|
Tutti gli orari sono UTC + 1 ora [ ora legale ] |

|
| Autore | Messaggio | ||
|---|---|---|---|
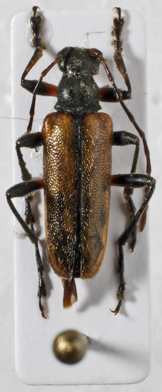
| conan |
|
||
|
Iscritto il: 09/06/2009, 13:19 Messaggi: 1229 Località: Modena Nome: Omar Pacchioni |
|||
| Top |
|
||
| Julodis |
|
||
|
Iscritto il: 30/12/2009, 22:20 Messaggi: 31564 Località: Roma Nome: Maurizio Gigli |
|
||
| Top |
|
||
| Isotomus |
|
||
|
Iscritto il: 05/09/2009, 7:56 Messaggi: 3445 Località: Cesena Nome: Gianfranco Sama |
|
||
| Top |
|
||
| Julodis |
|
||
|
Iscritto il: 30/12/2009, 22:20 Messaggi: 31564 Località: Roma Nome: Maurizio Gigli |
|
||
| Top |
|
||
| eurinomio |
|
||
|
Iscritto il: 19/09/2009, 22:25 Messaggi: 5915 Località: Brescia Nome: Vinicio Salami |
|
||
| Top |
|
||
| Isotomus |
|
||
|
Iscritto il: 05/09/2009, 7:56 Messaggi: 3445 Località: Cesena Nome: Gianfranco Sama |
|
||
| Top |
|
||
|
Tutti gli orari sono UTC + 1 ora [ ora legale ] |
Chi c’è in linea |
Visitano il forum: Nessuno e 2 ospiti |
Non puoi aprire nuovi argomenti Non puoi rispondere negli argomenti Non puoi modificare i tuoi messaggi Non puoi cancellare i tuoi messaggi Non puoi inviare allegati |