| Forum Entomologi Italiani https://www.entomologiitaliani.net/public/forum/phpBB3/ |
|
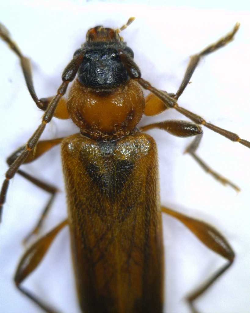
| Phymatodes testaceus (Linnaeus, 1758) - Cerambycidae https://www.entomologiitaliani.net/public/forum/phpBB3/viewtopic.php?f=145&t=94877 |
Pagina 1 di 1 |
| Autore: | RicPan [ 25/04/2021, 7:53 ] | |||||
| Oggetto del messaggio: | Phymatodes testaceus (Linnaeus, 1758) - Cerambycidae | |||||
Ciao a tutti, sapete identificare questo cerambicide?
|
||||||
| Autore: | Sleepy Moose [ 25/04/2021, 9:06 ] |
| Oggetto del messaggio: | Re: Cerambicide da identificare |
Hai legna da camino/stufa in casa? (se si, aspettati di trovarne altri) Direi Phymatodes testaceus |
|
| Autore: | RicPan [ 25/04/2021, 9:10 ] |
| Oggetto del messaggio: | Re: Cerambicide da identificare |
Sleepy Moose ha scritto: Hai legna da camino/stufa in casa? (se si, aspettati di trovarne altri) Direi Phymatodes testaceus Ce la avevo, è appena finita Grazie mille!! |
|
| Autore: | elleelle [ 25/04/2021, 10:56 ] |
| Oggetto del messaggio: | Re: Cerambicide da identificare |
Che differenza c'è tra le abitudini di Phymatodes e di Pyrrhidium? A volte nella legna si trova l'uno e volte l'altro. |
|
| Pagina 1 di 1 | Tutti gli orari sono UTC + 1 ora [ ora legale ] |
| Powered by phpBB® Forum Software © phpBB Group http://www.phpbb.com/ |
|