Benvenuto Ospite

Forum Entomologi Italiani

www.entomologiitaliani.net/forum
 
Oggi è 23/04/2026, 12:09

Tutti gli orari sono UTC + 1 ora [ ora legale ]

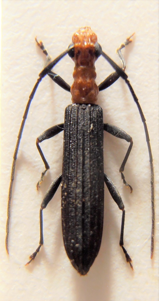
Syllitus bicolor (Schwarzer, 1924) - Cerambycidae Cerambicynae (cf.)

5.XI.2019 - INDONESIA - EST - EE, Klaisu, South Gresi, Jayapura, PAPUA


nuovo argomento
rispondi
Pagina 1 di 1 [ 2 messaggi ]
Autore Messaggio
MessaggioInviato: 21/04/2020, 17:35 
Avatar utente

Iscritto il: 06/11/2011, 23:59
Messaggi: 1134
Località: Casola Valsenio
Nome: Carlo Arrigo Casadio
Anche questo all'inizio mi ha destato qualche problema, non ero neanche sicuro al 100% che fosse un cerambicide.
Dimensione 10,5 mm, raccolto alla lampada.
Syllitus 1.jpg


Questo il posto di giorno...
Klaisu 3.jpg


e di notte...
Klaisu 2.jpg


purtroppo le altre due notti in cui sono stato al villaggio non siamo riusciti ad utilizzare le lampade a causa delle forti piogge.

_________________
Carlo Arrigo

"Solo un entomologo può capire il piacere da me provato nel cacciare per ore in qua e in là, sotto il sole cocente, tra i rami e i ramoscelli e la corteccia degli alberi caduti"
Alfred Russel Wallace


Top
profilo
MessaggioInviato: 21/04/2020, 18:34 
Avatar utente

Iscritto il: 23/09/2009, 15:14
Messaggi: 1394
Località: Verona
Nome: Alessandro Pinna
Bellissimo!

_________________
AleP


Top
profilo
Visualizza ultimi messaggi:  Ordina per  
nuovo argomento
rispondi
Pagina 1 di 1 [ 2 messaggi ]

Tutti gli orari sono UTC + 1 ora [ ora legale ]


Chi c’è in linea

Visitano il forum: Nessuno e 3 ospiti


Non puoi aprire nuovi argomenti
Non puoi rispondere negli argomenti
Non puoi modificare i tuoi messaggi
Non puoi cancellare i tuoi messaggi
Non puoi inviare allegati

Cerca per:
Vai a: