| Forum Entomologi Italiani https://www.entomologiitaliani.net/public/forum/phpBB3/ |
|
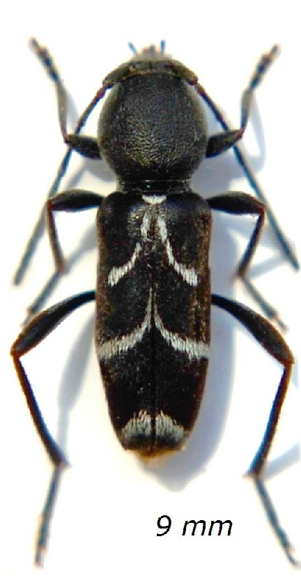
| Chlorophorus sartor (O. F. Müller, 1766) - Cerambycidae https://www.entomologiitaliani.net/public/forum/phpBB3/viewtopic.php?f=145&t=87434 |
Pagina 1 di 1 |
| Autore: | Honza [ 08/11/2019, 14:13 ] | ||
| Oggetto del messaggio: | Chlorophorus sartor (O. F. Müller, 1766) - Cerambycidae | ||
Per favore aiuto con determinazione di questo species.
|
|||
| Autore: | Plagionotus [ 08/11/2019, 15:30 ] |
| Oggetto del messaggio: | Re: Chlorophorus sp. ? |
Chlorophorus sartor (O.F. Müller, 1766)
|
|
| Autore: | Honza [ 09/11/2019, 22:28 ] |
| Oggetto del messaggio: | Re: Chlorophorus sp. ? |
Plagionotus ha scritto: Chlorophorus sartor (O.F. Müller, 1766) ![]() Grazie mille Riccardo per il tuo aiuto. |
|
| Pagina 1 di 1 | Tutti gli orari sono UTC + 1 ora [ ora legale ] |
| Powered by phpBB® Forum Software © phpBB Group http://www.phpbb.com/ |
|