Benvenuto Ospite

Forum Entomologi Italiani

www.entomologiitaliani.net/forum
 
Oggi è 28/12/2025, 1:52

Tutti gli orari sono UTC + 1 ora [ ora legale ]

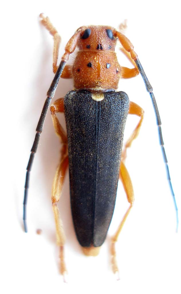
Musaria kurdistana (Ganglbauer, 1884) - Cerambycidae - Turchia

21.VI.2010 - TURCHIA - EE, Hakkari, Hakkari daglari, Kolbasi, 2000m


nuovo argomento
rispondi
Pagina 1 di 1 [ 1 messaggio ]
Autore Messaggio
MessaggioInviato: 21/07/2010, 23:11 
Avatar utente

Iscritto il: 05/09/2009, 7:56
Messaggi: 3445
Località: Cesena
Nome: Gianfranco Sama
Musaria kurdistana (Ganglbauer, 1884)

Turchia sud orientale (molto sud orientale, confini con l'Iraq), Hakkari: Hakkari daglari: Kolbasi, m. 2000, 21.VI.2010.

Si trova, non comunemente, su Eryngium sp. E' nota di Azerbaidjan, Armenia, Georgia, Iran, Iraq, Turchia sud orientale
Musaria kurdistana_Kolbasi 001.jpg


_________________
Gianfranco Sama

"Benedetto colui che ti aiuta a correggere i tuoi errori invece di scagliarteli contro"
___________________________________
Gershom Sholem


Top
profilo
Visualizza ultimi messaggi:  Ordina per  
nuovo argomento
rispondi
Pagina 1 di 1 [ 1 messaggio ]

Tutti gli orari sono UTC + 1 ora [ ora legale ]


Chi c’è in linea

Visitano il forum: Nessuno e 1 ospite


Non puoi aprire nuovi argomenti
Non puoi rispondere negli argomenti
Non puoi modificare i tuoi messaggi
Non puoi cancellare i tuoi messaggi
Non puoi inviare allegati

Cerca per:
Vai a:  
cron