritto il: 28/03/2013, 18:37
Messaggi: 580
Nome: marco salemi
thanks Aleksei ,
I tried to see the article you posted and it looks a lot like it .... :)


Top
profilo
Visualizza ultimi messaggi:  Ordina per  
nuovo argomento
rispondi
Pagina 1 di 1 [ 3 messaggi ]

Tutti gli orari sono UTC + 1 ora [ ora legale ]


Chi c’è in linea

Visitano il forum: Nessuno e 1 ospite


Non puoi aprire nuovi argomenti
Non puoi rispondere negli argomenti
Non puoi modificare i tuoi messaggi
Non puoi cancellare i tuoi messaggi
Non puoi inviare allegati

Cerca per:
Vai a:  
cron